REBEAUTY K-Beauty
Клиник хайх
Нэвтрэх
Бүртгүүлэх
Клиник
Ангилал
Бүгдийг харах
Гоо сайхны мэс засал
Арьс судлал
Нүдний эмнэлэг
Шүдний эмнэлэг
Алдартай эмчилгээ
Өөх соруулах
Хамрын мэс засал
Нүдний мэс засал
Хөхний мэс засал
Нүүрний контур
Гоо сайхны мэс засал
Арьс судлал
Нүдний эмнэлэг
Шүдний эмнэлэг
Сэтгэгдэл
REAL
Өмнө/Дараа
YouTube
Сэтгүүл
NEW
Үйл явдал
HOT
AI загвар
AI
REBEAUTY K-Beauty
Нэвтрэх
Шинэ бүртгэл
Виртуал симуляци
Гоо сайхны туршилт
Клиник
Бүгд
Гоо сайхны мэс засал
Арьс судлал
Нүдний эмнэлэг
Шүдний эмнэлэг
Агуулга
Сэтгэгдэл
Ө/Д
YouTube
Сэтгүүл
Үйл явдал
Тусламж
Түгээмэл асуулт
Мэдэгдэл
Холбоо барих
Сошиал нэвтрэлт
REBEAUTY Монгол салбар
Bayanzurkh District, 26th khoroo, Sakura Tower 606, Ulaanbaatar, Mongolia
8904-8282 / 8904-2580 / 8904-0580
🇰🇷 070-8098-7323
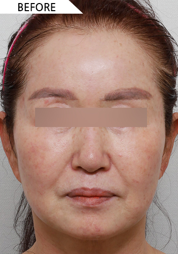
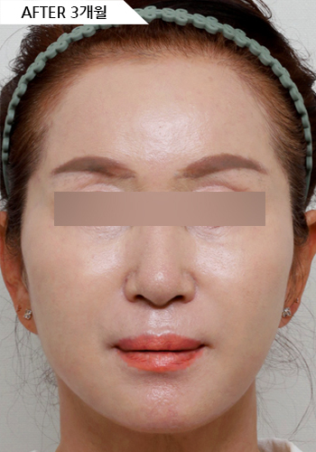
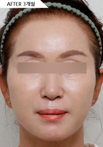
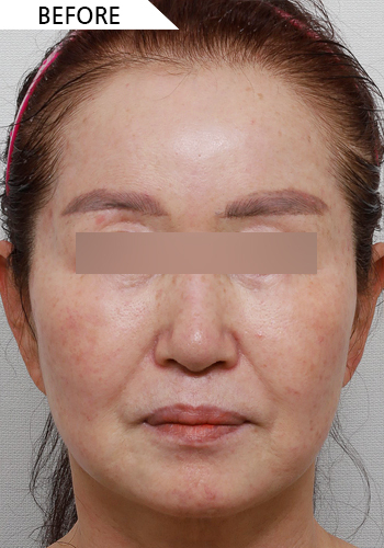
Өмнө ба Дараа
Үзсэн тоогоор
Шинэ эхэнд
Эмчилгээний өмнөх болон дараах жинхэнэ өөрчлөлтийг харна уу
Бүх эмчилгээ
#Бүрэн зүсэлттэй давхраа
#Бүрэн зүсэлттэй давхраа #Дээд зовхинд өөх шилжүүлэн суулгах
#Бүрэн зүсэлттэй давхраа #Дээд зовхинд өөх шилжүүлэн суулгах #Доод зовхины өөх дахин хуваарилах
#Бүрэн зүсэлттэй давхраа #Дээд зовхины өөх авах
#Бүрэн зүсэлттэй давхраа #Нүдний гадна болон доод булан нээх #Дээд зовхинд өөх шилжүүлэн суулгах #Нүдний хэлбэр засах
#Бүрэн зүсэлттэй давхраа #Нүдний дээд булан нээх
#Бүрэн зүсэлттэй давхраа #Нүдний дээд булан нээх #Дээд зовхинд өөх шилжүүлэн суулгах
#Бүрэн зүсэлттэй давхраа #Нүдний дээд булан нээх #Дээд зовхины өөх авах #Нүдний гадна болон доод булан нээх #Доод зовхины өөх дахин хуваарилах
#Бүрэн зүсэлттэй давхраа #Нүдний дээд булан нээх #Наалдац салгах
#Бүрэн зүсэлттэй давхраа #Нүдний дээд булан нээх #Нүдний гадна болон доод булан нээх
#Бүрэн зүсэлттэй давхраа #Нүдний дээд булан нээх #Нүдний дотор булан нээх #Хамрын нуруу (силикон) #Хамрын үзүүр (өөрийн мөгөөрс) #Шонхор хамар засах
#Бүрэн зүсэлттэй давхраа #Нүдний дээд булан нээх #Нүдний хэлбэр засах
#Бүрэн зүсэлттэй давхраа #Нүдний дээд булан нээх #Нүдний хэлбэр засах #Дээд зовхины өөх авах
#Бүрэн зүсэлттэй давхраа #Нүдний хэлбэр засах
#Бүрэн зүсэлттэй давхраа #Нүдний хэлбэр засах #Дээд зовхинд өөх шилжүүлэн суулгах
#Бүрэн зүсэлттэй давхраа #Нүдний хэлбэр засах #Нүдний гадна болон доод булан нээх
#Бүрэн зүсэлттэй давхраа #Нүдний хэлбэр засах #Нүдний дээд булан нээх #Дээд зовхины өөх авах #Доод зовхины өөх дахин хуваарилах
#Доод зовхины мэс засал
#Доод зовхины мэс засал #Дух татах (Эндотайн)
#Доод зовхины мэс засал #Дээд зовхины мэс засал
#Доод зовхины мэс засал #Нүдний дээд хэсгийн өөх авах
#Доод зовхины мэс засал #Нүдний дээд хэсэгт өөх шилжүүлэн суулгах
#Доод зовхины мэс засал #Нүдний дээд хэсэгт өөх шилжүүлэн суулгах #Нүүрний өөх шилжүүлэн суулгах
#Духны арьс татах (эндотайн)
#Духны арьс татах (эндотайн) #Доод зовхины мэс засал
#Духны арьс татах (эндотайн) #Нүдний гадна болон доод булан нээх
#Духны арьс татах (эндотайн) #Нүдний гадна болон доод булан нээх #Доод зовхины өөх дахин хуваарилах
#Дээд зовхины мэс засал #Доод зовхины мэс засал
#Дээд зовхины мэс засал #Доод зовхины мэс засал #Дээд зовхины өөх авах
#Дээд зовхины хагалгаа
#Дээд зовхины хагалгаа #Дээд зовхи нээх
#Дээд зовхины хагалгаа #Дээд зовхины өөх шилжүүлэн суулгах
#Зүсэлтгүй арга (Оёдол тавих)
#Зүсэлтгүй арга (Оёдол тавих) #Гадна болон доод булан нээх
#Зүсэлтгүй арга (Оёдол тавих) #Гадна болон доод булан нээх #Нүдний доод өөх дахин хуваарилах
#Зүсэлтгүй арга (Оёдол тавих) #Дотор булан нээх
#Зүсэлтгүй арга (Оёдол тавих) #Дээд зовхи нээх
#Зүсэлтгүй арга (Оёдол тавих) #Дээд зовхи нээх #Гадна болон доод булан нээх
#Зүсэлтгүй арга (Оёдол тавих) #Дээд зовхи нээх #Дотор булан нээх #Дээд зовхины өөх авах
#Зүсэлтгүй арга (Оёдол тавих) #Дээд зовхи нээх #Нүдний доод өөх дахин хуваарилах
#Зүсэлтгүй арга (Оёдол тавих) #Дээд зовхины өөх шилжүүлэн суулгах
#Зүсэлтгүй арга (Оёдол тавих) #Нүдний доод өөх дахин хуваарилах
#Зүсэлтгүй арга (Оёдол тавих) #Нүдний хэлбэр засах
#Зүсэлтгүй арга (Оёдол тавих) #Нүдний хэлбэр засах #Хамрын нуруу (Силикон) #Хамрын үзүүр (Өөрийн мөгөөрс)
#Нүдний гадна болон доод булан нээх
#Нүдний гадна болон доод булан нээх #Нүдний доод өөх шилжүүлэн байршуулах
#Нүдний доод өөх шилжүүлэн байршуулах
#Нүдний доод өөх шилжүүлэн байршуулах #Нүдний гадна болон доод булан нээх
#Нүдний доод өөх шилжүүлэн байршуулах #Нүүрэнд өөх шилжүүлэн суулгах
#Нүдний дээд булан нээх
#Нүдний дээд булан нээх #Дээд зовхины өөх авах #Нүдний гадна болон доод булан нээх #Дээд зовхины мэс засал
#Нүдний дээд булан нээх #Зүсэлтгүй давхраа (оёдол)
#Нүдний дээд булан нээх #Хэсэгчилсэн зүсэлттэй давхраа #Нүдний хэлбэр засах #Дээд зовхины өөх авах
#Нүдний хэлбэр засах (зовхи өргөх)
#Нүдний хэлбэр засах #Нүдний доод өөх шилжүүлэн байршуулах
#Нүүрний өөх шилжүүлэн суулгах
#Нүүрний өөх шилжүүлэн суулгах #Хамрын нуруу (силикон) #Хамрын үзүүр (өөрийн мөгөөрс) #Хавирганы мөгөөрсөөр хамар засах
#Хамрын нуруу (силикон) #Хамрын үзүүр (өөрийн мөгөөрс)
#Хамрын нуруу (силикон) #Хамрын үзүүр (өөрийн мөгөөрс) #Хавирганы мөгөөрс ашиглан хамрын гоо сайхны мэс засал #Өргөн хамар засах мэс засал #Хамрын угалз багасгах
#Хамрын нуруу (силикон) #Хамрын үзүүр (өөрийн мөгөөрс) #Хамрын угалз багасгах
#Хамрын нуруу (силикон) #Хамрын үзүүр (өөрийн мөгөөрс) #Хамрын угалз багасгах #Өргөн хамар засах мэс засал
#Хамрын угалз багасгах
#Хөх томруулах мэс засал
#Хэсэгчилсэн зүсэлт
#Хэсэгчилсэн зүсэлт #Дээд зовхи нээх #Гадна болон доод булан нээх #Дээд зовхины өөх авах #Дотор булан нээх
#Хэсэгчилсэн зүсэлт #Дээд зовхи нээх #Гадна болон доод булан нээх #Дээд зовхины өөх авах #Хамрын нуруу (Силикон) #Хамрын үзүүр (Өөрийн мөгөөрс) #Нүүрний өөх шилжүүлэн суулгах
#Хэсэгчилсэн зүсэлт #Дээд зовхи нээх #Гадна болон доод булан нээх #Наалдац салгах #Хамрын дахин хагалгаа #Хамрын нуруу (Силикон) #Хамрын үзүүр (Өөрийн мөгөөрс) #Нүүрний өөх шилжүүлэн суулгах
#Хэсэгчилсэн зүсэлт #Дээд зовхи нээх #Гадна болон доод булан нээх #Хамрын дахин хагалгаа #Хамрын нуруу (Силикон)
#Хэсэгчилсэн зүсэлт #Дээд зовхи нээх #Доод зовхины хагалгаа
#Хэсэгчилсэн зүсэлт #Дээд зовхи нээх #Дотор булан нээх
#Хэсэгчилсэн зүсэлт #Дээд зовхи нээх #Дотор булан нээх #Дээд зовхины өөх авах
#Хэсэгчилсэн зүсэлт #Дээд зовхи нээх #Дотор булан нээх #Дээд зовхины өөх авах #Нүдний хэлбэр засах #Богино хамар (Сертгэр хамар) засах #Өргөн хамар засах #Хамрын нуруу (Силикон) #Хамрын үзүүр (Өөрийн мөгөөрс)
#Хэсэгчилсэн зүсэлт #Дээд зовхи нээх #Дотор булан нээх #Хамрын нуруу (Силикон) #Хамрын үзүүр (Өөрийн мөгөөрс)
#Хэсэгчилсэн зүсэлт #Дээд зовхи нээх #Наалдац салгах
#Хэсэгчилсэн зүсэлт #Дээд зовхи нээх #Өргөн хамар засах
#Хэсэгчилсэн зүсэлт #Дээд зовхи нээх #Хамрын дахин хагалгаа #Хамрын нуруу (Силикон) #Хамрын үзүүр (Өөрийн мөгөөрс)
#Хэсэгчилсэн зүсэлт #Дээд зовхи нээх #Хамрын дахин хагалгаа #Хамрын нуруу (Силикон) #Хамрын үзүүр (Өөрийн мөгөөрс) #Хавирганы мөгөөрсөөр хамар өндөрлөх #Шонхор хамар засах
#Хэсэгчилсэн зүсэлт #Дээд зовхи нээх #Хамрын нуруу (Силикон) #Хамрын үзүүр (Өөрийн мөгөөрс)
#Хэсэгчилсэн зүсэлт #Дээд зовхи нээх #Шонхор хамар засах
#Хэсэгчилсэн зүсэлт #Дээд зовхины өөх авах
#Хэсэгчилсэн зүсэлт #Дээд зовхины өөх авах #Нүдний гадна болон доод булан нээх
#Хэсэгчилсэн зүсэлт #Дээд зовхины өөх авах #Нүдний хэлбэр засах
#Хэсэгчилсэн зүсэлт #Дээд зовхины өөх авах #Өргөн хамрын үзүүр засах #Гүдгэр хамар засах #Хамрын нуруу (силикон) #Хамрын үзүүр (өөрийн мөгөөрс)
#Хэсэгчилсэн зүсэлт #Дээд зовхины өөх шилжүүлэн суулгах
#Хэсэгчилсэн зүсэлт #Нүдний гадна болон доод булан нээх
#Хэсэгчилсэн зүсэлт #Нүдний гадна болон доод булан нээх #Нүдний доод өөх дахин хуваарилах
#Хэсэгчилсэн зүсэлт #Нүдний гадна болон доод булан нээх #Нүдний хэлбэр засах
#Хэсэгчилсэн зүсэлт #Нүдний доод өөх шилжүүлэн байршуулах
#Хэсэгчилсэн зүсэлт #Нүдний дотор булан нээх #Дээд зовхины өөх авах
#Хэсэгчилсэн зүсэлт #Нүдний дотор булан нээх #Дээд зовхины өөх авах #Нүдний дээд булан нээх
#Хэсэгчилсэн зүсэлт #Нүдний дотор булан нээх #Нүдний дээд булан нээх
#Хэсэгчилсэн зүсэлт #Нүдний дотор булан нээх #Нүдний дээд булан нээх #Дээд зовхины өөх авах
#Хэсэгчилсэн зүсэлт #Нүдний дотор булан нээх #Нүдний дээд булан нээх #Дээд зовхины өөх авах #Хамрын нуруу (силикон) #Хамрын үзүүр (өөрийн мөгөөрс)
#Хэсэгчилсэн зүсэлт #Нүдний дотор булан нээх #Нүдний дээд булан нээх #Дээд зовхины өөх авах #Хамрын нуруу (силикон) #Хамрын үзүүр (өөрийн мөгөөрс) #Хамрын угалз багасгах
#Хэсэгчилсэн зүсэлт #Нүдний дотор булан нээх #Нүдний дээд булан нээх #Нүдний хэлбэр засах #Дээд зовхины өөх авах
#Хэсэгчилсэн зүсэлт #Нүдний дотор булан нээх #Нүдний дээд булан нээх #Хамрын нуруу (силикон) #Хамрын үзүүр (өөрийн мөгөөрс) #Гүдгэр хамар засах
#Хэсэгчилсэн зүсэлт #Нүдний дээд булан нээх
#Хэсэгчилсэн зүсэлт #Нүдний дээд булан нээх #Дээд зовхины өөх авах
#Хэсэгчилсэн зүсэлт #Нүдний дээд булан нээх #Дээд зовхины өөх авах #Нүдний гадна болон доод булан нээх
#Хэсэгчилсэн зүсэлт #Нүдний дээд булан нээх #Дээд зовхины өөх авах #Нүдний доод өөх дахин хуваарилах
#Хэсэгчилсэн зүсэлт #Нүдний дээд булан нээх #Дээд зовхины өөх авах #Нүдний хэлбэр засах
#Хэсэгчилсэн зүсэлт #Нүдний дээд булан нээх #Дээд зовхины өөх авах #Хамрын нуруу (силикон) #Хамрын үзүүр (өөрийн мөгөөрс)
#Хэсэгчилсэн зүсэлт #Нүдний дээд булан нээх #Дээд зовхины өөх авах #Хамрын нуруу (силикон) #Хамрын үзүүр (өөрийн мөгөөрс) #Гүдгэр хамар засах
#Хэсэгчилсэн зүсэлт #Нүдний дээд булан нээх #Дээд зовхины өөх шилжүүлэн суулгах
#Хэсэгчилсэн зүсэлт #Нүдний дээд булан нээх #Нүдний гадна болон доод булан нээх
#Хэсэгчилсэн зүсэлт #Нүдний дээд булан нээх #Нүдний гадна болон доод булан нээх #Дээд зовхины өөх авах
#Хэсэгчилсэн зүсэлт #Нүдний дээд булан нээх #Нүдний доод өөх дахин хуваарилах #Дээд зовхины өөх шилжүүлэн суулгах
#Хэсэгчилсэн зүсэлт #Нүдний дээд булан нээх #Нүдний хэлбэр засах
#Хэсэгчилсэн зүсэлт #Нүдний дээд булан нээх #Нүдний хэлбэр засах #Дээд зовхины өөх авах
#Хэсэгчилсэн зүсэлт #Нүдний хэлбэр засах
#Хэсэгчилсэн зүсэлт #Нүдний хэлбэр засах #Нүдний гадна болон доод булан нээх
#Хэсэгчилсэн зүсэлт #Нүдний хэлбэр засах #Нүдний доод өөх шилжүүлэн байршуулах
#Хэсэгчилсэн зүсэлт #Нүдний хэлбэр засах #Нүдний дотор булан нээх
#Хэсэгчилсэн зүсэлт #Нүдний хэлбэр засах #Нүдний дотор булан нээх #Нүдний дээд булан нээх
#Хэсэгчилсэн зүсэлт #Нүдний хэлбэр засах #Нүдний дотор булан нээх #Нүдний дээд булан нээх #Нүдний дээд зовхины өөх авах
#Хэсэгчилсэн зүсэлт #Нүдний хэлбэр засах #Нүдний дээд булан нээх
#Хэсэгчилсэн зүсэлт #Нүдний хэлбэр засах #Нүдний дээд булан нээх #Нүдний дотор булан нээх
#Хэсэгчилсэн зүсэлт #Нүдний хэлбэр засах #Нүдний дээд булан нээх #Нүдний дээд зовхины өөх авах
#Хэсэгчилсэн зүсэлт #Нүдний хэлбэр засах #Нүдний дээд зовхинд өөх шилжүүлэн суулгах
#Хэсэгчилсэн зүсэлт #Нүдний хэлбэр засах #Нүдний дээд зовхины өөх авах
#Хэсэгчилсэн зүсэлт #Нүдний хэлбэр засах #Нүдний дээд зовхины өөх авах #Нүдний доод өөх шилжүүлэн байршуулах
#Хэсэгчилсэн зүсэлт #Нүдний хэлбэр засах #Нүдний дээд зовхины өөх авах #Нүдний дотор булан нээх #Нүдний дээд булан нээх
#Хэсэгчилсэн зүсэлт #Нүдний хэлбэр засах #Нүдний дээд зовхины өөх авах #Өргөн хамар засах
#Хэсэгчилсэн зүсэлт #Нүдний хэлбэр засах #Нүдний дээд зовхины өөх авах #Хамрын нуруу (силикон) #Хамрын үзүүр (өөрийн мөгөөрс) #Шонхор хамар засах
#Хэсэгчилсэн зүсэлт #Нүдний хэлбэр засах #Хамрын дахин мэс засал #Хамрын нуруу (силикон) #Хамрын үзүүр (өөрийн мөгөөрс) #Богино хамар (сахлаг хамар) засах
#Хэсэгчилсэн зүсэлт #Нүдний хэлбэр засах #Хамрын нуруу (силикон) #Хамрын үзүүр (өөрийн мөгөөрс)
#Хэсэгчилсэн зүсэлт #Нүдний хэлбэр засах #Хамрын нуруу (силикон) #Хамрын үзүүр (өөрийн мөгөөрс) #Богино хамар (сахлаг хамар) засах
#Хэсэгчилсэн зүсэлт #Нүдний хэлбэр засах #Хамрын нуруу (силикон) #Хамрын үзүүр (өөрийн мөгөөрс) #Өргөн хамар засах
#Хэсэгчилсэн зүсэлт #Суулгацгүй хамрын гоо сайхны мэс засал #Гүдгэр хамар засах #Хамрын үзүүр (өөрийн мөгөөрс)
#Шонхор хамар засах #Өргөн хамар засах #Хамрын угалз багасгах
+ DA өөх соруулах
+ DA өөх шилжүүлэн суулгах
+ Духны өөх шилжүүлэн суулгах
+ Мини татлага + Ботокс
+ Нүүрний бүтэн өөх шилжүүлэн суулгах
+ Нүүрний бүтэн өөх шилжүүлэн суулгах + Ботокс + Акускальпт
+ Нүүрний хэлбэр засах дахин мэс засал + Нүүрний хэлбэр засах мэс засал [Шанаа + Эрүү урагшлуулах]
+ Нүүрний хэлбэр засах дахин мэс засал + Нүүрний хэлбэр засах мэс засал [Шанаа]
+ Нүүрний хэлбэр засах мэс засал [Дөрвөлжин эрүү + Эрүүний үзүүр]
+ Нүүрний хэлбэр засах мэс засал [Нүүрний хэлбэр засах 3 төрлийн мэс засал]
+ Нүүрний хэлбэр засах мэс засал [Нүүрний хэлбэр засах 3 төрлийн мэс засал] + Акускальпт
+ Нүүрний хэлбэр засах мэс засал [Нүүрний хэлбэр засах 3 төрлийн мэс засал] + Нүүрний бүтэн өөх шилжүүлэн суулгах
+ Нүүрний хэлбэр засах мэс засал [Шанаа + Дөрвөлжин эрүү]
+ Нүүрний хэлбэр засах мэс засал [Шанаа + Эрүүний үзүүр]
+ Нүүрний хэлбэр засах мэс засал [Шанаа]
+ Нүүрний хэлбэр засах мэс засал [Шанаа] + Акускальпт
+ Нүүрний хэлбэр засах мэс засал + Нүүрний хэлбэр засах 3 төрлийн мэс засал
+ Нүүрний хэлбэр засах татлага (Аку) + Суулгацтай нүүрний хэлбэр засах мэс засал
+Цайруулах хөтөлбөр
2 төрлийн нүд томсгох мэс засал (гадаад булан, доод булан)
2 төрлийн нүд томсгох мэс засал (дотоод булан, доод булан)
