REBEAUTY К-Бьюти
Клиник хайх
Нэвтрэх
Бүртгүүлэх
Клиник
Ангилал
Бүгдийг харах
Гоо сайхны мэс засал
Арьс судлал
Нүдний эмнэлэг
Шүдний эмнэлэг
Алдартай эмчилгээ
Нүдний мэс засал
Хамрын мэс засал
Лифтинг
Хөхний мэс засал
Өөх соруулах
Гоо сайхны мэс засал
Арьс судлал
Нүдний эмнэлэг
Шүдний эмнэлэг
Сэтгэгдэл
REAL
Өмнө/Дараа
Үйл явдал
HOT
YouTube
Сэтгүүл
NEW
AI загвар
AI
REBEAUTY К-Бьюти
Нэвтрэх
Шинэ бүртгэл
Клиник
Бүгд
Гоо сайхны мэс засал
Арьс судлал
Нүдний эмнэлэг
Шүдний эмнэлэг
Агуулга
Сэтгэгдэл
Ө/Д
Үйл явдал
YouTube
Сэтгүүл
AI
Тусламж
Түгээмэл асуулт
Мэдэгдэл
Холбоо барих
Сошиал нэвтрэлт
Өмнө ба Дараа
Эмчилгээний өмнөх болон дараах жинхэнэ өөрчлөлтийг харна уу
Before
After
ATOP гоо сайхны мэс заслын эмнэлэг
整形手術
Нүүрний өөх соруулах+Гүн хацрын өөхийг зайлуулах+Эрүүний үзүүрт дүүргэгч хийх+Эрүүний булчингийн ботокс
Before
After
ATOP гоо сайхны мэс заслын эмнэлэг
整形手術
Нүүрний өөх соруулах+Гүн хацрын өөхийг зайлуулах+Утас татах
Before
After
ATOP гоо сайхны мэс заслын эмнэлэг
整形手術
Нүүрний өөх соруулах+Гүн хацрын өөхийг зайлуулах+Утас татах+Урд шанаа/Хамар уруулын ховилын өөх шилжүүлэн суулгах
Before
After
ATOP гоо сайхны мэс заслын эмнэлэг
整形手術
Нүүрний өөх соруулах+Гүн хацрын өөхийг зайлуулах+Утас татах+Эрүүний ботокс
Before
After
ATOP гоо сайхны мэс заслын эмнэлэг
整形手術
Нүүрний өөх соруулах+Гүн хацрын өөхийг зайлуулах+Утас татах
Before
After
ATOP гоо сайхны мэс заслын эмнэлэг
整形手術
Нүүрний өөх соруулах+Гүн хацрын өөхийг зайлуулах+Утас татах+Эрүүний булчин/Шүлсний булчирхай/Эрүүний ботокс
Before
After
ATOP гоо сайхны мэс заслын эмнэлэг
美容整形
Нүүрний өөх соруулах+Буккийн өөх авах+Эрүүний ботокс
Before
After
ATOP гоо сайхны мэс заслын эмнэлэг
美容整形
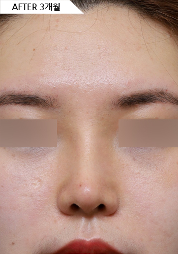
Үйл ажиллагаа 2 төрөл+Хамрын нуруу (силикон)+Хамрын үзүүр (хамрын таславч+чихний мөгөөрс гулсуулж суулгах)
Before
After
ATOP гоо сайхны мэс заслын эмнэлэг
美容整形
Хамрын нуруу (силикон)+Хамрын үзүүр (хамар уртасгах+бөмбөгөр хамрын залруулга+чихний мөгөөрс/хамрын таславчийн мөгөөрс)
Before
After
ATOP гоо сайхны мэс заслын эмнэлэг
美容整形
Хамрын нуруу (силикон)+Хамрын үзүүр (хамар уртасгах+бөмбөгөр хамрын залруулга+чихний мөгөөрс/хамрын таславчийн мөгөөрс)
Before
After
ATOP гоо сайхны мэс заслын эмнэлэг
美容整形
Зүсэлттэй давхар зовхи+Нүдний хэлбэр засах+Дух өргөх
Before
After
ATOP гоо сайхны мэс заслын эмнэлэг
美容整形
Нүдний доор/хамар уруулын ховил/урд шанааны өөх шилжүүлэн суулгах
114
115
116
117
118
Одоо үзэж байгаа:
Нүүр
Хайлт
Дуртай
Мессеж
Миний
Түгээмэл
Мэс засал
Арьс судлал
Шүдний
Ботокс
Филлер