REBEAUTY К-Бьюти
Клиник хайх
Нэвтрэх
Бүртгүүлэх
Клиник
Ангилал
Бүгдийг харах
Гоо сайхны мэс засал
Арьс судлал
Нүдний эмнэлэг
Шүдний эмнэлэг
Алдартай эмчилгээ
Нүдний мэс засал
Хамрын мэс засал
Лифтинг
Хөхний мэс засал
Өөх соруулах
Гоо сайхны мэс засал
Арьс судлал
Нүдний эмнэлэг
Шүдний эмнэлэг
Сэтгэгдэл
REAL
Өмнө/Дараа
Үйл явдал
HOT
YouTube
Сэтгүүл
NEW
AI загвар
AI
REBEAUTY К-Бьюти
Нэвтрэх
Шинэ бүртгэл
Клиник
Бүгд
Гоо сайхны мэс засал
Арьс судлал
Нүдний эмнэлэг
Шүдний эмнэлэг
Агуулга
Сэтгэгдэл
Ө/Д
Үйл явдал
YouTube
Сэтгүүл
AI
Тусламж
Түгээмэл асуулт
Мэдэгдэл
Холбоо барих
Сошиал нэвтрэлт
Өмнө ба Дараа
Эмчилгээний өмнөх болон дараах жинхэнэ өөрчлөлтийг харна уу
Before
After
ATOP гоо сайхны мэс заслын эмнэлэг
整形手術
Нүүрний өөх соруулах+Ёоу лифтинг+Утас татах+Дух/хамар орчмын үрчлээ/хацрын урд хэсэгт өөх шилжүүлэн суулгах
Before
After
ATOP гоо сайхны мэс заслын эмнэлэг
整形手術
Нүдний доод өөхний дахин байршуулалт+TT тариа
Before
After
ATOP гоо сайхны мэс заслын эмнэлэг
整形手術
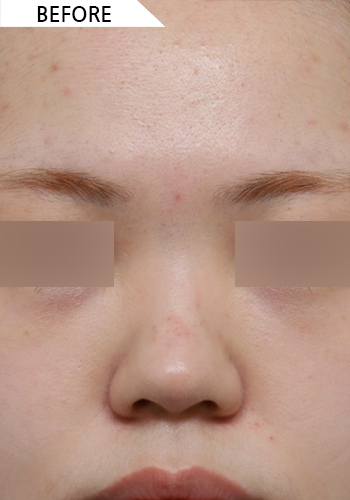
Хамрын нуруу (бөхөнгийн залруулга)+Хамрын үзүүр (чихний мөгөөрс/хамрын таславчийн мөгөөрс)
Before
After
ATOP гоо сайхны мэс заслын эмнэлэг
整形手術
Хамрын нуруу (бөхөнгийн залруулга)+Хамрын үзүүр (чихний мөгөөрс/хамрын таславчийн мөгөөрс)
Before
After
ATOP гоо сайхны мэс заслын эмнэлэг
整形手術
Хамрын нуруу (силикон)+Хамрын үзүүр (бульбоз хамрын залруулга+чихний мөгөөрс/хамрын таславчийн мөгөөрс)
Before
After
ATOP гоо сайхны мэс заслын эмнэлэг
整形手術
Хамрын нуруу (силикон)+Хамрын үзүүр (бульбоз хамрын залруулга+чихний мөгөөрс/хамрын таславчийн мөгөөрс)
Before
After
ATOP гоо сайхны мэс заслын эмнэлэг
整形手術
Бульбоз хамрын залруулга+Хамрын таславч
Before
After
ATOP гоо сайхны мэс заслын эмнэлэг
整形手術
Суулгацтай давхар зовхи+Нүдний хэлбэр засах+Өмнөд зүсэлт
Before
After
ATOP гоо сайхны мэс заслын эмнэлэг
整形手術
Суулгацтай давхар зовхи+Нүдний хэлбэр засах+Нүдний төгсгөл зүсэх/Доод зовхины угалз
Before
After
ATOP гоо сайхны мэс заслын эмнэлэг
整形手術
Эрэгтэй гоо сайхны мэс засал)Нүүрний өөх соруулах+Буккал өөх авах+Утас татах+Эрүүний шугамын арьсны ботокс
Before
After
ATOP гоо сайхны мэс заслын эмнэлэг
美容整形
Давтан хагалгаа) Зүсэлттэй давхар зовхи+нүдний хэлбэр засах
Before
After
ATOP гоо сайхны мэс заслын эмнэлэг
美容整形
Нүүрний өөх соруулах+Утас татах+Хажуу хацрын өөх шилжүүлэн суулгах
117
118
119
120
121
Одоо үзэж байгаа:
Нүүр
Хайлт
Дуртай
Мессеж
Миний
Түгээмэл
Мэс засал
Арьс судлал
Шүдний
Ботокс
Филлер