2 төрлийн нүд томсгох мэс засал (дотоод булан, дээд булан), ROOF өөх авах
3 дахь удаагийн байгалийн наалдац аргаарх давхрааны дахин хагалгаа
3 төрлийн нүд томсгох мэс засал (дотоод булан, гадаад булан, доод булан)
3 төрлийн нүд томсгох мэс засал (дээд булан, гадаад булан, доод булан), нүдний доод өөх шилжүүлэн байршуулах
45 градусын дотоод-дээд булан нээх, доод булан нээх
5 дахь удаагийн зүсэлттэй давхрааны дахин хагалгаа, давхрааны шугам намсгах
Blue Rose утас татах (хамар уруулын нугалаас, эрүүний шугам)
Blue Rose утас татах (эрүүний шугам)
DA лифтинг (Нүүр өргөх ажилбар)
DA нүүрний хэлбэр засах 3 төрлийн мэс засал + Нүдний мэс засал + Хамрын мэс засал + Өөх шилжүүлэн суулгах
DA өөх соруулах [Хэвлий]
DA өөх соруулах + Хэвлийн хэлбэр засах мэс засал
DA өөх соруулах мэс засал
DA хөхний гоо сайхны мэс засал
DA хөхний дахин мэс засал
DK by MD code
GL доод булан нээх мэс заслын нөхөн сэргээлт, зовхи дотогш эргэх (энтропион)
GL доод булан нээх мэс заслын нөхөн сэргээлт, зовхи дотогш эргэх (энтропион), GL доод хэсэг нээх (гадаад булан, доод булан)
GL доод булан нээх мэс заслын нөхөн сэргээлт, зовхи дотогш эргэх (энтропион), гадаад булан нээх мэс заслын нөхөн сэргээлт
GL доод булан нээх мэс заслын нөхөн сэргээлт, зовхи дотогш эргэх (энтропион), нүдний доод өөх шилжүүлэн байршуулах, доод булан нээх
GL доод булан нээх мэс заслын нөхөн сэргээлт, хөмсөг өргөх мэс засал (нэг тал), зовхи дотогш эргэх (энтропион)
GL доод хэсэг нээх (гадаад булан, доод булан)
GL доод хэсэг нээх (гадаад булан, доод булан), зовхи дотогш эргэх (энтропион)
Liposonix Heat Slim
Liposonix Heat Slim (Липосоник хит слим)
Lycoll филлер ашигласан эрүүний хэлбэр засах ажилбар
MACS лифтинг (Нүүрний арьс татах мэс засал)
MACS лифтинг (Нүүрний арьс татах мэс засал) + Venus лазер
MACS лифтинг (Нүүрний арьс татах мэс засал) + Нүдний дээд зовхины мэс засал + Нүдний доод зовхины мэс засал + Өөх шилжүүлэн суулгах
MACS лифтинг (Нүүрний арьс татах мэс засал) + Өөх шилжүүлэн суулгах
MACS лифтинг (Нүүрний арьс татах мэс засал) + Өөх шилжүүлэн суулгах + Ботокс
MACS лифтинг (Нүүрний арьс татах мэс засал) + Өөх шилжүүлэн суулгах + Нүдний дээд зовхины мэс засал + Нүдний доод зовхины мэс засал + Нүдний доод өөх дахин хуваарилах
Mentor Smooth_1 сарын дараа
Mentor Smooth_2 сарын дараа
Mentor Smooth_3 сарын дараа
Mentor Smooth_6 сарын дараа
Mentor Smooth_Капсулын агшилт_1 сарын дараа
Mentor Smooth_Хөх нөхөн сэргээх_6 сарын дараа
Mentor Xtra_1 жилийн дараа
Mentor хөхний гоо сайхны мэс засал
Mentor хөхний гоо сайхны мэс засал + Нэмэлт хөх авах
Natrelle дусал хэлбэрийн хөх томруулах мэс засал (Дахин хагалгаа)
No-교정 Smile Selfie эрүү нүүрний хоёр эрүүний мэс засал + эрүүний үзүүр
One Day Heat Slim
PCL утас татах, уруулын филлер
Radiesse (Радиесс)
Radiesse (Хамар уруулын үрчлээ + Хацрын хонхор дүүргэх)
Rejuran Healer (Режуран хийлэр)
Rejuran Healer 4cc
Sculptra, Духны филлер
Sebbin Integrity_1 сар
Sebbin Integrity_12 сар
Sebbin Integrity_2 сар
Sebbin Integrity_3 сар
Sebbin Integrity_4 сар
Sebbin Integrity_6 сарын дараа
Sebbin Sublimity_1 сар
Sebbin Sublimity_2 сар
Sebbin Sublimity_6 сар
Sebbin Sublimity_7 сар
Sebbin Sublimity_8 сар
Sebbin Sublimity_9 сар
Sebbin Sublimity_суулгац доошлох_12 сар
Sebbin Sublimity_хэлбэрт сэтгэл ханамжгүй_6 сар
Sebbin хөхний гоо сайхны мэс засал
Shurink лифтинг, InMode лифтинг
Shurink, InMode FX + FORMA
Shurink, Onda
Silhouette лифтинг
V-line татах (V-line лифтинг)
V-line татах, давхар эрүү татах
V-line татах, давхар эрүү татах, мини лифтинг
V-line татах, давхар эрүүний өөх соруулах болон булчин зангидах
V-line татах, мини лифтинг
V-line татах, хацрын дүүргэгч (филлер)
V-line эрүүний шугам татах
V-line эрүүний шугам татах + Mint утас татах
Venus лазер (хацар, эрүүний доор), Endotine
Venus лазер (эрүүний доор), давхар эрүүний булчин зангидах
Volnewmer (Волнюмер)
Volnewmer 300 shot + Onda 40KJ
Volnewmer 400 shot + Onda 40KJ
Volnewmer, Shurink Universe
Ажилбарын өмнө ба дараа
Акю (давхар эрүү, эрүүний шугам)
Акю (давхар эрүү, эрүүний шугам) + V-эрүүний шугам татах + Минт утас татах
Акю (хацар)
Акю (хацар) + Зүсэлттэй V-лифтинг + SMAS
Акю (эрүүний шугам, давхар эрүү)
Акю (эрүүний шугам, давхар эрүү) + Зүсэлттэй V-лифтинг + Минт утас татах
Акю (эрүүний шугам, давхар эрүү) + Минт утас татах
Акю (эрүүний шугам, давхар эрүү) + Эластикүм
Акю (эрүүний шугам)
Акюскальп (одоогийн Винус лазер) (эрүүний шугам)
Акюскальп (одоогийн Винус лазер) (эрүүний шугам) + ботокс (эрүү)
Акюскальпт
Акюскальпт (давхар эрүү, эрүүний шугам)
Акюскальпт (одоогийн Венус лазер)
Акюскальпт (хацар, эрүүний шугам) + Минт утас татах
Арьсны доод давхаргын наалдацтай давхраа хийх мэс засал
Арьсны доод давхаргын наалдацтай давхраа хийх мэс засал, Нүдний дотор булан болон дээд хэсэг нээх (45 градус)
Арьсны доод давхаргын наалдацтай давхраа хийх мэс засал, Нүдний хэлбэр засах
Арьсны доод давхаргын наалдацтай давхраа хийх мэс засал, Нүдний хэлбэр засах, Нүдний дотор булан болон дээд хэсэг нээх
Арьсны доод давхаргын наалдацтай давхраа хийх мэс засал, Нүдний хэлбэр засах, Нүдний дотор булан болон дээд хэсэг нээх (45 градус)
Арьсны доод давхаргын наалдацтай давхраа хийх мэс засал, Нүдний хэлбэр засах, Нүдний дотор булан болон дээд хэсэг нээх (45 градус), Нүдний булан нээх
Арьсны доод давхаргын наалдацтай давхраа хийх мэс засал, Нүдний хэлбэр засах, Нүдний дотор булан нээх
Арьсны доод давхаргын наалдацтай давхраа хийх мэс засал, Нүдний хэлбэр засах, Нүдний дотор булан нээх, Нүдний доорх өөх дахин хуваарилах, Шонхор хамар засах, Урт хамар засах, Хамрын уруулын өнцөг засах, Пич лифтинг, Нүүрэнд өөх шилжүүлэн суулгах
Арьсны доод давхаргын наалдацтай давхраа хийх мэс засал, Нүдний хэлбэр засах, Нүдний дотор булан нээх, Нүдний доорх өөх дахин хуваарилах, Шонхор хамар засах, Урт хамар засах, Хацрын яс эргүүлж багасгах мэс засал, Нүүрний бүх хэсэгт өөх шилжүүлэн суулгах, Пич лифтинг
Арьсны доод давхаргын наалдацтай давхраа хийх мэс засал, Нүдний хэлбэр засах, Нүдний дотор булан нээх, Нүдний дээд хэсэг нээх
Арьсны доод давхаргын наалдацтай давхраа хийх мэс засал, Нүдний хэлбэр засах, Нүдний дээд хэсэгт өөх шилжүүлэн суулгах
Арьсны доод давхаргын наалдацтай давхраа хийх мэс засал, Нүдний хэлбэр засах, Нүдний дээд хэсэгт өөх шилжүүлэн суулгах, Нүдний доорх өөх дахин хуваарилах
Арьсны наалдацтай давхраа (Давтан мэс засал)
Арьсны наалдацтай давхраа (Давтан_Задарсан давхраа засах)
Арьсны наалдацтай давхраа (Давтан), Гадна болон доод булан нээх
Арьсны наалдацтай давхраа (Давтан), Гадна булан нээх
Арьсны наалдацтай давхраа (Давтан), Дотор булан нээх
Арьсны наалдацтай давхраа (Давтан), Дотор булан нээх, Нүдний доорх өөх шилжүүлэн байрлуулах
Арьсны наалдацтай давхраа (Давтан), Нүдний хэлбэр засах
Арьсны наалдацтай давхраа (Давтан), Нүдний хэлбэр засах, Дотор болон дээд булан нээх
Арьсны наалдацтай давхраа, Гадна булан нээх
Арьсны наалдацтай давхраа, Гадна булан нээх, Нүдний хэлбэр засах
Арьсны наалдацтай давхраа, Дотор булан нээх
Арьсны наалдацтай давхраа, Дотор булан нээх, Дээд булан нээх
Арьсны наалдацтай давхраа, Дээд булан нээх
Арьсны наалдацтай давхраа, Нүдний хэлбэр засах, Гадна булан нээх
Арьсны наалдацтай давхраа, Нүдний хэлбэр засах, Дотор булан нээх, Гадна булан нээх, Доод зовхи доошлуулах, Өргөн хамар, Богино хамар, Яс тайрах, Хамрын багана засах
Арьсны наалдацтай давхраа, Нүдний хэлбэр засах, Дотор булан нээх, Гадна булан нээх, Нүдний доорх өөх шилжүүлэн байрлуулах, Шонхор хамар, Богино хамар, Яс тайрах
Арьсны наалдацтай давхраа, Нүдний хэлбэр засах, Тэгш бус нүд засах
Арьсны наалдацтай давхраа, Хөмсөгний доогуур татах мэс засал
Арьсны наалдацтай давхраа, Хөмсөгний доогуур татах мэс засал, Доод зовхины мэс засал
Ахмад насны дух татах, Хөмсөгний доогуур арьс татах, Наалдуулах аргаар давхраа хийх
Бага зүсэлттэй SMAS нүүр өргөх хагалгаа
Бага зүсэлттэй нүүр өргөх хагалгаа (MACS лифтинг)
Байгалийн наалдац аргаар давхраа хийх
Байгалийн наалдац аргаар нүдний хэлбэр засах дахин мэс засал, хөмсөгний доод өргөлт, доод зовхины мэс засал
Байгалийн наалдац, Дотор булан нээх
Байгалийн наалдац, Дотор булан нээх, Дээд булан нээх
Байгалийн наалдац, Дотор булан нээх, Дээд булан нээх, Гадна булан нээх, Доод булан нээх
Байгалийн наалдац, Дотор булан нээх, Нүдний дээр өөх шилжүүлэн суулгах, Нүдний доорх өөх дахин хуваарилах
Байгалийн наалдац, Дух өргөх мэс засал
Байгалийн наалдац, Дээд булан нээх
Байгалийн наалдац, Дээд булан нээх, Гадна булан нээх, Доод булан нээх
Байгалийн наалдац, Дээд булан нээх, Дотор булан нээх
Байгалийн наалдац, Дээд булан нээх, Залуучуудын дух өргөх мэс засал
Байгалийн наалдац, Дээд булан нээх, Зовхины өөх авах
Байгалийн наалдац, Дээд булан нээх, Нүдний доорх өөх авах, Өөх шилжүүлэн суулгах
Байгалийн наалдац, Дээд булан нээх, Нүдний доорх өөх дахин хуваарилах
Байгалийн наалдац, Дээд булан нээх, Нүдний доорх өөх дахин хуваарилах, Хацрын урд хэсэгт өөх шилжүүлэн суулгах
Байгалийн наалдац, Дээд булан нээх, Нүдний дээд зовхинд өөх шилжүүлэн суулгах
Байгалийн наалдац, Дээд булан нээх, Хөмсөг өргөх
Байгалийн наалдац, Дээд булан нээх, Хөмсөг өргөх мэс засал
Байгалийн наалдац, Залуучуудын дух өргөх мэс засал
Байгалийн наалдац, Нүдний доод өөх шилжүүлэн байрлуулах, Хөмсөг өргөх мэс засал
Байгалийн наалдац, Нүдний доорх өөх дахин хуваарилах
Байгалийн наалдац, Нүдний доорх өөх дахин хуваарилах, Нүдний дээд зовхинд өөх шилжүүлэн суулгах, Нүдний доор өөх шилжүүлэн суулгах
Байгалийн наалдац, Нүдний хэлбэр засах, Блинг нүдний мэс засал
Байгалийн наалдац, Нүдний хэлбэр засах, Дотор булан нээх, Дээд булан нээх
Байгалийн наалдац, Өөх авах, Дээд булан нээх
Байгалийн наалдац, Хөмсөг өргөх
Байгалийн наалдац, Хөмсөг өргөх мэс засал
Байгалийн наалдац, Хөмсөг өргөх мэс засал, Дээд булан нээх, Гадна булан нээх
Байгалийн наалдац, хөмсөг өргөх мэс засал, дээд зовхины өөх шилжүүлэн суулгах
Байгалийн наалдац, Хөмсөг өргөх мэс засал, Нүдний доорх өөх авах, Нүдний дээд зовхинд өөх шилжүүлэн суулгах, Нүдний доор өөх шилжүүлэн суулгах
Байгалийн наалдац, Хөмсөг өргөх мэс засал, Нүдний доорх өөх дахин хуваарилах, Хацрын урд хэсэгт өөх шилжүүлэн суулгах
Байгалийн наалдац, Хөмсөг өргөх, Дотор булан нээх, Дээд булан нээх
Байгалийн наалдацтай давхраа
Байгалийн наалдацтай давхраа давтан мэс засал
Байгалийн наалдацтай давхраа давтан мэс засал (өмнөх зураас задлах)
Байгалийн наалдацтай давхраа давтан мэс засал, Давхрааны шугам намсгах
Байгалийн наалдацтай давхраа давтан мэс засал, дотор өнцөг нээх давтан мэс засал
Байгалийн наалдацтай давхраа давтан мэс засал, дотор өнцөг нээх давтан мэс засал, гадна өнцөг нээх, доод өнцөг нээх
Байгалийн наалдацтай давхраа давтан мэс засал, дээд өнцөг нээх
Байгалийн наалдацтай давхраа давтан мэс засал, дээд өнцөг нээх, гадна өнцөг нээх, доод өнцөг нээх
Байгалийн наалдацтай давхраа давтан мэс засал, зовхины өөх шилжүүлэн суулгах
Байгалийн наалдацтай давхраа давтан мэс засал, Нүдний гадна булан нээх, Нүдний доод хэсэг нээх
Байгалийн наалдацтай давхраа давтан мэс засал, нүдний доод өөх шилжүүлэн байршуулах
Байгалийн наалдацтай давхраа давтан мэс засал, Нүдний дотор булан нээх, Нүдний дээд булан нээх
Байгалийн наалдацтай давхраа давтан мэс засал, Нүдний дээд булан нээх
Байгалийн наалдацтай давхраа давтан мэс засал, Нүдний дээд зовхинд өөх шилжүүлэн суулгах
Байгалийн наалдацтай давхраа давтан мэс засал, Хөмсөг өргөх мэс засал
Байгалийн наалдацтай давхраа давтан мэс засал, Хөмсөг өргөх мэс засал, Нүдний дээд зовхинд өөх шилжүүлэн суулгах
Байгалийн наалдацтай давхраа, гадна болон доод өнцөг нээх, дух өргөх мэс засал
Байгалийн наалдацтай давхраа, гадна өнцөг нээх, доод өнцөг нээх
Байгалийн наалдацтай давхраа, дотор өнцөг нээх
Байгалийн наалдацтай давхраа, дотор өнцөг нээх, дээд өнцөг нээх
Байгалийн наалдацтай давхраа, дотор өнцөг нээх, дээд өнцөг нээх, дух өргөх мэс засал
Байгалийн наалдацтай давхраа, дээд өнцөг нээх
Байгалийн наалдацтай давхраа, дээд өнцөг нээх, гадна болон доод өнцөг нээх, нүдний доод өөх шилжүүлэн байршуулах, хамрын гоо сайхны мэс засал
Байгалийн наалдацтай давхраа, дээд өнцөг нээх, нүдний доод өөх шилжүүлэн байршуулах
Байгалийн наалдацтай давхраа, Зүсэлтгүй нүдний хэлбэр засах
Байгалийн наалдацтай давхраа, зүсэлтгүй нүдний хэлбэр засах, дотор өнцөг нээх
Байгалийн наалдацтай давхраа, зүсэлтгүй нүдний хэлбэр засах, дотор өнцөг нээх, гадна өнцөг нээх, доод өнцөг нээх
Байгалийн наалдацтай давхраа, Зүсэлтгүй нүдний хэлбэр засах, Нүдний дотор булан нээх
Байгалийн наалдацтай давхраа, Зүсэлтгүй нүдний хэлбэр засах, Нүдний дотор булан нээх, Нүдний гадна булан нээх, Нүдний доод хэсэг нээх
Байгалийн наалдацтай давхраа, Зүсэлтгүй нүдний хэлбэр засах, Нүдний дээд булан нээх
Байгалийн наалдацтай давхраа, Нүдний дотор булан нээх
Байгалийн наалдацтай давхраа, Нүдний дотор булан нээх, Нүдний гадна булан нээх, Нүдний доод хэсэг нээх
Байгалийн наалдацтай давхраа, нүдний хэлбэр засах
Байгалийн наалдацтай давхраа, нүдний хэлбэр засах, дотор өнцөг нээх
Байгалийн наалдацтай давхраа, нүдний хэлбэр засах, дотор өнцөг нээх, нүдний дээд өөх шилжүүлэн суулгах
Байгалийн наалдацтай давхраа, нүдний хэлбэр засах, нүдний доод өөх шилжүүлэн байршуулах
Байгалийн наалдацтай давхраа, нүдний хэлбэр засах, хөмсөг өргөх мэс засал
Байгалийн наалдацтай давхраа, хөмсөг өргөх
