REBEAUTY К-Бьюти
Клиник хайх
Нэвтрэх
Бүртгүүлэх
Клиник
Ангилал
Бүгдийг харах
Гоо сайхны мэс засал
Арьс судлал
Нүдний эмнэлэг
Шүдний эмнэлэг
Алдартай эмчилгээ
Нүдний мэс засал
Хамрын мэс засал
Лифтинг
Хөхний мэс засал
Өөх соруулах
Гоо сайхны мэс засал
Арьс судлал
Нүдний эмнэлэг
Шүдний эмнэлэг
Сэтгэгдэл
REAL
Өмнө/Дараа
Үйл явдал
HOT
YouTube
Сэтгүүл
NEW
AI загвар
AI
REBEAUTY К-Бьюти
Нэвтрэх
Шинэ бүртгэл
Клиник
Бүгд
Гоо сайхны мэс засал
Арьс судлал
Нүдний эмнэлэг
Шүдний эмнэлэг
Агуулга
Сэтгэгдэл
Ө/Д
Үйл явдал
YouTube
Сэтгүүл
AI
Тусламж
Түгээмэл асуулт
Мэдэгдэл
Холбоо барих
Сошиал нэвтрэлт
Өмнө ба Дараа
Эмчилгээний өмнөх болон дараах жинхэнэ өөрчлөлтийг харна уу
Before
After
Хершэ гоо сайхны мэс заслын эмнэлэг
맥스리프팅(안면거상술)+비너스레이저
Макс өргөлт (нүүр өргөх мэс засал)+Венус лазер (хажуу)
Before
After
Хершэ гоо сайхны мэс заслын эмнэлэг
맥스리프팅(안면거상술)
Макс өргөлт (нүүр өргөх мэс засал) (45 градус)
Before
After
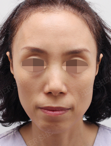
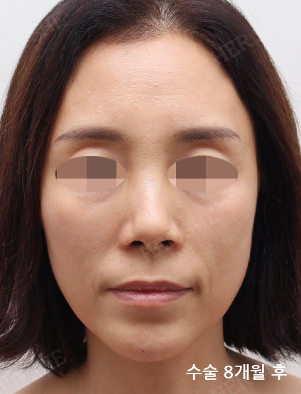
Хершэ гоо сайхны мэс заслын эмнэлэг
맥스리프팅(안면거상술)
Макс өргөлт (нүүр өргөх мэс засал) (урд)
Before
After
Хершэ гоо сайхны мэс заслын эмнэлэг
맥스리프팅(안면거상술)
Макс өргөлт (нүүр өргөх мэс засал) (хажуу)
Before
After
Хершэ гоо сайхны мэс заслын эмнэлэг
쌍꺼풀(절개법)+눈매교정
Давхар зовхи (зүсэлтийн арга)+нүдний хэлбэр засах
Before
After
Хершэ гоо сайхны мэс заслын эмнэлэг
에피티콘 리프팅(팔자,턱라인)+무턱필러+사각턱 보톡스
Эпитикон өргөлт (хамар уруулын ховил, эрүүний шугам)+эрүүний филлер+дөрвөлжин эрүүний ботокс (45 градус)
Before
After
Хершэ гоо сайхны мэс заслын эмнэлэг
에피티콘 리프팅(팔자,턱라인)+무턱필러+사각턱 보톡스
Эпитикон өргөлт (хамар уруулын ховил, эрүүний шугам)+эрүүний филлер+дөрвөлжин эрүүний ботокс (урд)
Before
After
Хершэ гоо сайхны мэс заслын эмнэлэг
에피티콘 리프팅(팔자,턱라인)+무턱필러+사각턱 보톡스
Эпитикон өргөлт (хамар уруулын ховил, эрүүний шугам)+эрүүний филлер+дөрвөлжин эрүүний ботокс (хажуу)
Before
After
Хершэ гоо сайхны мэс заслын эмнэлэг
에피티콘 리프팅(팔자,턱라인)
Эпитикон өргөлт (хамар уруулын ховил, эрүүний шугам) (45 градус)
Before
After
Хершэ гоо сайхны мэс заслын эмнэлэг
에피티콘 리프팅(팔자,턱라인)
Эпитикон өргөлт (хамар уруулын ховил, эрүүний шугам) (урд)
Before
After
Хершэ гоо сайхны мэс заслын эмнэлэг
에피티콘 리프팅(팔자,턱라인)
Эпитикон өргөх (хамар уруулын зураас, эрүүний шугам) (хажуу)
Before
After
Хершэ гоо сайхны мэс заслын эмнэлэг
콧대+코끝(연골 재배치)
Хамрын нуруу+хамар үзүүр (мөгөөрс шилжүүлэн суулгах) (45 градус)
151
152
153
154
155
Одоо үзэж байгаа:
Нүүр
Хайлт
Дуртай
Мессеж
Миний
Түгээмэл
Мэс засал
Арьс судлал
Шүдний
Ботокс
Филлер