Байгалийн наалдацтай давхраа, хөмсөг өргөх мэс засал, дух өргөх мэс засал
Байгалийн наалдацтай давхраа, хөмсөг өргөх мэс засал, дээд өнцөг нээх
Батганы сорвины эмчилгээ
Батганы цогц хөтөлбөр
Батганы эмчилгээ
Беллажель хөхний гоо сайхны мэс засал
Беллажель хөхний гоо сайхны мэс засал (Давтан хагалгаа)
Беллажель хөхний гоо сайхны мэс засал + Суганы илүүдэл хөх авах
Биеийн галбир засах тариа
Богино хамар (Давтан мэс засал), Хавчигдсан хамар, Муруй хамар, Хамрын багана засах
Богино хамар (давтан хагалгаа), муруй хамар
Богино хамар (давтан хагалгаа), муруй хамар, хамрын багана засах, хамрын угалз нарийсгах
Богино хамар засах + өргөн хамар засах
Богино хамар, Муруй хамар
Богино хамар, Өргөн хамар, Хамрын угалз нарийсгах
Богино хамар, Өргөн хамар, Шонхор хамар
Богино хамар, Өргөн хамрын мэс засал
Богино хамар, Сонсог хамар, Өргөн хамар
Богино хамар, Хамар уруулын өнцөг засах, Хамрын угалз нарийсгах
Богино хамар, Хамрын үйл ажиллагааг сэргээх мэс засал
Босоо мини лифтинг
Босоо мини лифтинг + Акку лифтинг + Mint утас татах лифтинг
Босоо мини лифтинг + Эластикүм
Ботокс, Филлер
Бөөрөнхий хэлбэрийн хөхний мэс засал
Бугалганы өөх соруулах
Булчин жижигсгэх хагалгаа
Бусад
Бүтэн мини лифтинг + Акюскальпт
Бүтэн мини лифтинг + Доод зовхины мэс засал
Бүтэн мини лифтинг + Зөөлөн эдийн хэлбэр засах мэс засал
Бүтэн эрүү / 4-өөс дээш / Яс шилжүүлэн суулгах | Унтуулгатай
Бүтэн эрүү / Унтуулгатай | Даралт ихсэх | Чихрийн шижин
Бүтэн эрүү / Яс шилжүүлэн суулгах
Бүтэн эрүү / Яс шилжүүлэн суулгах | Унтуулгатай
Бүтэн эрүү / Яс шилжүүлэн суулгах | Унтуулгатай | Даралт ихсэх
Бүтэн эрүү / Яс шилжүүлэн суулгах | Унтуулгатай | Даралт ихсэх | Чихрийн шижин
Бүтэн эрүү / Яс шилжүүлэн суулгах | Унтуулгатай | Чихрийн шижин
Бүтэн эрүү / Яс шилжүүлэн суулгах | Унтуулгатай | Чихрийн шижин | Аспирин
Гажиг засалгүй Smile Selfie эрүү нүүрний мэс засал + Нүүрний хэлбэр засах 3 төрлийн мэс засал + Зүсэлтгүй зовхи засах мэс засал + Хамрын гоо сайхны мэс засал + Мини татах мэс засал
Гар засах хагалгаа
Гарын өөх соруулах
Гинекомасти
Гоо сайхны мэс засал
Гуяны гоо сайхны мэс засал
Гуяны өөх соруулах
Гуяны өөх соруулах мэс засал
Гуяны хэлбэр засах мэс засал
Гэрээтсэн хамар засах (Хамрын нуруунд арьсны жинхэнэ давхарга шилжүүлэн суулгах)
Давхар булан нээх + Дээд зовхины дахин хагалгаа
Давхар эрүү татах, Давхар эрүүний өөх соруулах
Давхар эрүүний булчин зангидах
Давхар эрүүний булчин зангидах + Эпитикон утас (эрүүний шугам)
Давхар эрүүний булчин зангидах + Эрүүний өөх шилжүүлэн суулгах
Давхар эрүүний булчин зангидах + Эрүүний филлер
Давхар эрүүний өөх соруулах
Давхар эрүүний өөх соруулах ба булчин зангидах
Давхар эрүүний өөх соруулах, Давхар эрүүний булчин зангидах
Давхар эрүүний өөх соруулах, Утас татах
Давхар эрүүний өөх соруулах, Утас татах, Эрүүний суулгац
Давхар эрүүний өөх соруулах, Хацрын урд хэсэг татах
Давхраа - Зүсэлттэй арга
Давхраа (Байгалийн наалдац)
Давхраа (Байгалийн наалдац), Нүдний дотор булан нээх
Давхраа (Зүсэлтгүй), Хөмсөгний доорх арьс татах, Доод зовхины хагалгаа
Давхраа (Зүсэлттэй)
Давхраа (Зүсэлттэй) + Нүдний хэлбэр засах (Птоз засах)
Давхраа (Зүсэлттэй), Нүдний дотор булан нээх
Давхраа (Зүсэлттэй), Нүдний дотор булан нээх, Нүдний гадна булан нээх, Нүдний доод булан нээх, Хамар (Хамрын нуруу, Хамрын үзүүр), Хамрын угалз нарийсгах (Зүсэлттэй), Дөрвөлжин эрүү, Шанаа, Эрүүний үзүүр, Цухуйсан ам, Нүүрний бүх хэсэгт өөх шилжүүлэн суулгах
Давхраа (Зүсэлттэй), Хөмсөгний доорх арьс татах
Давхраа (Зүсэлттэй), Хөмсөгний доорх арьс татах, Доод зовхины хагалгаа, Нүдний доор өөх шилжүүлэн суулгах
Давхраа (Оёдолгүй - Баруун нүд)
Давхраа (Оёдолгүй)
Давхраа (Оёдолгүй) + Нүдний дотор булан нээх
Давхраа (Оёдолгүй) давтан хагалгаа
Давхраа (Оёдолгүй) давтан хагалгаа, Духны арьс татах (Утсаар бэхлэх), Хамар (Хамрын нуруу, Хамрын үзүүр), Яс тайрах, Гүдгэр хамар, Хамрын филлер уусгах
Давхраа (Оёдолгүй) давтан хагалгаа, Нүдний доод булан нээх, Нүдний доорх өөх авах
Давхраа (Оёдолгүй) давтан хагалгаа, Нүдний дотор булан нээх
Давхраа (Оёдолгүй), Доод зовхины хагалгаа
Давхраа (Оёдолгүй), Духны арьс татах (Утсаар бэхлэх), Доод зовхины хагалгаа
Давхраа (Оёдолгүй), Нүдний дотор булан нээх
Давхраа (Оёдолгүй), Нүдний дотор булан нээх, Нүдний гадна булан нээх, Нүдний доод булан нээх
Давхраа (Оёдолгүй), Хөмсөгний доорх арьс татах, Доод зовхины хагалгаа
Давхраа (Хагас зүсэлттэй)
Давхраа (Хагас зүсэлттэй) давтан хагалгаа
Давхраа (Хагас зүсэлттэй) давтан хагалгаа, Нүдний дотор булан нээх
Давхраа (Хагас зүсэлттэй) давтан хагалгаа, Нүдний дотор булан нээх давтан хагалгаа, Нүдний гадна булан нээх, Нүдний доод булан нээх
Давхраа (Хагас зүсэлттэй), Духны арьс татах (Эндотайн)
Давхраа (Хагас зүсэлттэй), Нүдний доор өөх шилжүүлэн суулгах
Давхраа (Хагас зүсэлттэй), Нүдний дотор булан нээх
Давхраа давтан мэс засал (зүсэлттэй арга + нүдний хэлбэр засах)
Давхраа давтан мэс засал (зүсэлттэй арга)
Давхраа давтан мэс засал (зүсэлттэй арга) + Нүдний хэлбэр засах
Давхраа давтан мэс засал (зүсэлттэй)
Давхраа давтан мэс засал (зүсэлттэй) + Нүдний хэлбэр засах
Давхраа давтан мэс засал (зүсэлттэй), Нүдний доод өөх шилжүүлэн байрлуулах
Давхраа давтан мэс засал (зүсэлттэй), Нүдний дотор булан нээх давтан мэс засал
Давхраа давтан мэс засал (оёдолтой арга)
Давхраа задрахыг засах мэс засал
Давхраа хийх мэс засал (зүсэлттэй арга)
Давхраа хийх мэс засал (зүсэлттэй арга) + Нүдний дотор булан нээх
Давхраа хийх мэс засал (зүсэлттэй арга) + Нүдний хэлбэр засах
Давхраа хийх мэс засал (зүсэлттэй арга) + Нүдний хэлбэр засах + Нүдний дотор булан нээх
Давхраа хийх мэс засал (зүсэлттэй арга), Нүдний дээд булан нээх
Давхраа хийх мэс засал (оёдолтой арга) + Нүдний дотор булан нээх + Нүдний доод өөх авах (TCA)
Давхраагүй зүсэлттэй нүдний хэлбэр засах, зовхины өөх авах
Дермотоксин V-хэлбэрийн эрүү
Донорын хавирганы мөгөөрс, өргөн хамар, хамрын доод хясаа, яс тайрах
Доод зовхи татах + Хөмсөгний доорх арьс татах
Доод зовхины гоо сайхны мэс засал
Доод зовхины гоо сайхны мэс засал, Хөмсөгний доорх арьс татах
Доод зовхины давтан мэс засал
Доод зовхины давтан мэс засал, Өөх шилжүүлэн суулгах (Хацар, хамрын хажуугийн үрчлээ), Хэсэгчилсэн зүсэлттэй арьс татах мэс засал
Доод зовхины давтан мэс засал, Хөмсөгний доорх арьс татах
Доод зовхины давтан мэс засал, Хөмсөгний доорх арьс татах, Өөх шилжүүлэн суулгах (Нүдний доор)
Доод зовхины мэс засал + Давхраа нээх давтан мэс засал (зүсэлттэй)
Доод зовхины мэс засал + Дээд зовхины мэс засал
Доод зовхины мэс засал + Нүдний доорх өөх авах
Доод зовхины мэс засал + Нүдний доорх өөх авах + Өөх дахин байршуулах
Доод зовхины мэс засал + Хөмсөгний доорх арьс татах
Доод зовхины мэс засал + Хөмсөгний доорх арьс татах мэс засал
Доод зовхины мэс засал, Зовхи дотогш эргэх засах мэс засал, Гадна булан бэхлэх мэс засал
Доод зовхины мэс засал, Өөх шилжүүлэн суулгах (Хацрын төвгөр хэсэгт)
Доод зовхины өөх авах
Доод зовхины хагалгаа
Доод зовхины хагалгаа, Дух татах (Утасаар бэхлэх)
Доод зовхины хагалгаа, Нүдний доод өөх дахин хуваарилах, Нүүрний дунд хэсэг татах
Доод зовхины хагалгаа, Нүүрний дунд хэсэг татах
Доод зовхины хагалгаа, Нүүрний дунд хэсэг татах, Нүдний доод өөх дахин хуваарилах
Доод зовхины хагалгаа, Өөх шилжүүлэн суулгах (Нүдний доор)
Доод зовхины хагалгаа, Хацрын урд хэсэгт өөх шилжүүлэн суулгах
Доод зовхины хагалгаа, Хөмсөг өргөх хагалгаа
Доод зовхины хагалгаа, Хөмсөг өргөх хагалгаа, Нүдний доод өөх дахин хуваарилах
Доод зовхины хагалгаа, Хөмсөгний доогуур зүсэлттэй татах
Доод зовхины хагалгаа, Хөмсөгний доогуур зүсэлттэй татах (Өөх авах)
Доод зовхины хагалгаа, Хөмсөгний доогуур зүсэлттэй татах, Нүдний дотор булан нээх
Доод зовхины хагалгаа, Хөмсөгний доогуур зүсэлттэй татах, Нүүрний дунд хэсэг татах, Нүүр татах хагалгаа, Өөх шилжүүлэн суулгах (Бүтэн нүүр), Ботокс (Хөмсөг хооронд), Фраксель, PDRN тариа, DDR
Доод зовхины хагалгаа, Хөмсөгний доогуур зүсэлттэй татах, Өөх шилжүүлэн суулгах (Нүдний доор), Ботокс (Нүдний эргэн тойрон)
Доод эрүү / Араа шүдний хэсэг / 3-аас доош / Яс шилжүүлэн суулгах
Доод эрүү / Араа шүдний хэсэг / 3-аас доош / Яс шилжүүлэн суулгах | Артерийн даралт ихсэх
Доод эрүү / Араа шүдний хэсэг / 3-аас доош / Яс шилжүүлэн суулгах | Артерийн даралт ихсэх | Чихрийн шижин
Доод эрүү / Араа шүдний хэсэг / 3-аас доош / Яс шилжүүлэн суулгах | Унтуулгатай
Доод эрүү / Араа шүдний хэсэг / 3-аас доош / Яс шилжүүлэн суулгах | Унтуулгатай | Артерийн даралт ихсэх
Доод эрүү / Үүдэн шүдний хэсэг / 3-аас доош / Яс шилжүүлэн суулгах
Доод эрүү / Үүдэн шүдний хэсэг / 3-аас доош / Яс шилжүүлэн суулгах | Артерийн даралт ихсэх
Доод эрүү / Үүдэн шүдний хэсэг / 3-аас доош / Яс шилжүүлэн суулгах | Аспирин
Доод эрүү / Үүдэн шүдний хэсэг / 3-аас доош / Яс шилжүүлэн суулгах | Унтуулгатай
Доод эрүү / Үүдэн шүдний хэсэг / 3-аас доош / Яс шилжүүлэн суулгах | Унтуулгатай | Артерийн даралт ихсэх
Доод эрүү / Үүдэн шүдний хэсэг / 3-аас доош / Яс шилжүүлэн суулгах | Унтуулгатай | Артерийн даралт ихсэх | Чихрийн шижин
Доод эрүү / Үүдэн шүдний хэсэг / 3-аас доош / Яс шилжүүлэн суулгах | Унтуулгатай | Чихрийн шижин
Доод эрүү / Үүдэн шүдний хэсэг / 4-өөс дээш / Артерийн даралт ихсэх
Доод эрүү / Үүдэн шүдний хэсэг / 4-өөс дээш / Яс шилжүүлэн суулгах
Доод эрүү / Үүдэн шүдний хэсэг / 4-өөс дээш / Яс шилжүүлэн суулгах | Унтуулгатай
Доод эрүү / Үүдэн шүдний хэсэг / 4-өөс дээш / Яс шилжүүлэн суулгах | Унтуулгатай | Артерийн даралт ихсэх
Доод эрүү / Үүдэн шүдний хэсэг / 4-өөс дээш / Яс шилжүүлэн суулгах | Унтуулгатай | Артерийн даралт ихсэх | Чихрийн шижин
Доод эрүү / Үүдэн шүдний хэсэг / 4-өөс дээш / Яс шилжүүлэн суулгах | Унтуулгатай | Артерийн даралт ихсэх | Чихрийн шижин | Аспирин
Доод эрүү/Араа шүдний хэсэг / 3 ба түүнээс доош / Яс нөхөх|Аспирин
Доод эрүү/Араа шүдний хэсэг / 3 ба түүнээс доош / Яс нөхөх|Унтуулга|Даралт ихсэх|Чихрийн шижин|Аспирин
Доод эрүү/Араа шүдний хэсэг / 3 ба түүнээс доош / Яс нөхөх|Унтуулга|Чихрийн шижин
Доод эрүү/Араа шүдний хэсэг / 4 ба түүнээс дээш / Яс нөхөх
Доод эрүү/Араа шүдний хэсэг / 4 ба түүнээс дээш / Яс нөхөх|Даралт ихсэх
Доод эрүү/Араа шүдний хэсэг / 4 ба түүнээс дээш / Яс нөхөх|Унтуулга
Доод эрүү/Араа шүдний хэсэг / 4 ба түүнээс дээш / Яс нөхөх|Унтуулга|Аспирин
Доод эрүү/Араа шүдний хэсэг / 4 ба түүнээс дээш / Яс нөхөх|Унтуулга|Даралт ихсэх
Доод эрүү/Араа шүдний хэсэг / 4 ба түүнээс дээш / Яс нөхөх|Унтуулга|Даралт ихсэх|Чихрийн шижин
Доод эрүү/Бүтэн / Яс нөхөх
Доод эрүү/Бүтэн / Яс нөхөх|Даралт ихсэх
Доод эрүү/Бүтэн / Яс нөхөх|Унтуулга
Доод эрүү/Бүтэн / Яс нөхөх|Унтуулга|Даралт ихсэх
Доод эрүү/Бүтэн / Яс нөхөх|Унтуулга|Чихрийн шижин
Дотор зовхины эргэлт (Энтропион)
Дотуур зүсэлттэй хамрын хагалгаа (битүү арга)
Дунд насны нүдний гоо сайхны хагалгаа
Дурангийн дух татах мэс засал
Дусал хэлбэрийн хөх томруулах мэс засал (255cc)
Дусал хэлбэрийн хөх томруулах мэс засал (280cc)
Дусал хэлбэрийн хөх томруулах мэс засал (375cc)
Дусал хэлбэрийн хөх томруулах мэс засал (Mentor 270cc)
Дусал хэлбэрийн хөх томруулах мэс засал (Mentor 295cc)
Дусал хэлбэрийн хөх томруулах мэс засал (Mentor 305cc)
Дусал хэлбэрийн хөх томруулах мэс засал (Polytech 240cc)
Дусал хэлбэрийн хөх томруулах мэс засал (Polytech 260cc)
Дусал хэлбэрийн хөх томруулах мэс засал (Polytech 275cc)
Дусал хэлбэрийн хөх томруулах мэс засал (Polytech 300cc)
Дусал хэлбэрийн хөх томруулах мэс засал (Polytech 315cc)
Дусал хэлбэрийн хөх томруулах мэс засал (Polytech 350cc)
Дусал хэлбэрийн хөх томруулах мэс засал (Sebin 325cc)
Дусал хэлбэрийн хөх томруулах мэс засал (Silimed 275cc)
Дух багасгах
Дух багасгах мэс засал
Дух сойх мэс засал
Дух сойх мэс засал (Дурангийн)
Дух сойх мэс засал (Утсаар бэхлэх)
Дух сойх мэс засал (Эндотайн)
Дух сойх мэс засал (Яс нүхлэх арга)
Дух сойх мэс засал, Байгалийн наалдац аргаар давхраа хийх мэс засал
Дух сойх мэс засал, Байгалийн наалдац аргаар давхраа хийх мэс засал, Нүдний доорх өөх дахин хуваарилах мэс засал
Дух сойх мэс засал, Доод зовхины мэс засал, Хөмсөгний доогуур сойх мэс засал, Өөх шилжүүлэн суулгах (нүдний доор)
Дух сойх мэс засал, Зүсэлттэй давтан мэс засал
Дух сойх мэс засал, Нүүрний хэлбэр засах мэс засал, Нүүрний өөх соруулах мэс засал, Эрүүний суулгац
Дух сойх мэс засал, Хөмсөг сойх мэс засал
Дух сойх мэс засал, Хөмсөг сойх мэс засал, Доод зовхины мэс засал, Нүүрний дунд хэсэг сойх мэс засал
Дух татах (утсаар бэхлэх), Нүүрний бүх хэсэгт өөх шилжүүлэн суулгах, Хамар орчмын суулгац
Дух татах лифтинг
Дух татах мэс засал
Духанд өөх шилжүүлэн суулгах
Духны өөх шилжүүлэн суулгах мэс засал
Духны суулгац
Духны филлер
Дээд зовхи засах (давхраа засах), доод зовхи засах, нүдний хэлбэр засах, гадна булан нээх, нүдний өөх шилжүүлэн байршуулах, давхрааны шугам намсгах...
Дээд зовхи засах (дахин хагалгаа)
Дээд зовхи засах + доод зовхи засах
Дээд зовхи засах + доод зовхи засах + нүдний хэлбэр засах
Дээд зовхи засах + доод зовхины өөх шилжүүлэн байршуулах
Дээд зовхи засах + дотор булан нээх
Дээд зовхи засах + нүдний дахин хагалгаа + дотор булан нээх + доод тал руу нээх
Дээд зовхи засах + нүдний хэлбэр засах
Дээд зовхи засах + хөмсөгний доорх арьс татах
Дээд зовхи засах, доод зовхи засах, гадна булан бэхлэх
Дээд зовхи засах, доод зовхи засах, нүдний хэлбэр засах
Дээд зовхи засах, доод зовхи засах, нүдний хэлбэр засах, дотор булан нээх, гадна булан бэхлэх...
Дээд зовхинд өөх шилжүүлэн суулгах
Дээд зовхинд өөх шилжүүлэн суулгах (Дахин_Хөндийрсөн нүд засах)
Дээд зовхинд өөх шилжүүлэн суулгах, хөмсөг өргөх мэс засал
Дээд зовхины гоо сайхны мэс засал, Доод зовхины гоо сайхны мэс засал
Дээд зовхины давтан мэс засал
Дээд зовхины давтан мэс засал + Доод зовхины мэс засал
Дээд зовхины давтан мэс засал, Нүдний доод өөх шилжүүлэн байрлуулах
Дээд зовхины дахин хагалгаа
Дээд зовхины дахин хагалгаа + нүдний доод өөх авах
Дээд зовхины мэс засал
Дээд зовхины мэс засал (хонхорхой нүд, давхар үрчлээ засах), нүдний дээд хэсэгт өөх шилжүүлэн суулгах
Дээд зовхины мэс засал + Нүдний доод өөх шилжүүлэн байрлуулах
Дээд зовхины мэс засал, Доод зовхины мэс засал
Дээд зовхины мэс засал, Дотор булан нээлтийг сэргээх
Дээд зовхины мэс засал, Зүсэлттэй (Хоёр зураас арилгах, 3 дахь удаа), Нүдний хэлбэр засах, Өөх шилжүүлэн суулгах (Зовхи), Шугам намсгах...
Дээд зовхины мэс засал, Нүдний доод өөх шилжүүлэн байрлуулах
Дээд зовхины мэс засал, Нүдний хэлбэр засах
Дээд зовхины мэс засал, Нүдний хэлбэр засах (Птоз засах)
Дээд зовхины мэс засал, Нүдний хэлбэр засах + Давтан мэс засал
Дээд зовхины мэс засал, Нүдний хэлбэр засах + Доод зовхины мэс засал
Дээд зовхины мэс засал, Нүдний хэлбэр засах давтан мэс засал
Дээд зовхины мэс засал, Нүдний хэлбэр засах мэс засал
Дээд зовхины мэс засал, Нүдний хэлбэр засах, Доод зовхины мэс засал
Дээд зовхины мэс засал, Нүдний хэлбэр засах, Доод зовхины мэс засал, Гадна булан засах мэс засал
Дээд зовхины мэс засал, Нүдний хэлбэр засах, Доод зовхины өөх шилжүүлэн байрлуулах, Нүдний дээд хэсэгт өөх шилжүүлэн суулгах
Дээд зовхины мэс засал, Нүдний хэлбэр засах, Дээд өнцөг нээх
Дээд зовхины мэс засал, Нүдний хэлбэр засах, Нүдний дээд хэсэгт өөх шилжүүлэн суулгах
Дээд зовхины мэс засал, Нүдний хэлбэр засах, Хөмсөг сойх мэс засал
Дээд зовхины мэс засал, Хөмсөг сойх мэс засал
Дээд зовхины мэс засал, Хөмсөгний доорх арьс татах
Дээд зовхины нээлт, Зүсэлттэй давхраа, Нүдний хэлбэр засах, Нүдний сүүл хэсгийг нээх, Нүдний доод хэсгийг нээх
Дээд эрүү / Араа шүдний хэсэг / 3 хүртэлх / Яс шилжүүлэн суулгах
Дээд эрүү / Араа шүдний хэсэг / 3 хүртэлх / Яс шилжүүлэн суулгах | Унтуулгатай
Дээд эрүү / Араа шүдний хэсэг / 3 хүртэлх / Яс шилжүүлэн суулгах | Унтуулгатай | Цусны даралт ихсэх
Дээд эрүү / Араа шүдний хэсэг / 3 хүртэлх / Яс шилжүүлэн суулгах | Унтуулгатай | Чихрийн шижин
Дээд эрүү / Араа шүдний хэсэг / 3 хүртэлх / Яс шилжүүлэн суулгах | Цусны даралт ихсэх
Дээд эрүү / Араа шүдний хэсэг / 3 хүртэлх / Яс шилжүүлэн суулгах | Цусны даралт ихсэх | Чихрийн шижин
Дээд эрүү / Араа шүдний хэсэг / 4 ба түүнээс дээш / Яс шилжүүлэн суулгах
Дээд эрүү / Араа шүдний хэсэг / 4 ба түүнээс дээш / Яс шилжүүлэн суулгах | Унтуулгатай
Дээд эрүү / Араа шүдний хэсэг / 4 ба түүнээс дээш / Яс шилжүүлэн суулгах | Унтуулгатай | Цусны даралт ихсэх
Дээд эрүү / Араа шүдний хэсэг / 4 ба түүнээс дээш / Яс шилжүүлэн суулгах | Унтуулгатай | Цусны даралт ихсэх | Чихрийн шижин
Дээд эрүү / Араа шүдний хэсэг / 4 ба түүнээс дээш / Яс шилжүүлэн суулгах | Унтуулгатай | Цусны даралт ихсэх | Чихрийн шижин | Аспирин
Дээд эрүү / Араа шүдний хэсэг / 4 ба түүнээс дээш / Яс шилжүүлэн суулгах | Цусны даралт ихсэх
Дээд эрүү / Бүтэн / Яс шилжүүлэн суулгах
Дээд эрүү / Урд шүдний хэсэг / 3 хүртэлх /
Дээд эрүү / Урд шүдний хэсэг / 3 хүртэлх / Яс шилжүүлэн суулгах
Дээд эрүү / Урд шүдний хэсэг / 3 хүртэлх / Яс шилжүүлэн суулгах | Унтуулгатай
Дээд эрүү / Урд шүдний хэсэг / 3 хүртэлх / Яс шилжүүлэн суулгах | Унтуулгатай | Аспирин
Дээд эрүү / Урд шүдний хэсэг / 3 хүртэлх / Яс шилжүүлэн суулгах | Унтуулгатай | Цусны даралт ихсэх
Дээд эрүү / Урд шүдний хэсэг / 3 хүртэлх / Яс шилжүүлэн суулгах | Унтуулгатай | Цусны даралт ихсэх | Чихрийн шижин | Аспирин
Дээд эрүү / Урд шүдний хэсэг / 3 хүртэлх / Яс шилжүүлэн суулгах | Цусны даралт ихсэх
Дээд эрүү / Урд шүдний хэсэг / 3 хүртэлх / Яс шилжүүлэн суулгах | Цусны даралт ихсэх | Чихрийн шижин
Дээд эрүү / Урд шүдний хэсэг / 4 ба түүнээс дээш / Яс шилжүүлэн суулгах
Дээд эрүү / Урд шүдний хэсэг / 4 ба түүнээс дээш / Яс шилжүүлэн суулгах | Аспирин
Дээд эрүү / Урд шүдний хэсэг / 4 ба түүнээс дээш / Яс шилжүүлэн суулгах | Унтуулгатай
Дээд эрүү / Урд шүдний хэсэг / 4 ба түүнээс дээш / Яс шилжүүлэн суулгах | Унтуулгатай | Цусны даралт ихсэх
Дээд эрүү / Урд шүдний хэсэг / 4 ба түүнээс дээш / Яс шилжүүлэн суулгах | Унтуулгатай | Цусны даралт ихсэх | Чихрийн шижин
Дээд эрүү / Урд шүдний хэсэг / 4 ба түүнээс дээш / Яс шилжүүлэн суулгах | Цусны даралт ихсэх
Дээд эрүү / Урд шүдний хэсэг / 4 ба түүнээс дээш / Яс шилжүүлэн суулгах | Цусны даралт ихсэх | Чихрийн шижин
Дээд эрүү / Урд шүдний хэсэг / 4 ба түүнээс дээш / Яс шилжүүлэн суулгах | Чихрийн шижин
Дээд эрүү / Урд шүдний хэсэг / 4 ба түүнээс дээш / Яс шилжүүлэн суулгах | Чихрийн шижин | Аспирин
Дээд эрүү/Бүтэн / Яс шилжүүлэн суулгах | Унтуулгатай
Дээд эрүү/Бүтэн / Яс шилжүүлэн суулгах | Унтуулгатай | Аспирин
Дээд эрүү/Бүтэн / Яс шилжүүлэн суулгах | Унтуулгатай | Цусны даралт ихсэх
Дээд эрүү/Бүтэн / Яс шилжүүлэн суулгах | Унтуулгатай | Цусны даралт ихсэх | Чихрийн шижин
Жамбер утас
Жамбер утас татах лифтинг
Жамбер утас, Хамар амны нугалаасны филлер
Жүвидэрм волифт
Жүвэлүүк волюм
Залуу насны дух өргөх хагалгаа
Залуу насны дух өргөх хагалгаа, Наалдуулах аргаар давхраа хийх, Дээд булан нээх
Залуужуулах үйлчилгээ ба арьс татах (лифтинг)
Зовхи засах мэс засал
Зовхи засах мэс засал (Хэсэгчилсэн зүсэлттэй)
Зовхи засах мэс засал (Хэсэгчилсэн зүсэлттэй), нүдний дотор булан нээх мэс засал
Зовхины таталт засах хагалгаа (хэт засалтыг сэргээх), дээд зовхины хагалгаа, доод зовхины хагалгаа
Зөөлөн эдийн хэлбэржүүлэлт + Бүтэн мини лифтинг
Зөөлөн эдийн хэлбэржүүлэлт + Мини лифтинг
Зүсэлтгүй давтан хагалгаа + нүдний доод зовхинд өөх шилжүүлэн суулгах
Зүсэлтгүй нүдний хэлбэр засах
Зүсэлтгүй нүдний хэлбэр засах + давтан хагалгаа + урагш нээх
Зүсэлтгүй нүдний хэлбэр засах + давхар нээх + давтан хагалгаа
Зүсэлтгүй нүдний хэлбэр засах + доош нээх + хойш нээх
Зүсэлтгүй нүдний хэлбэр засах + дээш нээх + хойш нээх + доош нээх
Зүсэлтгүй нүдний хэлбэр засах + урагш нээх
Зүсэлтгүй нүдний хэлбэр засах + урагш нээх + дээш нээх + хойш нээх + доош нээх
Зүсэлтгүй нүдний хэлбэр засах + хойш нээх + доош нээх
Зүсэлтгүй нүдний хэлбэр засах давтан хагалгаа
Зүсэлтгүй нүдний хэлбэр засах давтан хагалгаа + доош нээх + хойш нээх давтан хагалгаа
Зүсэлтгүй нүдний хэлбэр засах давтан хагалгаа + урагш нээх
Зүсэлтгүй нүдний хэлбэр засах давтан хагалгаа, давхрааны шугам намсгах, нүдний дээд зовхинд өөх шилжүүлэн суулгах
Зүсэлтгүй нүдний хэлбэр засах, давхрааны шугам намсгах, нүдний дээд зовхинд өөх шилжүүлэн суулгах
Зүсэлтгүй нүдний хэлбэр засах, дээш нээх
Зүсэлтгүй нүдний хэлбэр засах, дээш нээх, хойш болон доош нээх, нүдний доод өөхний байрлал солих
Зүсэлтгүй нүдний хэлбэр засах, нүд нээх хагалгаа, нүдний доод өөхний байрлал солих
Зүсэлтгүй нүдний хэлбэр засах, нүд нээх хагалгаа, нүдний дээд зовхинд өөх шилжүүлэн суулгах, нүдний доод өөхний байрлал солих
Зүсэлтгүй нүдний хэлбэр засах, нүдний доод өөхний байрлал солих
Зүсэлтгүй нүдний хэлбэр засах, нүдний доод өөхний байрлал солих, өөх шилжүүлэн суулгах (нүдний доод)
Зүсэлтгүй нүдний хэлбэр засах, урагш нээх
Зүсэлтгүй нүдний хэлбэр засах, урагш нээх, дээш нээх
Зүсэлтгүй нүдний хэлбэр засах, урагш нээх, дээш нээх, хойш нээх
Зүсэлтгүй нүдний хэлбэр засах, хөмсөг өргөх хагалгаа
Зүсэлтгүй нүдний хэлбэр засах, хөмсөг өргөх, зовхины өөх авах
Зүсэлтгүй нүдний хэлбэр засах, хөмсөгний доогуур зүсэлттэй өргөх хагалгаа, нүдний доод өөхний байрлал солих, зовхи дотогш эргэх засах
Зүсэлттэй (5 дахь удаагийн давтан хагалгаа), Нүдний хэлбэр засах, Дотор булан нээх, Нүдний ухархайн өөх шилжүүлэн суулгах...
Зүсэлттэй (Тайралттай, 3 дахь удаа), Давхрааны шугам намсгах
Зүсэлттэй (Тайралттай, 3 дахь удаа), Нүдний хэлбэр засах, Булангийн хэлбэр засах, Давхрааны шугам намсгах...
Зүсэлттэй (Тайралттай, 3 дахь удаагийн давтан хагалгаа), Нүдний хэлбэр засах, Давхрааны шугам намсгах
Зүсэлттэй (Тайралттай, 4 дэх удаа), Нүдний хэлбэр засах, Гадна булан сэргээх, Доод зовхи доошлуулах (Давтан хагалгаа)...
Зүсэлттэй (Тайралттай, 4 дэх удаагийн давтан хагалгаа), Нүдний хэлбэр засах, 2 төрлийн булан нээх (Дотор булан нээх, Доод зовхи доошлуулах), Давхрааны шугам намсгах...
Зүсэлттэй (Тайралттай, Давтан хагалгаа) + Дотор булан нээх + Давхрааны шугам намсгах
Зүсэлттэй (Тайралттай, Давтан хагалгаа), Нүдний хэлбэр засах, Давхрааны шугам намсгах
Зүсэлттэй (Тайралттай, Давтан хагалгаа), Нүдний хэлбэр засах, Дотор булан сэргээх, 2 төрлийн булан нээх (Гадна булан нээх, Доод зовхи доошлуулах), Давхрааны шугам намсгах...
Зүсэлттэй (Тайралттай), Нүдний хэлбэр засах, GL доод булан нээх (Гадна булан нээх, Доод зовхи доошлуулах)...
Зүсэлттэй (Тайралттай), Нүдний хэлбэр засах, ROOF өөх авах, Давхрааны шугам намсгах...
Зүсэлттэй (Тайралттай), Нүдний хэлбэр засах, Давхрааны шугам намсгах
Зүсэлттэй (Тайралттай), Нүдний хэлбэр засах, Дотор булан нээх (Давтан хагалгаа), Давхрааны шугам намсгах...
Зүсэлттэй (Тайралттай), Нүдний хэлбэр засах, Дээд булан нээх, Давхрааны шугам намсгах
Зүсэлттэй V-лифтинг
Зүсэлттэй V-лифтинг (SMAS) + Mint утас татах
Зүсэлттэй V-лифтинг (SMAS) + Мини лифтинг (SMAS) + Акюскальпт (Эрүүний шугам)
Зүсэлттэй V-лифтинг + Акю-лифтинг
Зүсэлттэй V-лифтинг + Акюскальпт
Зүсэлттэй давтан хагалгаа
Зүсэлттэй давтан хагалгаа, Доод зовхины өөх дахин хуваарилах
Зүсэлттэй давтан хагалгаа, Дээд булан нээх
Зүсэлттэй давтан хагалгаа, Дээд булан нээх давтан хагалгаа
Зүсэлттэй давтан хагалгаа, Дээд булан нээх, Нүдний доод өөх шилжүүлэн байршуулах
Зүсэлттэй давтан хагалгаа, Нүдний доод өөх шилжүүлэн байршуулах, Хөмсөг өргөх хагалгаа
Зүсэлттэй давтан хагалгаа, Хөмсөг өргөх хагалгаа
Зүсэлттэй давтан хагалгаа, Шугам намсгах
Зүсэлттэй давхраа
Зүсэлттэй давхраа (3 дахь удаа, тайралт), Нүдний хэлбэр засах, ROOF өөх авах, Давхрааны шугам намсгах
Зүсэлттэй давхраа (3 дахь удаагийн давтан хагалгаа), Давхрааны шугам намсгах
Зүсэлттэй давхраа (3 дахь удаагийн давтан хагалгаа), Нүдний хэлбэр засах, 2 төрлийн нээлт (Гадна булан нээх, Доод тал руу нээх), Нүдний доод өөх шилжүүлэн байрлуулах
Зүсэлттэй давхраа (3 дахь удаагийн давтан хагалгаа), Нүдний хэлбэр засах, Гадна булан нээх, Нүдний доод өөх шилжүүлэн байрлуулах
Зүсэлттэй давхраа (3 дахь удаагийн давтан хагалгаа), Нүдний хэлбэр засах, Дотор булан сэргээх
Зүсэлттэй давхраа (3 дахь удаагийн давтан хагалгаа), Нүдний хэлбэр засах, Нүдний доод өөх шилжүүлэн байрлуулах, ROOF өөх авах
Зүсэлттэй давхраа (Давтан хагалгаа, Хоёр шугам гаргах арга), Нүдний хэлбэр засах, Давхрааны шугам намсгах
Зүсэлттэй давхраа (Давтан хагалгаа)
Зүсэлттэй давхраа (Давтан хагалгаа) + Нүдний хэлбэр засах
Зүсэлттэй давхраа (Давтан хагалгаа), Давхрааны шугам намсгах
Зүсэлттэй давхраа (Давтан хагалгаа), Дээд булан нээх
Зүсэлттэй давхраа (Давтан хагалгаа), Дээд зовхинд өөх шилжүүлэн суулгах
Зүсэлттэй давхраа (Давтан хагалгаа), Нүдний ухархайн өөх шилжүүлэн байрлуулах
Зүсэлттэй давхраа (Давтан хагалгаа), Нүдний хэлбэр засах
Зүсэлттэй давхраа (Давтан хагалгаа), Нүдний хэлбэр засах, 2 төрлийн нээлт (Гадна булан нээх, Доод тал руу нээх)
Зүсэлттэй давхраа (Давтан хагалгаа), Нүдний хэлбэр засах, 2 төрлийн нээлт (Дотор булан нээх, Дээд зовхины нээлт)
Зүсэлттэй давхраа (Давтан хагалгаа), Нүдний хэлбэр засах, Булан нээх
Зүсэлттэй давхраа (Давтан хагалгаа), Нүдний хэлбэр засах, Гадна булан нээх
Зүсэлттэй давхраа (Давтан хагалгаа), Нүдний хэлбэр засах, Дотор булан нээх
Зүсэлттэй давхраа (Давтан хагалгаа), Нүдний хэлбэр засах, Дотор булан нээх (Давтан хагалгаа)
Зүсэлттэй давхраа (Давтан хагалгаа), Нүдний хэлбэр засах, Дотор булан нээх, ROOF өөх авах
Зүсэлттэй давхраа (Давтан хагалгаа), Нүдний хэлбэр засах, Дотор булан нээх, Зовхи дотогш эргэх засал, ROOF өөх авах
Зүсэлттэй давхраа (Давтан хагалгаа), Нүдний хэлбэр засах, Дээд булан нээх, Гадна болон доод булан нээх
Зүсэлттэй давхраа (Давтан хагалгаа), Нүдний хэлбэр засах, Дээд зовхинд өөх шилжүүлэн суулгах
Зүсэлттэй давхраа (Давтан хагалгаа), Нүдний хэлбэр засах, Зовхи дотогш эргэх засал, ROOF өөх авах
Зүсэлттэй давхраа (Давтан хагалгаа), Нүдний хэлбэр засах, Нүдний ухархайн өөх шилжүүлэн байрлуулах
Зүсэлттэй давхраа (Давтан хагалгаа), Өөх шилжүүлэн байрлуулах
Зүсэлттэй давхраа (Давтан_Зузаан давхраа засах, Тэгш бус хэм засах)
Зүсэлттэй давхраа (Давтан_зузаан давхраа засах)
Зүсэлттэй давхраа (Давтан_тэгш бус болон зузаан давхраа засах)
Зүсэлттэй давхраа (Давтан_Тэгш бус нүд засах, Зузаан давхраа засах), Нүдний хэлбэр засах
Зүсэлттэй давхраа (Давтан_Хөндийрсөн зовхи засах), Нүдний хэлбэр засах
Зүсэлттэй давхраа (Давтан_Хөндийрсөн зовхи засах), Нүдний хэлбэр засах, Дээд зовхинд өөх шилжүүлэн суулгах
Зүсэлттэй давхраа (Давтан_Хөндийрсөн нүд засах), Нүдний дээд зовхинд өөх шилжүүлэн суулгах, Нүдний хэлбэр засах
Зүсэлттэй давхраа (Давтан_Шугам намсгах, Арьс хасахгүйгээр шугам засах)
Зүсэлттэй давхраа (Давтан_Шугам намсгах)
Зүсэлттэй давхраа (Давтан_Шугам намсгах), Нүдний хэлбэр засах
Зүсэлттэй давхраа (Давтан_Шугам намсгах), Нүдний хэлбэр засах, Доод зовхины өөх дахин хуваарилах
Зүсэлттэй давхраа (Давтан) + Доод зовхины хагалгаа
Зүсэлттэй давхраа (Нүдний хэлбэр засах), Дотор булан нээх
Зүсэлттэй давхраа (Өөх авах), Нүдний хэлбэр засах
Зүсэлттэй давхраа (Хоёр шугам гаргах арга, 2 дахь удаа), Нүдний хэлбэр засах, Дотор булан нээх, Зовхи дотогш эргэх засал, Давхрааны шугам намсгах
Зүсэлттэй давхраа (Хоёр шугам гаргах арга, 4 дэх удаагийн давтан хагалгаа), Зовхины ухралт засах (Хэт засалтыг сэргээх), Давхрааны шугам намсгах
Зүсэлттэй давхраа (Хоёр шугам гаргах арга, Давтан хагалгаа), Нүдний хэлбэр засах, Давхрааны шугам намсгах
Зүсэлттэй давхраа (Хоёр шугам гаргах арга), Давхрааны шугам намсгах
Зүсэлттэй давхраа (Хоёр шугам гаргах арга), Нүдний хэлбэр засах, Дотор булан сэргээх
Зүсэлттэй давхраа + Дотор булан нээх
Зүсэлттэй давхраа давтан хагалгаа
Зүсэлттэй давхраа давтан хагалгаа (шугам намсгах)
Зүсэлттэй давхраа давтан хагалгаа + Нүдний хэлбэр засах + Дотор булан нээх
Зүсэлттэй давхраа давтан хагалгаа, Гадна булан нээх, Доод булан нээх
Зүсэлттэй давхраа давтан хагалгаа, Давхрааны шугам намсгах
Зүсэлттэй давхраа давтан хагалгаа, Давхрааны шугам намсгах, Доод булан нээх
Зүсэлттэй давхраа давтан хагалгаа, шугам намсгах
Зүсэлттэй давхраа хийх хагалгаа
Зүсэлттэй давхраа, 2 төрлийн булан нээх (Гадна булан нээх, Доод зовхи доошлуулах)
Зүсэлттэй давхраа, 45 градусын дотор дээд булан нээх
Зүсэлттэй давхраа, 45 градусын дотор дээш нээх, Дээд зовхины өөх авах
Зүсэлттэй давхраа, Дотор булан нээх
Зүсэлттэй давхраа, Дотор булан нээх, Булан нээх, Доод зовхи доошлуулах
Зүсэлттэй давхраа, дотор булан нээх, булан нээх, зовхины өөх авах
Зүсэлттэй давхраа, дотор булан нээх, дээд булан нээх
Зүсэлттэй давхраа, дээд булан нээх
Зүсэлттэй давхраа, дээд булан нээх, нүдний доод өөх шилжүүлэн байрлуулах
Зүсэлттэй давхраа, Дээд булан нээх, Хөмсөг өргөх хагалгаа
Зүсэлттэй давхраа, Дээд зовхины нээлт
Зүсэлттэй давхраа, Дээд зовхины нээлт, Нүдний ухархайн өөх шилжүүлэн байрлуулах
Зүсэлттэй давхраа, Дээд зовхины нээлт, Хамар, Силикон, Хамрын үзүүр (Хамрын таславч)
Зүсэлттэй давхраа, Дээш нээх
Зүсэлттэй давхраа, зовхины өөх авах
Зүсэлттэй давхраа, Зүсэлттэй нүдний хэлбэр засах
Зүсэлттэй давхраа, Зүсэлттэй нүдний хэлбэр засах, Гадна булан нээх, Доод булан нээх
Зүсэлттэй давхраа, Зүсэлттэй нүдний хэлбэр засах, Дотор булан нээх
Зүсэлттэй давхраа, Зүсэлттэй нүдний хэлбэр засах, Дотор булан нээх, Гадна булан нээх, Доод булан нээх
Зүсэлттэй давхраа, Зүсэлттэй нүдний хэлбэр засах, Дотор булан нээх, Доод булан нээх
Зүсэлттэй давхраа, Нүдний доод өөх шилжүүлэн байршуулах
Зүсэлттэй давхраа, нүдний дээд зовхинд өөх шилжүүлэн суулгах
Зүсэлттэй давхраа, Нүдний хэлбэр засах
Зүсэлттэй давхраа, нүдний хэлбэр засах (тэгш бус байдал засах), нүдний доод өөх шилжүүлэн байрлуулах
Зүсэлттэй давхраа, нүдний хэлбэр засах, 45 градусын дотор дээд булан нээх
Зүсэлттэй давхраа, нүдний хэлбэр засах, булан нээх
Зүсэлттэй давхраа, нүдний хэлбэр засах, дотор болон дээд булан нээх
Зүсэлттэй давхраа, нүдний хэлбэр засах, дотор булан нээлтийг сэргээх
Зүсэлттэй давхраа, Нүдний хэлбэр засах, Дотор булан нээх
Зүсэлттэй давхраа, нүдний хэлбэр засах, дотор булан нээх, зовхины өөх авах
Зүсэлттэй давхраа, нүдний хэлбэр засах, дээд зовхины хэлбэр засах
Зүсэлттэй давхраа, нүдний хэлбэр засах, зовхины өөх авах
Зүсэлттэй давхраа, нүдний хэлбэр засах, нүдний доод өөх шилжүүлэн байрлуулах
Зүсэлттэй давхраа, хөмсөг өргөх хагалгаа
Зүсэлттэй давхрааны дахин мэс засал, Урд нээлт сэргээх, Дээд зовхины нээлт
Зүсэлттэй нүдний хэлбэр засах
Зүсэлттэй нүдний хэлбэр засах (Давтан хагалгаа)
Зүсэлттэй нүдний хэлбэр засах (Давтан хагалгаа) + Гадна булан нээх (Давтан хагалгаа) + Доод зовхи доошлуулах (Давтан хагалгаа)
Зүсэлттэй нүдний хэлбэр засах (Давтан хагалгаа) + Гадна булан нээх + Доод зовхи доошлуулах
Зүсэлттэй нүдний хэлбэр засах (Давтан хагалгаа), Доод зовхи доошлуулах, Нүдний дээд зовхинд өөх шилжүүлэн суулгах
Зүсэлттэй нүдний хэлбэр засах (Давтан хагалгаа), Дээд булан нээх
Зүсэлттэй нүдний хэлбэр засах (Давтан хагалгаа), Попкорн булан нээх
Зүсэлттэй нүдний хэлбэр засах (Давтан хагалгаа), Хөмсөг өргөх
Зүсэлттэй нүдний хэлбэр засах + Гадна булан нээх + Доод булан нээх
Зүсэлттэй нүдний хэлбэр засах + Дотор булан нээх
Зүсэлттэй нүдний хэлбэр засах + Дотор булан нээх + Шонхор хамар засах + Өргөн хамар засах
Зүсэлттэй нүдний хэлбэр засах + Нүдний давтан хагалгаа
Зүсэлттэй нүдний хэлбэр засах давтан хагалгаа
Зүсэлттэй нүдний хэлбэр засах давтан хагалгаа + Дотор булан нээх
Зүсэлттэй нүдний хэлбэр засах давтан хагалгаа + Дотор булан нээх давтан хагалгаа + Гадна булан нээх + Доод булан нээх
Зүсэлттэй нүдний хэлбэр засах давтан хагалгаа + Дээш нээх
Зүсэлттэй нүдний хэлбэр засах давтан хагалгаа + Дээш нээх + Гадна булан нээх + Доод булан нээх
Зүсэлттэй нүдний хэлбэр засах давтан хагалгаа + Дээш нээх + Доод булан нээх + Гадна булан нээх давтан хагалгаа
Зүсэлттэй нүдний хэлбэр засах давтан хагалгаа, Давхрааны зураас намсгах
Зүсэлттэй нүдний хэлбэр засах давтан хагалгаа, Давхрааны зураас намсгах, Дотор булан нөхөн сэргээх
Зүсэлттэй нүдний хэлбэр засах давтан хагалгаа, Давхрааны зураас намсгах, Дотор булан нээх, Дээш нээх
Зүсэлттэй нүдний хэлбэр засах давтан хагалгаа, Давхрааны зураас намсгах, Дээд зовхинд өөх шилжүүлэн суулгах, Нүдний доорх өөх шилжүүлэн байрлуулах, Нүдний доор өөх шилжүүлэн суулгах
Зүсэлттэй нүдний хэлбэр засах давтан хагалгаа, дотор болон дээд булан нээх
Зүсэлттэй нүдний хэлбэр засах давтан хагалгаа, дотор булан нээх
Зүсэлттэй нүдний хэлбэр засах давтан хагалгаа, дээд булан нээх
Зүсэлттэй нүдний хэлбэр засах давтан хагалгаа, дээд булан нээх, дотор булан нээлтийг сэргээх
Зүсэлттэй нүдний хэлбэр засах давтан хагалгаа, Дээд зовхинд өөх шилжүүлэн суулгах
Зүсэлттэй нүдний хэлбэр засах давтан хагалгаа, Дээш нээх
Зүсэлттэй нүдний хэлбэр засах, Гадна булан нээх, Доод булан нээх, Хөмсөг өргөх
Зүсэлттэй нүдний хэлбэр засах, Дотор булан нээх, Дээд булан нээх
Зүсэлттэй нүдний хэлбэр засах, Дотор булан нээх, Дээш нээх
Зүсэлттэй нүдний хэлбэр засах, Дотор булан нээх, Дээш нээх, Нүдний доорх өөх шилжүүлэн байрлуулах
Зүсэлттэй нүдний хэлбэр засах, Дээш нээх
Зүсэлттэй нүдний хэлбэр засах, Дээш нээх, Гадна булан нээх, Доод булан нээх
Зүсэлттэй нүдний хэлбэр засах, Нүдний доорх өөх шилжүүлэн байрлуулах
Зүсэлттэй нүдний хэлбэр засах, Нүдний доорх өөх шилжүүлэн байрлуулах, Духны арьс татах
Зүсэлттэй нүдний хэлбэр засах, Хөмсөг өргөх
Зүсэлттэй нүдний хэлбэр засах, Хөмсөг өргөх хагалгаа
Зүсэлттэй хамрын угалз нарийсгах
Зүсэлттэй, 2 төрлийн нүдний булан нээх (Дотор булан, Дээд булан)
Зүсэлттэй, 3 төрлийн нүдний булан нээх (Дотор булан, Дээд булан, Доод булан), Энтропион засах...
Зүсэлттэй, Дотор булан нээх
Зүсэлттэй, Дотор булан нээх, ROOF өөх авах
Зүсэлттэй, Дотор булан нээх, ROOF өөх авах, Гадна талын бэхэлгээний хагалгаа
Зүсэлттэй, Нүдний доод өөх шилжүүлэн байршуулах, ROOF өөх авах
Зүсэлттэй, Нүдний хэлбэр засах
Зүсэлттэй, Нүдний хэлбэр засах, 2 төрлийн нүдний булан нээх (Гадна булан, Доод булан), Нүдний ухархайн өөх шилжүүлэн байршуулах...
Зүсэлттэй, Нүдний хэлбэр засах, 2 төрлийн нүдний булан нээх (Дотор булан, Дээд булан)
Зүсэлттэй, Нүдний хэлбэр засах, 2 төрлийн нүдний булан нээх (Дотор булан, Дээд булан), ROOF өөх авах...
Зүсэлттэй, Нүдний хэлбэр засах, 2 төрлийн нүдний булан нээх (Дотор булан, Дээд булан), Нүдний доод өөх шилжүүлэн байршуулах, ROOF өөх авах...
Зүсэлттэй, Нүдний хэлбэр засах, 2 төрлийн нүдний булан нээх (Дотор булан, Дээд булан), Хамар, Силикон, Хамрын үзүүр (Таславч), Хамрын угалз нарийсгах, Мөгөөрс боох...
Зүсэлттэй, Нүдний хэлбэр засах, 3 төрлийн нүдний булан нээх (Дотор булан, Гадна булан, Доод булан), ROOF өөх авах...
Зүсэлттэй, Нүдний хэлбэр засах, 3 төрлийн нүдний булан нээх (Дотор булан, Гадна булан, Доод булан)...
Зүсэлттэй, Нүдний хэлбэр засах, 4 төрлийн нүдний булан нээх (Дотор булан, Дээд булан, Гадна булан, Доод булан), ROOF өөх авах...
Зүсэлттэй, Нүдний хэлбэр засах, 4 төрлийн нүдний булан нээх (Дотор булан, Дээд булан, Гадна булан, Доод булан)...
Зүсэлттэй, Нүдний хэлбэр засах, ROOF өөх авах
Зүсэлттэй, Нүдний хэлбэр засах, Дотор булан нээх
Зүсэлттэй, Нүдний хэлбэр засах, Дотор булан нээх, ROOF өөх авах
Зүсэлттэй, Нүдний хэлбэр засах, Дотор булан нээх, Доод булан нээх
Зүсэлттэй, Нүдний хэлбэр засах, Дотор булан нээх, Энтропион засах
Зүсэлттэй, Нүдний хэлбэр засах, Дээд булан нээх
Зүсэлттэй, Нүдний хэлбэр засах, Дээд булан нээх, ROOF өөх авах
Зүсэлттэй, Нүдний хэлбэр засах, Дээд зовхины хагалгаа, Нүдний ухархайн өөх шилжүүлэн байршуулах
Зүсэлттэй, Нүдний хэлбэр засах, Нүдний булан нээх, Хамар, 3D суулгац, Хамрын үзүүр (Таславч), Гүдгэр хамар засах...
Зүсэлттэй, Нүдний хэлбэр засах, Нүдний доод өөх шилжүүлэн байршуулах
Зүсэлттэй, Нүдний хэлбэр засах, Нүдний доод өөх шилжүүлэн байршуулах, Гадна булан нээх
Зүсэлттэй, Нүдний хэлбэр засах, Нүдний ухархайн өөх шилжүүлэн байршуулах, Нүдний доод өөх шилжүүлэн байршуулах...
Зүсэлттэй, Нүдний хэлбэр засах, Энтропион засах
Имплантгүй хамрын мэс засал
Имплантгүй хамрын мэс засал, Шонхор хамар засах
Имплантгүй хамрын мэс засал, Шонхор хамар засах, Богино хамар засах
Имплантгүй хамрын мэс засал, Шонхор хамар, Урт хамар, Луу хамар
Имплантгүй хамрын үзүүр засах, Богино хамар, Муруй хамар
Имплантгүй хамрын үзүүр засах, Өргөн хамар, Богино хамар
Имплантгүй хамрын үзүүр засах, Өргөн хамар, Хамрын угалз нарийсгах
Инмод (InMode)
Инмод FORMA, Шринк, Верчу RF
Инмод FX, Шринк, Верчу RF, Фит тариа
Кларити лазер
Коллаген идэвхжүүлэгч (Рафоллен)
Лифтинг (Арьс татах/өргөх)
Махлаг хамар засах мэс засал
Ментор Экстра_2 дахь сар
Ментор Экстра_9 дэх сар
Ментор Экстра_Текстур имплант солих_6 дахь сар
Ментор Экстра_Хэлбэрт сэтгэл ханамжгүй_5 дахь сар
Мини доод зовхины мэс засал, урд хацарт өөх шилжүүлэн суулгах
Мини доод зовхины хагалгаа, хацрын урд хэсэгт өөх шилжүүлэн суулгах
Мини лифтинг
Мини лифтинг (SMAS)
Мини лифтинг (SMAS) + Минт утас татах мэс засал
Мини лифтинг + V эрүүний шугам татах + Духанд өөх шилжүүлэн суулгах
Мини лифтинг + V эрүүний шугам татах + Минт утас татах мэс засал
Мини лифтинг + V эрүүний шугам татах + Өөх шилжүүлэн суулгах
Мини лифтинг + V эрүүний шугам татах мэс засал
Мини лифтинг + Аккю лифтинг
Мини лифтинг + Аккю лифтинг (хамрын хажуугийн үрчлээний дээд хэсэг)
Мини лифтинг + Акюскальпт
Мини лифтинг + Акюскальпт + Дух өргөх (Эндотайн) + Нүүрний бүх хэсэгт өөх шилжүүлэн суулгах + Ботокс [Дух, эрүү]
Мини лифтинг + Минт лифтинг
Мини лифтинг + Минт утас татах + V эрүүний шугам татах мэс засал
Мини лифтинг + Минт утас татах + Нүүр бүхэлд нь өөх шилжүүлэн суулгах
Мини лифтинг + Минт утас татах + Өөх шилжүүлэн суулгах (дух, хамрын хажуугийн үрчлээ)
Мини лифтинг + Минт утас татах + Эластикүм лифтинг (хүзүү)
Мини лифтинг + Минт утас татах мэс засал
Мини лифтинг + Өөх шилжүүлэн суулгах
Мини лифтинг + Утас татах мэс засал
Мини лифтинг + Эластикүм
Мини лифтинг + Эластикүм + Минт утас татах
Мини лифтинг + Эластикүм + Нүүрний бүх хэсэгт өөх шилжүүлэн суулгах
Мини лифтинг + Эластикүм + Өөх шилжүүлэн суулгах
Мини лифтинг + Эластикүм лифтинг + Дөрвөлжин эрүүний ботокс
Мини хэвлийн хэлбэр засах мэс засал
Минт утас татах
Минт утас татах + Акю (Эрүүний шугам, давхар эрүү)
Минт утас татах + Акю (Эрүүний шугам)
Минт утас татах + Мини лифтинг (SMAS)
Миско + Богино эрүү засах
Мотива
Мотива хөх томруулах мэс засал
Мотива хөх томруулах мэс засал + Дайвар хөх авах
Мотива_1 жил
Мотива_12 дахь сар
Мотива_13 дахь сар
Мотива_2 дахь сар
Мотива_3 дахь сар
Мотива_4 дэх сар
Мотива_5 дахь сар
Мотива_6 дахь сар
Мотива_7 дахь сар
Мотива_8 дахь сар
Мотива_Имплант доошлох_4 дэх сар
Мотива_Капсулын агшилт_6 дахь сар
Мотива_Хэлбэрт сэтгэл ханамжгүй_1 дэх сар
Мотива_Хэмжээнд сэтгэл ханамжгүй_11 дэх сар
Мөрний филлер
Мөрний филлер (+ Трапециус булчингийн ботокс)
Мөрний филлер (+ Трапециус булчингийн токсин)
Муруй хамар засах мэс засал, Шонхор хамар, Хамар өндөрлөх мэс засал (Хамрын нуруу + Хамрын үзүүр)
Муруй хамар, Хамрын үйл ажиллагаа засах, Хамрын угалз багасгах
Мэс заслын бус нүдний доод хэсгийн засал
Мэс заслын бус хамар уруулын нугалаас татах
Мэс заслын бус хамар уруулын нугалаас татах (Jamber утас, хамар уруулын дүүргэгч)
Мэс заслын бус хамар уруулын нугалаас татах (Jamber утас, хамар уруулын дүүргэгч), духны дүүргэгч
Мэс заслын бус хамрын засал
Нүдний буланг нээх хагалгаа
Нүдний гадна болон доод булан нээх мэс засал
Нүдний гадна булан нээх + Доод зовхи нээх мэс засал
Нүдний гадна булан нээх мэс засал
Нүдний гадна булан нээх хагалгааг буцаах
Нүдний гадна булан нээх хагалгааг буцаах, Нүдний дотор булан сунгах (Дахин хагалгаа)
Нүдний гадна булан сунгах
Нүдний гадна булан сунгах + Доод зовхи доошлуулах
Нүдний гадна булан сунгах, Доод зовхи доошлуулах
Нүдний гадна булан сунгах, Нүдний дотор булан сунгах
Нүдний гоо сайхны мэс засал
Нүдний гоо сайхны мэс засал [Байгалийн мэт наалдац үүсгэх давхраа]
Нүдний гоо сайхны мэс засал [Доод зовхины хагалгаа плюс + Нүдний гадна булан бэхлэх мэс засал]
Нүдний гоо сайхны мэс засал + Доод зовхины мэс засал
Нүдний гоо сайхны мэс засал + Доод зовхины хагалгаа
Нүдний гоо сайхны мэс засал + Дээд зовхины мэс засал
Нүдний гоо сайхны мэс засал + Дээд зовхины хагалгаа
Нүдний гоо сайхны мэс засал + Нүдний доорх өөх авах
Нүдний давтан мэс засал + Давхраа оёх + Нүдний гадна булан нээх
Нүдний давтан мэс засал + Зүсэлттэй давхраа + Нүдний гадна булан нээх + Нүдний доод булан нээх
Нүдний давтан мэс засал, Байгалийн наалдацтай давхраа
Нүдний давтан мэс засал, Байгалийн наалдацтай давхраа, Нүдний дотор болон доод булан нээх
Нүдний давтан мэс засал, Зүсэлттэй давхраа
Нүдний давтан мэс засал, Зүсэлттэй давхраа, Нүдний гадна булан нээх
Нүдний давтан мэс засал, Зүсэлттэй давхраа, Хос булан нээх (гадна болон доод)
Нүдний давтан мэс засал, Нүдний хэлбэр засах
Нүдний давтан мэс засал, Нүдний хэлбэр засах (зүсэлттэй)
Нүдний дахин хагалгаа (Байгалийн наалдац арга)
Нүдний дахин хагалгаа (Зүсэлттэй арга), Давхрааны шугам намсгах, Нүдний гадна булан сунгах, Доод зовхи доошлуулах
Нүдний дахин хагалгаа (Зүсэлттэй давхраа), Нүдний доод зовхины өөх дахин хуваарилах
Нүдний дахин хагалгаа (Зүсэлттэй давхраа), Нүдний хэлбэр засах, Доод зовхи доошлуулах, Нүдний дээд зовхинд өөх шилжүүлэн суулгах, Нүдний доод зовхинд өөх шилжүүлэн суулгах, Нүдний доод зовхины өөх дахин хуваарилах
Нүдний дахин хагалгаа (Нүдний гадна булан нээх хагалгааг буцаах)
Нүдний дахин хагалгаа, Байгалийн наалдац арга
Нүдний дахин хагалгаа, Байгалийн наалдац аргаар давхраа хийх
Нүдний дахин хагалгаа, Байгалийн наалдац аргаар давхраа хийх, Зүсэлтгүй нүдний хэлбэр засах, Нүдний дотор булан нээх хагалгааг буцаах
Нүдний дахин хагалгаа, Доод зовхи доошлуулах
Нүдний дахин хагалгаа, Дээд зовхины хагалгаа
Нүдний дахин хагалгаа, Зүсэлттэй давхраа хийх
Нүдний дахин хагалгаа, Зүсэлттэй давхраа хийх, Зүсэлттэй нүдний хэлбэр засах
Нүдний дахин хагалгаа, Зүсэлттэй давхраа хийх, Зүсэлттэй нүдний хэлбэр засах, Нүдний гадна булан сунгах, Доод зовхи доошлуулах
Нүдний дахин хагалгаа, Зүсэлттэй давхраа хийх, Зүсэлттэй нүдний хэлбэр засах, Нүдний дотор булан сунгах
Нүдний дахин хагалгаа, Зүсэлттэй давхраа хийх, Зүсэлттэй нүдний хэлбэр засах, Нүдний дотор булан сунгах, Нүдний гадна булан сунгах, Доод зовхи доошлуулах
Нүдний дахин хагалгаа, Зүсэлттэй давхраа хийх, Нүдний гадна булан сунгах, Нүдний дотор булан сунгах, Доод зовхи доошлуулах
Нүдний дахин хагалгаа, Зүсэлттэй давхраа хийх, Нүдний дээд булан сунгах
Нүдний дахин хагалгаа, Нүдний гадна булан сунгах, Доод зовхи доошлуулах
Нүдний доод буланг нээх
Нүдний доод буланг нээх (Давтан хагалгаа), Нүдний доод өөх дахин хуваарилах
Нүдний доод өөх дахин хуваарилах
Нүдний доод өөх дахин хуваарилах давтан хагалгаа
Нүдний доод өөх дахин хуваарилах давтан хагалгаа, Шанааны урд хэсэгт өөх шилжүүлэн суулгах
Нүдний доод өөх дахин хуваарилах, Дөрвөлжин эрүү, Шанаа, Эрүүний үзүүр, Ясны гадна давхарга авах, Винус лазер
Нүдний доод өөх дахин хуваарилах, Дуал доод зовхины хагалгаа
Нүдний доод өөх дахин хуваарилах, Дуал доод зовхины хагалгаа, Шанааны урд хэсэгт өөх шилжүүлэн суулгах
Нүдний доод өөх дахин хуваарилах, Дуал доод зовхины хагалгаа, Шанааны урд хэсэгт өөх шилжүүлэн суулгах, Нүдний дээд зовхинд өөх шилжүүлэн суулгах
Нүдний доод өөх дахин хуваарилах, Ердийн наалдац (давхраа)
Нүдний доод өөх дахин хуваарилах, Нүдний доод өөх шилжүүлэн суулгах
Нүдний доод өөх дахин хуваарилах, Нүдний хэлбэр засах (зүсэлтгүй)
Нүдний доод өөх дахин хуваарилах, Шанаа нарийсгах, Эрүүний үзүүр нарийсгах, Ясны гадна давхарга авах
Нүдний доод өөх дахин хуваарилах, Шанааны урд хэсэгт өөх шилжүүлэн суулгах
Нүдний доод өөх шилжүүлэн суулгах
Нүдний доорх өөх авах
Нүдний доорх өөх авах (TCA)
Нүдний доорх өөх авах (TCA) + Нүдний доорх өөх шилжүүлэн байрлуулах
Нүдний доорх өөх авах, Дуал доод зовхины хагалгаа, Хацрын урд хэсэгт өөх шилжүүлэн суулгах, Дээд зовхинд өөх шилжүүлэн суулгах
Нүдний доорх өөх шилжүүлэн байрлуулах, Байгалийн мэт наалдац үүсгэх давхраа, Нүдний дээд булан нээх
Нүдний доорх өөх шилжүүлэн байрлуулах, Зүсэлттэй давхраа, Хөмсөг өргөх мэс засал
Нүдний доорх өөх шилжүүлэн байрлуулах, Нүдний дотор булан нээх мэс заслыг нөхөн сэргээх
Нүдний доорх өөх шилжүүлэн байрлуулах, Нүүрний бүх хэсэгт өөх шилжүүлэн суулгах (Full face)
Нүдний доорх өөх шилжүүлэн байрлуулах, Өөх шилжүүлэн суулгах
Нүдний доорх өөх шилжүүлэн байрлуулах, Өөх шилжүүлэн суулгах (Нүдний доор, Хацрын урд хэсэг)
Нүдний доорх өөх шилжүүлэн байрлуулах, Өөх шилжүүлэн суулгах (Нүдний доор)
Нүдний доорх өөх шилжүүлэн байрлуулах, Өөх шилжүүлэн суулгах (Хацрын урд хэсэг, Хамар уруулын нугалаас)
Нүдний доорх өөх шилжүүлэн байрлуулах, Хацрын uрд хэсэгт өөх шилжүүлэн суулгах, Мини доод зовхины хагалгаа
Нүдний доорх өөх шилжүүлэн байрлуулах, Хацрын урд хэсэгт өөх шилжүүлэн суулгах
Нүдний доорх өөх шилжүүлэн байрлуулах, Хөмсөг өргөх мэс засал
Нүдний дотор булан нээх хагалгаа (Эпикантопластик)
Нүдний дотор булан нээх хагалгааг сэргээх
Нүдний дотор булан нээх, байгалийн наалдацтай давхраа хийх
Нүдний дотор булан нээх, дух татах (утсаар бэхлэх)
Нүдний дотор булан нээх, зүсэлтгүй нүдний хэлбэр засах, байгалийн наалдацтай давхраа хийх
Нүдний дотор булан нээх, нүдний гадна булан нээх (дахин хагалгаа), нүдний доод булан нээх
Нүдний дээд зовхинд өөх шилжүүлэн суулгах
Нүдний дээд зовхинд өөх шилжүүлэн суулгах, Нүдний гадна болон доод булан нээх
Нүдний хэлбэр засах (зүсэлтгүй)
Нүдний хэлбэр засах (зүсэлтгүй), Дух татах (Эндотайн)
Нүдний хэлбэр засах (зүсэлтгүй), Нүдний гадна булан нээх
Нүдний хэлбэр засах (зүсэлтгүй), Нүдний гадна булан нээх, Нүдний доод зовхи доошлуулах
Нүдний хэлбэр засах (зүсэлтгүй), Нүдний доод зовхи доошлуулах
Нүдний хэлбэр засах (зүсэлтгүй), Нүдний доод зовхи доошлуулах, Нүдний гадна булан нээх
Нүдний хэлбэр засах (зүсэлтгүй), Нүдний доод өөх дахин хуваарилах
Нүдний хэлбэр засах (зүсэлтгүй), Нүдний доод өөх дахин хуваарилах, Өөх шилжүүлэн суулгах (нүдний доор)
Нүдний хэлбэр засах (зүсэлтгүй), Нүдний дотор булан нээх
Нүдний хэлбэр засах (зүсэлтгүй), Нүдний дотор булан нээх, Муруй хамар засах, Хамрын яс тайрах
Нүдний хэлбэр засах (зүсэлтгүй), Нүдний дотор булан нээх, Нүдний гадна булан нээх
Нүдний хэлбэр засах (зүсэлтгүй), Нүдний дотор булан нээх, Нүдний гадна булан нээх, Нүдний доод зовхи доошлуулах
Нүдний хэлбэр засах (зүсэлтгүй), Нүдний дотор булан нээх, Нүдний доод өөх дахин хуваарилах
Нүдний хэлбэр засах (зүсэлтгүй), Нүдний дотор булан нээх, Хамар засах (хамрын нуруу, хамрын үзүүр), Шонхор хамар засах, Хамрын яс тайрах, Дөрвөлжин эрүү засах, Шанаа багасгах, Эрүүний үзүүр засах
Нүдний хэлбэр засах (зүсэлтгүй), Өөх авах
Нүдний хэлбэр засах (зүсэлтгүй), Хамрын давтан хагалгаа (хамрын нуруу, хамрын үзүүр), Винус лазер
Нүдний хэлбэр засах (зүсэлттэй)
Нүдний хэлбэр засах (зүсэлттэй) давтан хагалгаа
Нүдний хэлбэр засах (зүсэлттэй) давтан хагалгаа, Гадна булан нээх, Доод зовхи доошлуулах
Нүдний хэлбэр засах (зүсэлттэй) давтан хагалгаа, Гадна булан нээх, Доод зовхи доошлуулах, Хамар (хамрын нуруу, хамрын үзүүр), Гүдгэр хамар засах, Чихний мөгөөрс ашиглах, Шанаа, Нүүрний бүх хэсэгт өөх шилжүүлэн суулгах
Нүдний хэлбэр засах (зүсэлттэй) давтан хагалгаа, Дотор булан нээх
Нүдний хэлбэр засах (зүсэлттэй) давтан хагалгаа, Дотор булан нээх, Гадна булан нээх, Хамар (хамрын нуруу, хамрын үзүүр), Хамрын угалз нарийсгах, Шанаа, Эрүүний үзүүр, Хоёр эрүүний хагалгаа, Утас татах, Винус лазер (хацар, эрүүний доод хэсэг), Өөх шилжүүлэн суулгах (шанааны урд хэсэг, дух), Ботокс (хөмсөг хооронд, дух)
Нүдний хэлбэр засах (зүсэлттэй), Гадна булан нээх, Доод зовхи доошлуулах, Хамар (хамрын нуруу, хамрын үзүүр) давтан хагалгаа, Хамрын яс нарийсгах, Хамрын угалз нарийсгах, Дөрвөлжин эрүү, Шанаа, Эрүүний үзүүр, Ясны гадна давхарга авах, Хамрын хажуугийн суулгац, Нүүрний бүх хэсэгт өөх шилжүүлэн суулгах, Винус лазер (хацар, эрүүний доод хэсэг)
Нүдний хэлбэр засах (зүсэлттэй), Гадна булан нээх, Доод зовхи нээх, Нүдний доод өөх дахин хуваарилах
Нүдний хэлбэр засах (зүсэлттэй), Давхрааны шугам намсгах
Нүдний хэлбэр засах (зүсэлттэй), Дотор булан нээх
Нүдний хэлбэр засах (зүсэлттэй), Дотор булан нээх давтан хагалгаа, Гадна булан нээх, Шанаа, Дөрвөлжин эрүү, Эрүүний үзүүр, Өөх шилжүүлэн суулгах, Нүүрний бүх хэсэгт өөх шилжүүлэн суулгах, Винус лазер (эрүүний доод хэсэг)
Нүдний хэлбэр засах (зүсэлттэй), Дотор булан нээх сэргээх, Гадна булан нээх, Доод зовхи доошлуулах
Нүдний хэлбэр засах (зүсэлттэй), Дотор булан нээх, Гадна булан нээх
Нүдний хэлбэр засах (зүсэлттэй), Дотор булан нээх, Гадна булан нээх, Доод зовхи доошлуулах
Нүдний хэлбэр засах (зүсэлттэй), Дотор булан нээх, Гадна булан нээх, Доод зовхи доошлуулах, Нүдний доод өөх дахин хуваарилах, Хамар (хамрын нуруу, хамрын үзүүр), Дөрвөлжин эрүү, Шанаа, Эрүүний үзүүр, Хоёр эрүүний хагалгаа, Урагш түрсэн ам, Нүүрний бүх хэсэгт өөх шилжүүлэн суулгах, Винус лазер (хацар, эрүүний доод хэсэг)
Нүдний хэлбэр засах (зүсэлттэй), Дотор булан нээх, Доод зовхи доошлуулах, Гадна булан нээх
Нүдний хэлбэр засах (зүсэлттэй), Дотор булан нээх, Духны арьс татах (утасаар бэхлэх)
Нүдний хэлбэр засах (зүсэлттэй), Духны арьс татах (утасаар бэхлэх)
Нүдний хэлбэр засах (зүсэлттэй), Нүдний гадна булан нээх
Нүдний хэлбэр засах (зүсэлттэй), Нүдний гадна булан нээх, Нүдний доод зовхи доошлуулах
Нүдний хэлбэр засах (зүсэлттэй), Нүдний гадна булан нээх, Нүдний доод өөх дахин хуваарилах
Нүдний хэлбэр засах (хэсэгчилсэн зүсэлттэй, өөх авах), Нүдний дотор булан нээх
Нүдний хэлбэр засах (хэсэгчилсэн зүсэлттэй), Нүдний дотор булан нээх, Нүдний гадна булан нээх, Нүдний доод зовхи доошлуулах
Нүдний хэлбэр засах (хэсэгчилсэн зүсэлттэй), Нүдний дотор булан нээх, Нүдний өөх авах
Нүдний хэлбэр засах (хэсэгчилсэн зүсэлттэй), Нүдний дотор булан нээх, Хамар засах (хамрын нуруу, хамрын үзүүр), Богино хамар засах, Донор хавирганы мөгөөрс
Нүдний хэлбэр засах (хэсэгчилсэн зүсэлттэй), Өөх авах, Нүдний дотор булан нээх
Нүдний хэлбэр засах давтан хагалгаа (зүсэлтгүй)
Нүдний хэлбэр засах давтан хагалгаа (зүсэлтгүй), Нүдний гадна булан нээх давтан хагалгаа, Нүдний доод зовхи доошлуулах
Нүдний хэлбэр засах давтан хагалгаа (зүсэлтгүй), Нүдний дотор булан нээх давтан хагалгаа
Нүдний хэлбэр засах давтан хагалгаа (зүсэлтгүй), Өөх шилжүүлэн суулгах (нүдний дээд зовхи)
Нүдний хэлбэр засах давтан хагалгаа (хэсэгчилсэн зүсэлттэй), Хамрын давтан хагалгаа (хамрын нуруу, хамрын үзүүр), Өргөн хамар засах, Шанаа багасгах, Өөх шилжүүлэн суулгах (дух, хамар)
Нүүр өргөх хагалгаа (Лифтинг), Дээд зовхины өөх шилжүүлэн суулгах, Хамрын хажуугийн үрчлээний өөх шилжүүлэн суулгах
Нүүр татах (дахин хагалгаа), дух татах, хацрын дотор өөх авах, эрүүний доорх булчин чангалах...
Нүүр татах + Акюскальп
Нүүр татах + урагш түрсэн ам засах + хамрын доорх ховил богиносгох
Нүүр татах + хамрын хажуугийн үрчлээнд өөх шилжүүлэн суулгах + Акю (хацрын дотор өөх)
Нүүр татах + хүзүү татах
Нүүр татах + хүзүү татах + доод зовхины хагалгаа
Нүүр татах + хүзүү татах + дээд зовхины хагалгаа + хамрын хагалгаа + Акю лифтинг + өөх шилжүүлэн суулгах
Нүүр татах мини хагалгаа
Нүүр татах мэс засал
Нүүр татах мэс засал + Акю лифтинг (хамрын хажуугийн дээд хэсэг, эрүүний шугам) + өөх шилжүүлэн суулгах (хамрын хажуугийн үрчлээ, нүдний доор)
Нүүр татах мэс засал + өөх шилжүүлэн суулгах
Нүүр татах хагалгаа
Нүүр татах, доод зовхины хагалгаа, өөх шилжүүлэн суулгах (нүдний доор)
Нүүр татах, дөрвөлжин эрүү багасгах, дээд зовхины хагалгаа, доод зовхины хагалгаа, дух татах хагалгаа
Нүүр татах, хөмсөг доогуур татах, доод зовхины хагалгаа, нүүрний бүх хэсгийн өөх шилжүүлэн суулгах (нүдний дээд, доод хэсэг багтсан)
Нүүрний бүтэн арьс татах мэс засал
Нүүрний бүтэн арьс татах мэс засал + Акюскальпт (эрүүний шугам)
Нүүрний бүтэн арьс татах мэс засал + Доод зовхины мэс засал
Нүүрний бүтэн арьс татах мэс засал + Өөх шилжүүлэн суулгах
Нүүрний бүтэн арьс татах мэс засал + Эндотайн лифтинг
Нүүрний бүтэн арьс татах мэс засал, Дөрвөлжин эрүү багасгах мэс засал
Нүүрний бүтэн арьс татах мэс засал, Духны өргөлт
Нүүрний бүтэн арьс татах мэс засал, Духны өргөлт, Шанааны яс багасгах мэс засал, Урт муруй дөрвөлжин эрүүний мэс засал, Кортикал остеотоми, Эрүүний үзүүр багасгах мэс засал, Эрүүний үзүүр урагшлуулах мэс засал
Нүүрний бүтэн арьс татах мэс засал, Шанааны яс багасгах мэс засал, Эрүүний үзүүр багасгах мэс засал
Нүүрний бүтэн лифтинг + Акю лифтинг
Нүүрний бүтэн лифтинг + Хүзүүний лифтинг
Нүүрний бүтэн лифтинг + Хүзүүний лифтинг + Акю лифтинг
Нүүрний бүтэн өөх шилжүүлэн суулгах
Нүүрний бүтэн өөх шилжүүлэн суулгах + Акюскальпт
Нүүрний бүтэн өөх шилжүүлэн суулгах + Мини лифтинг + Уруулын дүүргэгч
Нүүрний дунд хэсэг татах
Нүүрний дунд хэсэг татах + Акюскальпт
Нүүрний дунд хэсэг татах + Акюскальпт + Өөх шилжүүлэн суулгах
Нүүрний дунд хэсэг татах + Акюскальпт + Эластикүм
Нүүрний дунд хэсэг татах + Эндотайн
Нүүрний өөх соруулах
Нүүрний өөх соруулах (Давхар эрүү)
Нүүрний өөх шилжүүлэн суулгах (Дух)
Нүүрний өөх шилжүүлэн суулгах (Нүүр бүхэлдээ)
Нүүрний өөх шилжүүлэн суулгах (Хацрын урд хэсэг, Хамрын хажуугийн үрчлээ, Хацрын хажуу хэсэг)
Нүүрний хэлбэр засах 2 төрөл + V-хэлбэрийн эрүүний яс тайрах
Нүүрний хэлбэр засах 2 төрөл + Мини лифтинг
Нүүрний хэлбэр засах 2 төрөл + Хамар засах хагалгаа
Нүүрний хэлбэр засах 3 төрлийн хагалгаа + Бүтэн мини лифтинг
Нүүрний хэлбэр засах 3 төрөл
Нүүрний хэлбэр засах 3 төрөл (Шанааны яс багасгах + Дөрвөлжин эрүү багасгах + Эрүүний үзүүр засах) + Хамар засах хагалгаа
Нүүрний хэлбэр засах 3 төрөл + (Давтан) Зүсэлттэй нүдний хэлбэр засах + Нүдний сүүл хэсгийг нээх + Нүдний доод хэсгийг нээх
Нүүрний хэлбэр засах 3 төрөл + Акю лифтинг (Эрүүний шугам)
Нүүрний хэлбэр засах 3 төрөл + Зүсэлтгүй нүдний хэлбэр засах
Нүүрний хэлбэр засах 3 төрөл + Зүсэлтгүй нүдний хэлбэр засах + Дух багасгах
Нүүрний хэлбэр засах 3 төрөл + Мини лифтинг + Минт утас татах лифтинг
Нүүрний хэлбэр засах 3 төрөл + Нүдний доод өөх авах + Хамар засах хагалгаа
Нүүрний хэлбэр засах 3 төрөл + Нүдний хагалгаа + Акюскалпт
Нүүрний хэлбэр засах 3 төрөл + Нүдний хагалгаа + Хамар засах хагалгаа
Нүүрний хэлбэр засах 3 төрөл + Нүдний хагалгаа + Хамар засах хагалгаа + Өөх шилжүүлэн суулгах
Нүүрний хэлбэр засах 3 төрөл + Нүдний хагалгаа + Хамрын давтан хагалгаа
Нүүрний хэлбэр засах 3 төрөл + Хамар засах хагалгаа
Нүүрний хэлбэр засах 3 төрөл + Хамрын давтан хагалгаа + Бүтэн нүүрний өөх шилжүүлэн суулгах
Нүүрний хэлбэр засах 3 төрөл + Хамрын давтан хагалгаа + Нүдний доод хэсгийг нээх
Нүүрний хэлбэр засах 3 төрөл + Хамрын нуруу + Хамрын үзүүр + Өргөн хамрын үзүүр засах
Нүүрний хэлбэр засах 3 төрөл + Хацрын гүн өөх авах
Нүүрний хэлбэр засах мэс засал
Нүүрний хэлбэр засах мэс засал [3 төрлийн цогц мэс засал]
Нүүрний хэлбэр засах мэс засал [3 төрлийн цогц мэс засал] + Аккускальпт + Нүүрний өөх шилжүүлэн суулгах
Нүүрний хэлбэр засах мэс засал [Шанаа + Эрүүний өнцөг]
Нүүрний хэлбэр засах мэс засал [Шанаа + Эрүүний үзүүр]
Нүүрний хэлбэр засах мэс засал [Шанаа + Эрүүний үзүүр] + Нүүрний хэлбэр засах дахин мэс засал
Нүүрний хэлбэр засах мэс засал [Эрүүний өнцөг + Эрүүний үзүүр]
Нүүрний хэлбэр засах мэс засал [Эрүүний өнцөг] + Аккускальпт
Нүүрний хэлбэр засах мэс засал [Эрүүний үзүүр]
Нүүрний хэлбэр засах мэс засал, Духны өөх шилжүүлэн суулгах мэс засал
Нүүрний хэлбэр засах мэс засал, Нүүрний өөх соруулах мэс засал, Утас татах лифтинг
Нүүрний хэлбэр засах тариа (Контур тариа)
Нүүрний хэлбэр засах хагалгаа (Контуринг)
Нээлттэй хамрын мэс засал, өөрийн хавирганы мөгөөрс
Оёдол тавих аргаар давхраа хийх (Зүсэлтгүй давхраа)
Оёдол тавих аргаар давхраа хийх, 3 төрлийн булан нээх (Дотор, гадна, доод), Нүдний доод өөх дахин хуваарилах
Оёдол тавих аргаар давхраа хийх, 4 төрлийн булан нээх (Дотор, дээд, гадна, доод), Зовхи дотогшоо эргэх эмчилгээ
Оёдол тавих аргаар давхраа хийх, GL доод булан нээх (Гадна болон доод)
Оёдол тавих аргаар давхраа хийх, GL доод булан нээх (Гадна болон доод), Нүдний доод өөх дахин хуваарилах
Оёдол тавих аргаар давхраа хийх, Нүдний дотор булан нээх, Зүсэлтгүйгээр нүдний хэлбэр засах
Оёдол тавих аргаар давхраа хийх, Нүдний дээд булан нээх
Оёдолтой давхраа (давтан), Дотор булан нээх, Нүдний доод өөх байрлуулах, ROOF өөх авах...
Оёдолтой давхраа (давтан), Дээд булан нээх
Оёдолтой давхраа (давтан), Нүдний хэлбэр засах (птоз)
Оёдолтой давхраа (давтан), Нүдний хэлбэр засах (птоз), ROOF өөх авах
Оёдолтой давхраа (давтан), Нүдний хэлбэр засах (птоз), Доод булан нээх, Гадна булан сэргээх
Оёдолтой давхраа (давтан), Нүдний хэлбэр засах (птоз), Дээд булан нээх
Оёдолтой давхраа (нүдний хэлбэр засах), Дотор булан нээх
Оёдолтой давхраа + Дотор булан нээх
Оёдолтой давхраа + Дотор булан нээх + Гадна булан нээх + Доод булан нээх
Оёдолтой давхраа + Нүдний гадна булан нээх + Нүдний доод булан нээх
Оёдолтой давхраа + Нүдний доод зовхины мэс засал
Оёдолтой давхраа + Нүдний дотор булан нээх + Нүдний гадна булан нээх + Нүдний доод булан нээх
Оёдолтой давхраа + Нүдний дээд булан нээх
Оёдолтой давхраа + Нүдний дээд булан нээх + Нүдний гадна болон доод булан нээх
Оёдолтой давхраа + Хөмсөгний доод өргөлт
Оёдолтой давхраа + Хөмсөгний доорх арьс татах + Доод зовхины хагалгаа
Оёдолтой давхраа, ROOF өөх авах
Оёдолтой давхраа, Дотор булан нээх
Оёдолтой давхраа, Дотор булан нээх (тэнхлэг засах)
Оёдолтой давхраа, Дотор булан нээх, Хамар засах, Силикон, Хамрын үзүүр (таславч мөгөөрс), Муруй хамар засах...
Оёдолтой давхраа, Дээд булан нээх
Оёдолтой давхраа, Нүдний хэлбэр засах (птоз)
Оёдолтой давхраа, Нүдний хэлбэр засах (птоз), 2 төрлийн булан нээх (Дотор булан нээх, Дээд булан нээх)
Оёдолтой давхраа, Нүдний хэлбэр засах (птоз), 2 төрлийн булан нээх (Дотор булан нээх, Дээд булан нээх), ROOF өөх авах...
Оёдолтой давхраа, Нүдний хэлбэр засах (птоз), 2 төрлийн булан нээх (Дотор булан нээх, Нүдний хэлбэр засах)
Оёдолтой давхраа, Нүдний хэлбэр засах (птоз), 3 төрлийн булан нээх (Дотор булан нээх, Гадна булан нээх, Доод булан нээх)...
Оёдолтой давхраа, Нүдний хэлбэр засах (птоз), ROOF өөх авах
Оёдолтой давхраа, Нүдний хэлбэр засах (птоз), Дотор булан нээх
Оёдолтой давхраа, Нүдний хэлбэр засах (птоз), Дотор булан нээх, Зовхи дотогшоо эргэлт засах, ROOF өөх авах...
Оёдолтой давхраа, Нүдний хэлбэр засах (птоз), Дотор булангийн тэнхлэг засах
Оёдолтой давхраа, Нүдний хэлбэр засах (птоз), Дээд булан нээх
Оёдолтой давхраа, Нүдний хэлбэр засах (птоз), Дээд булан нээх, ROOF өөх авах
Оёдолтой давхраа, Нүдний хэлбэр засах (птоз), Зовхи дотогшоо эргэлт засах, Зүсэлт сунгах, ROOF өөх авах...
Оёдолтой давхраа, Нүдний хэлбэр засах (птоз), Зүүн талын дотор булан нээх
Оёдолтой давхраа, Өөх шилжүүлэн суулгах (хацрын урд хэсэг)
Оёдолтой давхрааны давтан мэс засал + Нүдний дээд булан нээх + Нүдний гадна булан нээх + Нүдний доод булан нээх
Өгзөг өргөх лифтинг (Эпитикон + Өөх соруулах + Өөх шилжүүлэн суулгах + Өгзөгний филлер)
Өгзөг өргөх лифтинг (Эпитикон + Өөх соруулах + Өөх шилжүүлэн суулгах + Филлер)
Өгзөг өргөх лифтинг (Эпитикон + Өөх соруулах + Өөх шилжүүлэн суулгах)
Өгзөг өргөх лифтинг (Эпитикон + Өөх соруулах + Филлер)
Өгзөг өргөх лифтинг (Эпитикон + Өөх соруулах)
Өгзөгний филлер
Өөрийн хавирганы мөгөөрсөөр хамрын дахин мэс засал
Өөрийн хавирганы мөгөөрсөөр хамрын дахин мэс засал (богино хамар, урагш түрсэн ам)
Өөрийн хавирганы мөгөөрсөөр хамрын дахин мэс засал (богино хамар, хамрын багана засах)
Өөрийн хавирганы мөгөөрсөөр хамрын дахин мэс засал (муруй хамар, агшсан хамар)
Өөрийн хавирганы мөгөөрсөөр хамрын дахин мэс засал (муруй хамар, богино хамар, хамрын багана дотогш орсон)
Өөрийн хавирганы мөгөөрсөөр хамрын дахин мэс засал (муруй хамар, богино хамар)
Өөрийн хавирганы мөгөөрсөөр хамрын дахин мэс засал (муруй хамар, хамрын багана дотогш орсон)
Өөрийн хавирганы мөгөөрсөөр хамрын дахин мэс засал (муруй хамар, хамрын багана засах)
Өөрийн хавирганы мөгөөрсөөр хамрын дахин мэс засал (хамрын багана засах)
Өөрийн хавирганы мөгөөрсөөр хамрын дахин мэс засал (хамрын багана нөхөн сэргээх)
Өөрийн хавирганы мөгөөрсөөр хамрын дахин мэс засал (хонхор хамар, муруй хамар)
Өөрийн хавирганы мөгөөрсөөр хамрын дахин мэс засал, богино хамар, махлаг хамар, хамрын багана засах
Өөрийн хавирганы мөгөөрсөөр хамрын дахин мэс засал, богино хамар, муруй хамар, хамрын багана засах
Өөрийн хавирганы мөгөөрсөөр хамрын дахин мэс засал, богино хамар, хамар уруулын өнцөг засах
Өөрийн хавирганы мөгөөрсөөр хамрын дахин мэс засал, богино хамар, хамрын багана засах
Өөрийн хавирганы мөгөөрсөөр хамрын дахин мэс засал, махлаг хамар, муруй хамар, урт хамар
Өөрийн хавирганы мөгөөрсөөр хамрын дахин мэс засал, махлаг хамар, хонхор хамар, хамар уруулын өнцөг засах
Өөрийн хавирганы мөгөөрсөөр хамрын дахин мэс засал, муруй хамар, хамар уруулын өнцөг засах
Өөрийн хавирганы мөгөөрсөөр хамрын дахин мэс засал, муруй хамар, хамрын багана засах
Өөрийн хавирганы мөгөөрсөөр хамрын дахин мэс засал, хамрын багана засах
Өөрийн хавирганы мөгөөрсөөр хамрын хэлбэр засах мэс засал (махлаг хамар, богино хамар)
Өөрийн хавирганы мөгөөрсөөр хамрын хэлбэр засах, махлаг хамар, богино хамар, дээшээ харсан хамар
Өөрийн хавирганы мөгөөрсөөр хамрын хэлбэр засах, шонхор хамар, урагш түрсэн ам засах
Өөх соруулах
Өөх соруулах (Гар)
Өөх соруулах (Хацрын гүн дэх өөх)
Өөх соруулах (Хацрын гүн дэх өөх), Нүүр татах мэс засал
Өөх соруулах (Эрүүн доорх)
Өөх шилжүүлэн суулгах
Өөх шилжүүлэн суулгах (Дух, хамрын хажуугийн үрчлээ, хацрын урд хэсэг)
Өөх шилжүүлэн суулгах (Дух, хацрын урд хэсэг, эрүү)
Өөх шилжүүлэн суулгах (Дух)
Өөх шилжүүлэн суулгах (Нүдний дээд хэсэг)
Өөх шилжүүлэн суулгах + Нүүрний хэлбэр засах тариа
Өөхний гоо сайхны мэс засал
Өргөн хамар засах
Өргөн хамар засах + богино хамар засах + хамрын хөндийн үрэвсэл болон гоо сайхны хагалгаа
Өргөн хамар, Богино хамар
Өргөн хамар, Богино хамар, Муруй хамар, Хамар уруулын өнцөг засах
Өргөн хамар, богино хамар, муруй хамар, хамрын багана засах
Өргөн хамар, Богино хамар, Урагшаа түрж гарсан амтай хамар, Хамрын угалз нарийсгах
Өргөн хамар, Богино хамар, Хамрын багана засах, Яс тайрах
Өргөн хамар, Богино хамар, Хамрын угалз нарийсгах
Өргөн хамар, Богино хамар, Шонхор хамар, Хамар уруулын өнцөг засах
Өргөн хамар, Богино хамрын мэс засал
Өргөн хамар, Дээшээ харсан хамар, Хамар уруулын өнцөг засах
Өргөн хамар, муруй хамар
Өргөн хамар, муруй хамар, урт хамар, хамрын багана засах
Өргөн хамар, Намхан хамар
Өргөн хамар, Урт хамар
Өргөн хамар, Урт хамар, Дээшээ харсан хамар
Өргөн хамар, Урт хамар, Хамар уруулын өнцөг засах
Өргөн хамар, Урт хамар, Хамар уруулын өнцөг засах, Шонхор хамар
Өргөн хамар, Урт хамар, Хотойсон хамар, Хамар уруулын өнцөг, Хамрын багана засах
Өргөн хамар, Урт хамар, Шонхор хамар
Өргөн хамар, Урт хамар, Шонхор хамар, Муруй хамар
Өргөн хамар, Хамар уруулын өнцөг засах, Яс тайрах, Шонхор хамар
Өргөн хамар, хамрын угалз багасгах, богино хамар
Өргөн хамар, Шонхор хамар
Өргөн хамар, Шонхор хамар, Дээшээ харсан хамар
Өргөн хамар, Шонхор хамар, Муруй хамар, Урт хамар
Өргөн хамар, Шонхор хамар, Муруй хамар, Хамар уруулын өнцөг засах
Өргөн хамар, Шонхор хамар, Муруй хамар, Хамар уруулын өнцөг засах мэс засал
Өргөн хамар, Шонхор хамар, Урт хамар
Өргөн хамар, Шонхор хамар, Урт хамар, Хамрын багана засах, Хамар уруулын өнцөг засах
Өргөн хамар, Шонхор хамар, Урт хамрын мэс засал
Өргөн хамар, Шонхор хамар, Хамрын багана засах, Пич лифтинг, Уруулын булангийн дүүргэгч
Өргөн хамар, Шонхор хамар, Хамрын үзүүр унжих, Яс тайрах, Хамар уруулын өнцөг, Хамрын багана засах
Өргөн хамар, Шонхор хамар, Яс тайрах
Өргөн хамар, Шонхор хамар, Яс тайрах, Хамрын багана засах
Өргөн хамар, Яс тайрах, Шонхор хамар, Хамар уруулын өнцөг засах мэс засал
Өргөн хамрын гоо сайхны хагалгаа
Паселла лифтинг
Паселла лифтинг, Фит тариа, биеийн галбир засах Шринк
Пикошур (Шивээс арилгах)
Пич лифтинг
Пич лифтинг, V-line лифтинг
Пич лифтинг, V-line лифтинг, Давхар эрүүний лифтинг
Пич лифтинг, V-line лифтинг, Жүвэлүүк волюм
Пич лифтинг, V-line лифтинг, Мини лифтинг
Пич лифтинг, V-лифтинг, Давхар эрүүний булчин зангидах, Давхар эрүүний өөх соруулах, Эрүүний үзүүрийн дүүргэгч
Пич лифтинг, V-лифтинг, Хамар уруулын нугалаасны дүүргэгч
Пич лифтинг, V-силуэт лифтинг
Пич лифтинг, Хамар уруулын нугалаасны дүүргэгч
Пич лифтинг, Хамрын хажуугийн үрчлээний филлер
Пич лифтинг, Эрүүний шугам татах лифтинг
Пич лифтинг, Эрүүний шугамын лифтинг
Пич силуэт V-line лифтинг
Пич силуэт лифтинг
Пич силуэт, V-line лифтинг
Пич силуэт, V-line силуэт лифтинг
Ринопластик [хамрын нуруу + хамрын үзүүр)
Ринопластик [хамрын нуруу + хамрын үзүүр]
Ринопластик, богино хамар засах
Ринопластик, богино хамар засах, хамрын үйл ажиллагааг сэргээх мэс засал
Ринопластик, бүдүүн хамар засах
Ринопластик, бүдүүн хамар засах, богино хамар засах
Ринопластик, бүдүүн хамар засах, гүдгэр хамар засах
Ринопластик, бүдүүн хамар засах, хамрын угалз нарийсгах
Ринопластик, бүдүүн хамар засах, хамрын үйл ажиллагааг сэргээх мэс засал
Ринопластик, бүдүүн хамар засах, хамрын үйл ажиллагааг сэргээх мэс засал, гүдгэр хамар засах
Ринопластик, гүдгэр хамар засах
Ринопластик, гүдгэр хамар засах, остеотоми
Ринопластик, гүдгэр хамар засах, өргөн хамар засах
Ринопластик, гүдгэр хамар засах, өргөн хамар засах (остеотоми)
Ринопластик, гүдгэр хамар засах, хамрын үйл ажиллагааг сэргээх мэс засал
Ринопластик, остеотоми
Ринопластик, остеотоми, бүдүүн хамар засах
Ринопластик, остеотоми, гүдгэр хамар засах, унжсан хамар засах
Ринопластик, өргөн хамар засах (остеотоми)
Ринопластик, өргөн хамар засах, остеотоми, хамрын үйл ажиллагааг сэргээх мэс засал
Ринопластик, хамрын дахин мэс засал
Ринопластик, хамрын угалз засах
Ринопластик, хамрын угалз нарийсгах
Ринопластик, хамрын угалз нарийсгах, бүдүүн хамар засах
Скин ботокс
Смайл эрүү нүүрний гажиг засах мэс засал + Шанаа багасгах + Хамрын дахин мэс засал + Өөх шилжүүлэн суулгах
Смайл эрүү нүүрний гажиг засах мэс засал + Шанаа багасгах + Эрүүний үзүүр
Суганы илүүдэл хөхний өөх соруулах
Суулгац ашиглан нүүрний хэлбэр засах [Духны хэлбэр засах]
Суулгацгүй хамрын гоо сайхны мэс засал
Суулгацгүй хамрын гоо сайхны мэс засал (махлаг хамар, муруй хамар, шонхор хамар, хамрын угалз багасгах)
Суулгацгүй хамрын гоо сайхны мэс засал (махлаг хамар, урт хамар, шонхор хамар, муруй хамар, өөрийн хавирганы мөгөөрс)
Суулгацгүй хамрын гоо сайхны мэс засал (махлаг хамар, шонхор хамар, урт хамар)
Суулгацгүй хамрын гоо сайхны мэс засал, богино хамар засах, махлаг хамар засах
Суулгацгүй хамрын гоо сайхны мэс засал, махлаг хамар засах, өргөн хамар засах (яс тайрах)
Суулгацгүй хамрын гоо сайхны мэс засал, махлаг хамар засах, хамрын угалз багасгах
Суулгацгүй хамрын гоо сайхны мэс засал, махлаг хамар засах, хамрын угалз багасгах, өргөн хамар засах, яс тайрах
Суулгацгүй хамрын гоо сайхны мэс засал, махлаг хамар засах, шонхор хамар засах
Суулгацгүй хамрын гоо сайхны мэс засал, махлаг хамар засах, шонхор хамар засах, хамрын үйл ажиллагааг сэргээх гоо сайхны мэс засал
Суулгацгүй хамрын гоо сайхны мэс засал, махлаг хамар, шонхор хамар, муруй хамар
Суулгацгүй хамрын гоо сайхны мэс засал, махлаг хамар, шонхор хамар, урт хамар
Суулгацгүй хамрын гоо сайхны мэс засал, махлаг хамар, шонхор хамар, урт хамар, хамар уруулын өнцөг
Суулгацгүй хамрын гоо сайхны мэс засал, махлаг хамар, шонхор хамар, хамрын угалз багасгах
Суулгацгүй хамрын гоо сайхны мэс засал, өргөн хамар засах
Суулгацгүй хамрын гоо сайхны мэс засал, өргөн хамар засах (остеотоми)
Суулгацгүй хамрын гоо сайхны мэс засал, өргөн хамар засах (яс тайрах)
Суулгацгүй хамрын гоо сайхны мэс засал, хамрын угалз багасгах
Суулгацгүй хамрын гоо сайхны мэс засал, хамрын яс тайрах мэс засал, хамрын угалз багасгах
Суулгацгүй хамрын гоо сайхны мэс засал, шонхор хамар засах
Суулгацгүй хамрын гоо сайхны мэс засал, шонхор хамар засах, хамрын багана засах, хамрын угалз багасгах, хамрын угалз өргөх
Суулгацгүй хамрын гоо сайхны мэс засал, шонхор хамар засах, хамрын яс тайрах мэс засал
Суулгацгүй хамрын гоо сайхны мэс засал, яс тайрах, шонхор хамар засах
Суулгацгүй, хамрын үзүүр (таславч, чихний мөгөөрс), хамрын угалз багасгах, хамрын нүх доошлуулах
Суулгацгүй, хамрын үйл ажиллагааг сэргээх гоо сайхны мэс засал, махлаг хамар, шонхор хамар, урт хамар
Сэвх толбо арилгах (Лазер), Режуран хийлэр
Ташааны филлер
Термаж FLX 300 шот + Скулптра (урд шанаа + хамар амны нугалаас + хацрын хажуу тал)
Термаж FLX 600 шот + Онда 60KJ
Трапец булчингийн ботокс
Түнхний хонхорхой дүүргэх филлер
Түрүү амтай хамарт зориулсан хагалгаа, Хамрын үйл ажиллагааны гоо сайхны хагалгаа, Өргөн хамар засах, Муруй хамар засах, Урт хамар засах, Луун хамар засах
Тэгш бус нүд засах + Дээд булан нээх + Зүсэлттэй давхраа давтан мэс засал
Ултера
Ултера + Дермотоксин
Ултера + Дермотоксин V-лайн
Ултера + Инмод
Ултера + Инмод + Honey Glow Tox
Ултера + Инмод + Контур тарилга
Ултера + Термаж
Ултера + Уруулын филлер
Ултера 400 шот, Режуран хийлэр, Лилид
Ултера лифтинг
Ултера Прайм + Инмод FX
Ултера Прайм 300 шот + Термаж FLX 300 шот
Ултера Прайм 400 шот + Онда 40кЖ
Ултера Прайм 400 шот + Радиесс (Марионет үрчлээ, Хамар уруулын нугалаас)
Ултера, Инмод FX+FORMA, Верчу RF
Ултера, Инмод FX+FORMA, Шринк, Верчу RF
Урт муруй шугамаар дөрвөлжин эрүү багасгах мэс засал
Урт хамар
Урт хамар, өргөн хамар, хамрын багана засах, яс тайрах, шонхор хамар, хамрын угалз багасгах
Уруулын булан засах мэс засал
Уруулын булан засах мэс засал + Уруулын филлер
Уруулын булангийн филлер
Уруулын тэгш бус хэм засах (Филлер + Ботокс)
Уруулын филлер
Уруулын филлер + Уруулын булан өргөх ботокс
Уруулын филлер, Уруулын булан өргөх ботокс
Уруулын филлер, Хүнхээл багасгах (дотор, гадна), Уруулын булан засах мэс засал
Уруулын ховил богиносгох (6 дахь сар)
Утас татах лифтинг
Утас татах лифтинг, Хамар өндөрлөх утас татах ажилбар
Филлер (Дух + Хамрын хажуугийн үрчлээ + Хажуу хацар) + Режуран хийлер 2cc
Филлер (Хөмсөгний дээд хэсэг, Урд хацар, Хамрын хажуугийн үрчлээ, Эрүүний үзүүр, Уруул, Хамрын нуруу, Дух)
Хамар (давтан хагалгаа)
Хамар (давтан хагалгаа), силикон солих, хамрын үзүүр (донорын хавирганы мөгөөрс), богино хамар засах...
Хамар (давтан хагалгаа), силикон солих, хамрын үзүүр (өөрийн хавирганы мөгөөрс), хамрын агшилт засах...
Хамар (давтан хагалгаа), силикон солих, хамрын үзүүр (хамрын таславч, донорын хавирганы мөгөөрс)
Хамар (нуруу, үзүүр), гүдгэр хамар, бүдүүн хамрын үзүүр, хамрын таславчийн мөгөөрс, чихний мөгөөрс, силикон (4мм)
Хамар (нуруу, үзүүр), гүдгэр хамар, хамрын нүх доошлуулах, хамрын угалз багасгах (хамрын далавч өргөх)
Хамар (нуруу, үзүүр), муруй хамар, гүдгэр хамар, бүдүүн хамрын үзүүр, чихний мөгөөрс, аллодерм, силикон (4.5мм)
Хамар (хамрын нуруу, хамрын үзүүр)
Хамар (хамрын нуруу, хамрын үзүүр) давтан хагалгаа
Хамар (хамрын нуруу, хамрын үзүүр) давтан хагалгаа, Венус лазер
Хамар (хамрын нуруу, хамрын үзүүр) давтан хагалгаа, гүдгэр хамар
Хамар (хамрын нуруу, хамрын үзүүр) давтан хагалгаа, гүдгэр хамар, яс тайрах
Хамар (хамрын нуруу, хамрын үзүүр) давтан хагалгаа, махлаг хамар, урт хамар, хамрын нүх буулгах, хамрын таславч, чихний мөгөөрс, хамрын хажуугийн хонхор дүүргэх хагалгаа (Noble surgery)
Хамар (хамрын нуруу, хамрын үзүүр) давтан хагалгаа, махлаг хамар, хамрын багана буулгах, хамрын таславч, чихний мөгөөрс, силикон (3.5мм)
Хамар (хамрын нуруу, хамрын үзүүр) давтан хагалгаа, хуйхны хальс, донор хавирганы мөгөөрс
Хамар (хамрын нуруу, хамрын үзүүр), гүдгэр хамар
Хамар (хамрын нуруу, хамрын үзүүр), гүдгэр хамар, богино хамар
Хамар (хамрын нуруу, хамрын үзүүр), гүдгэр хамар, богино хамар, сонгино хамар
Хамар (хамрын нуруу, хамрын үзүүр), гүдгэр хамар, Винус лазер
Хамар (хамрын нуруу, хамрын үзүүр), гүдгэр хамар, дөрвөлжин эрүү
Хамар (хамрын нуруу, хамрын үзүүр), гүдгэр хамар, дөрвөлжин эрүү, эрүүний үзүүр, ясны гадна давхаргыг тайрах
Хамар (хамрын нуруу, хамрын үзүүр), гүдгэр хамар, муруй хамар, унжсан хамар, хуйхны булчингийн хальс
Хамар (хамрын нуруу, хамрын үзүүр), гүдгэр хамар, муруй хамар, хамрын яс нарийсгах
Хамар (хамрын нуруу, хамрын үзүүр), гүдгэр хамар, муруй хамар, хамрын яс нарийсгах, хамрын угалз нарийсгах (зүсэлттэй)
Хамар (хамрын нуруу, хамрын үзүүр), гүдгэр хамар, нүүрний бүх хэсэгт өөх шилжүүлэн суулгах
Хамар (хамрын нуруу, хамрын үзүүр), гүдгэр хамар, сонгино хамар
Хамар (хамрын нуруу, хамрын үзүүр), гүдгэр хамар, сонгино хамар, богино хамар
Хамар (хамрын нуруу, хамрын үзүүр), гүдгэр хамар, унжсан хамар (сум хэлбэрийн)
Хамар (хамрын нуруу, хамрын үзүүр), гүдгэр хамар, унжсан хамар, чихний мөгөөрс, хамрын таславчийн мөгөөрс, силикон (6мм)
Хамар (хамрын нуруу, хамрын үзүүр), гүдгэр хамар, унжсан хамар, шанаа, нүүрний бүх хэсэгт өөх шилжүүлэн суулгах
Хамар (хамрын нуруу, хамрын үзүүр), гүдгэр хамар, хамрын таславч, чихний мөгөөрс, силикон (4мм), эрүүний суулгац
Хамар (хамрын нуруу, хамрын үзүүр), гүдгэр хамар, хамрын угалз нарийсгах (зүсэлтгүй)
Хамар (хамрын нуруу, хамрын үзүүр), гүдгэр хамар, хамрын угалз нарийсгах (зүсэлттэй)
Хамар (хамрын нуруу, хамрын үзүүр), гүдгэр хамар, хамрын яс нарийсгах
Хамар (хамрын нуруу, хамрын үзүүр), гүдгэр хамар, хамрын яс нарийсгах, дөрвөлжин эрүү, шанаа, эрүүний үзүүр
Хамар (хамрын нуруу, хамрын үзүүр), гүдгэр хамар, хамрын яс нарийсгах, сонгино хамар, шанаа, дөрвөлжин эрүү, эрүүний үзүүр, ясны гадна давхаргыг тайрах, өөх шилжүүлэн суулгах (урд хацар, хамар амны нугалаас, дух, шанааны хонхор)
Хамар (хамрын нуруу, хамрын үзүүр), гүдгэр хамар, яс тайрах (остеотоми)
Хамар (хамрын нуруу, хамрын үзүүр), гүдгэр хамар, яс тайрах, дөрвөлжин эрүү, шанаа, эрүүний үзүүр, ясны гадна давхаргыг тайрах
Хамар (хамрын нуруу, хамрын үзүүр), гүдгэр хамар, яс тайрах, хамрын угалз нарийсгах (зүсэлттэй)
Хамар (хамрын нуруу, хамрын үзүүр), муруй хамар
Хамар (хамрын нуруу, хамрын үзүүр), муруй хамар, хамрын яс нарийсгах
Хамар (хамрын нуруу, хамрын үзүүр), муруй хамар, хамрын яс нарийсгах, богино хамар, өөрийн хавирганы мөгөөрс, чихний мөгөөрс, силикон (4мм)
Хамар (хамрын нуруу, хамрын үзүүр), сонгино хамар
Хамар (хамрын нуруу, хамрын үзүүр), сонгино хамар, хамрын багана буулгах, хамрын угалз нарийсгах (зүсэлттэй), өөрийн хавирганы мөгөөрс
Хамар (хамрын нуруу, хамрын үзүүр), сонгино хамар, хамрын угалз нарийсгах (зүсэлттэй), чихний мөгөөрс, хамрын таславч, силикон (4.5мм)
Хамар (хамрын нуруу, хамрын үзүүр), урт хамар, гүдгэр хамар, хамрын нүх буулгах, хамрын доод хясаа, хуйхны хальс, хамрын угалз багасгах (зүсэлттэй), суулгацгүй
Хамар (хамрын нуруу, хамрын үзүүр), урт хамар, махлаг хамар, гүдгэр хамар, хамрын яс нарийсгах
Хамар (хамрын нуруу, хамрын үзүүр), урт хамар, махлаг хамар, чихний мөгөөрс, хамрын таславч, силикон (4.5мм), эрүүний үзүүр
Хамар (хамрын нуруу, хамрын үзүүр), урт хамар, хамрын яс нарийсгах, дөрвөлжин эрүү, эрүүний үзүүр, ясны гадна давхарга тайрах
Хамар (хамрын нуруу, хамрын үзүүр), утас татах (утас лифтинг)
Хамар (хамрын нуруу, хамрын үзүүр), хамрын таславч, хуйхны булчингийн хальс
Хамар (хамрын нуруу, хамрын үзүүр), хамрын угалз багасгах (зүсэлтгүй)
Хамар (хамрын нуруу, хамрын үзүүр), хамрын угалз багасгах (зүсэлттэй), гүдгэр хамар, хамрын яс нарийсгах
Хамар (хамрын нуруу, хамрын үзүүр), хамрын яс нарийсгах
Хамар (хамрын нуруу, хамрын үзүүр), хамрын яс нарийсгах, богино хамар, хамрын таславч, чихний мөгөөрс, силикон (3.5мм)
Хамар (хамрын нуруу, хамрын үзүүр), хамрын яс нарийсгах, богино хамар, чихний мөгөөрс, хамрын таславч, донор хавирганы мөгөөрс, силикон (3.5мм)
Хамар (хамрын нуруу, хамрын үзүүр), хамрын яс нарийсгах, гүдгэр хамар, махлаг хамар, силикон (5мм), филлер хайлуулах
Хамар (хамрын нуруу, хамрын үзүүр), хамрын яс нарийсгах, гүдгэр хамар, махлаг хамар, хамрын таславч, чихний мөгөөрс, силикон (4мм)
Хамар (хамрын нуруу, хамрын үзүүр), хамрын яс нарийсгах, гүдгэр хамар, махлаг хамар, хамрын угалз багасгах (зүсэлттэй), хамрын таславч, донор хавирганы мөгөөрс
Хамар (хамрын нуруу, хамрын үзүүр), хамрын яс нарийсгах, гүдгэр хамар, махлаг хамар, чихний мөгөөрс, хамрын таславч
Хамар (хамрын нуруу, хамрын үзүүр), хамрын яс нарийсгах, гүдгэр хамар, урт хамар, махлаг хамар, чихний мөгөөрс, хамрын таславч, өөрийн арьс (хуйхны хальс)
Хамар (хамрын нуруу, хамрын үзүүр), хамрын яс нарийсгах, гүдгэр хамар, урт хамар, махлаг хамар, чихний мөгөөрс, хамрын таславч, силикон (4мм)
Хамар (хамрын нуруу, хамрын үзүүр), хамрын яс нарийсгах, гүдгэр хамар, урт хамар, суулгацгүй, хамрын таславч, чихний мөгөөрс
Хамар (хамрын нуруу, хамрын үзүүр), хамрын яс нарийсгах, махлаг хамар
Хамар (хамрын нуруу, хамрын үзүүр), хамрын яс нарийсгах, махлаг хамар, богино хамар, хамрын таславчны мөгөөрс
Хамар (хамрын нуруу, хамрын үзүүр), хамрын яс нарийсгах, махлаг хамар, хамрын угалз багасгах (зүсэлттэй), хамрын таславч, чихний мөгөөрс, өөрийн хавирганы мөгөөрс, силикон (3мм)
Хамар (хамрын нуруу, хамрын үзүүр), яс тайрах (остеотоми)
Хамар (хамрын нуруу, хамрын үзүүр), яс тайрах, гүдгэр хамар, муруй хамар
Хамар амны нугалаас болон хацрын дотор өөх татах (Радиесс)
Хамар амны нугалаас татах (Онда)
Хамар амны нугалаас татах (Радиесс)
Хамар амны нугалаасанд өөх шилжүүлэн суулгах
Хамар амны нугалаасны филлер
Хамар өндөрлөх мэс засал
Хамар өндөрлөх мэс засал (Хамрын нуруу + Хамрын үзүүр)
Хамар өндөрлөх мэс засал (Хамрын нуруу + Хамрын үзүүр), Богино хамар засах мэс засал
Хамар өндөрлөх мэс засал (Хамрын нуруу + Хамрын үзүүр), Донорын хавирганы мөгөөрс, Муруй хамар засах мэс засал
Хамар өндөрлөх мэс засал (Хамрын нуруу)
Хамар өндөрлөх мэс засал, Гүдгэр хамар засах мэс засал, Шанааны яс багасгах мэс засал, Дөрвөлжин эрүү багасгах мэс засал, Эрүүний үзүүр хойшлуулах мэс засал
Хамар өндөрлөх мэс засал, Гүдгэр хамар засах мэс засал, Яс тайрах мэс засал, Өөрийн хавирганы мөгөөрс
Хамар өндөрлөх мэс засал, Хамрын угалз багасгах мэс засал
Хамар өндөрлөх мэс засал, Яс тайрах мэс засал, Гүдгэр хамар засах мэс засал
Хамар, силикон, намхан хамар засах, филлер арилгах
Хамар, силикон, хамрын үзүүр (донорын хавирганы мөгөөрс), богино хамар засах
Хамар, силикон, хамрын үзүүр (хамрын таславч, чихний мөгөөрс), хамрын угалз нарийсгах, шонхор хамар засах, урт хамар засах...
Хамар, силикон, хамрын үзүүр (хамрын таславч)
Хамар, силикон, хамрын үзүүр (хамрын таславч), богино хамар засах
Хамар, силикон, хамрын үзүүр (хамрын таславч), намхан хамар засах
Хамар, силикон, хамрын үзүүр (хамрын таславч), хамрын угалз нарийсгах, яс тайрах
Хамар, силикон, хамрын үзүүр (хамрын таславч), хамрын үйл ажиллагааны 2 төрлийн хагалгаа
Хамар, силикон, хамрын үзүүр (хамрын таславч), шонхор хамар засах
Хамар, силикон, хамрын үзүүр (хамрын таславч), шонхор хамар засах, намхан хамар засах, урт хамар засах...
Хамар, силикон, хамрын үзүүр (хамрын таславч), шонхор хамар засах, намхан хамар засах...
Хамар, силикон, хамрын үзүүр (хамрын таславч), шонхор хамар засах, яс тайрах
Хамар, силикон, хамрын үзүүр (чихний мөгөөрс), шонхор хамар засах, мөгөөрс боох
Хамар, суулгацгүй, хамрын үзүүр (хамрын таславч)
Хамар, суулгацгүй, хамрын үзүүр (хамрын таславч), намхан хамар засах
Хамар, суулгацгүй, хамрын үзүүр (хамрын таславч), хамрын угалз нарийсгах, хамрын үзүүр нарийсгах, шонхор хамар засах...
Хамар, суулгацгүй, хамрын үзүүр (хамрын таславч), хамрын үйл ажиллагааны 2 төрлийн хагалгаа
Хамар, суулгацгүй, хамрын үзүүр (хамрын таславч), шонхор хамар засах, яс тайрах
Хамрын (нуруу, үзүүр) давтан хагалгаа, бүтэн нүүрний өөх шилжүүлэн суулгах, Винус лазер
Хамрын (нуруу, үзүүр) давтан хагалгаа, дөрвөлжин эрүү, шанаа, эрүүний үзүүр, кортикал яс тайрах
Хамрын (нуруу, үзүүр) давтан хагалгаа, дөрвөлжин эрүү, эрүүний үзүүр, Винус лазер
Хамрын (нуруу, үзүүр) давтан хагалгаа, муруй хамар, бүдүүн хамрын үзүүр, донорын хавирганы мөгөөрс, силикон
Хамрын (нуруу, үзүүр) давтан хагалгаа, муруй хамар, гүдгэр хамар, хамрын яс нарийсгах, донорын хавирганы мөгөөрс, шанаа, дөрвөлжин эрүү, эрүүний үзүүр, кортикал яс тайрах, өөх шилжүүлэн суулгах (дух)
Хамрын (нуруу, үзүүр) давтан хагалгаа, муруй хамар, хамрын багана доошлуулах, яс тайрах, донорын хавирганы мөгөөрс
Хамрын (нуруу, үзүүр) давтан хагалгаа, өөх шилжүүлэн суулгах (дух, эрүүний үзүүр)
Хамрын (нуруу, үзүүр) давтан хагалгаа, хамрын нүх доошлуулах
Хамрын (нуруу, үзүүр) давтан хагалгаа, хамрын угалз багасгах (зүсэлттэй)
Хамрын (нуруу, үзүүр) давтан хагалгаа, хамрын яс нарийсгах, гүдгэр хамар, муруй хамар, бүдүүн хамрын үзүүр, өөрийн хавирганы мөгөөрс, Ултера, V-лайн ботокс
Хамрын (нуруу, үзүүр) давтан хагалгаа, хамрын яс нарийсгах, хамрын угалз багасгах (зүсэлттэй)
Хамрын анхны гоо сайхны хагалгаа
Хамрын гоо сайхны хагалгаа
Хамрын гоо сайхны хагалгаа (гүдгэр хамар)
Хамрын гоо сайхны хагалгаа (донорын хавирганы мөгөөрс)
Хамрын гоо сайхны хагалгаа (үндсэн + хамрын салст бүрхэвчийн үрэвсэл эмчлэх)
Хамрын гоо сайхны хагалгаа (үндсэн)
Хамрын давтан мэс засал
Хамрын давтан мэс засал + Богино хамар засах
Хамрын давтан мэс засал + Махлаг хамар засах
Хамрын давтан мэс засал + Махлаг хамар засах + Хамрын угалз нарийсгах
Хамрын давтан мэс засал + Хамрын угалз нарийсгах
Хамрын давтан мэс засал + Хамрын угалз нарийсгах + Махлаг хамар засах
Хамрын давтан мэс засал + Хамрын үрэвсэл болон гоо сайхны засал
Хамрын дахин мэс засал
Хамрын дахин мэс засал (бүдүүн хамар, хамар уруулын өнцөг засах, муруй хамар, өөрийн хавирганы мөгөөрс)
Хамрын дахин хагалгаа (Богино хамар, Махлаг хамар, Хамрын багана засах)
Хамрын дахин хагалгаа (Богино хамар, Махлаг хамар, Хамрын угалз нарийсгах, Хамрын багана засах)
Хамрын дахин хагалгаа (Богино хамар, Муруй хамар, Хамрын багана засах)
Хамрын дахин хагалгаа (Богино хамар, Муруй хамар)
Хамрын дахин хагалгаа (бүдүүн хамар, урт хамар, лууны хамар)
Хамрын дахин хагалгаа (бүдүүн хамар, шонхор хамар)
Хамрын дахин хагалгаа (Махлаг хамар, Муруй хамар, Хамрын багана засах)
Хамрын дахин хагалгаа (Муруй хамар, урт хамар, хамар уруулын өнцөг засах)
Хамрын дахин хагалгаа (Өгзөгний дерма), Хамрын нүх буулгах
Хамрын дахин хагалгаа (Хавчигдсан хамар, Муруй хамар, Хамрын багана засах)
Хамрын дахин хагалгаа + Хамар жижигсгэх + Богино хамар засах + Махлаг хамар засах
Хамрын дахин хагалгаа + Хамрын угалз нарийсгах + Махлаг хамар засах
Хамрын дахин хагалгаа, богино хамар засах
Хамрын дахин хагалгаа, донорын хавирганы мөгөөрс
Хамрын дахин хагалгаа, донорын хавирганы мөгөөрс, хамрын төвгөр засах
Хамрын дахин хагалгаа, муруй хамар, хамрын угалз нарийсгах, өөрийн хавирганы мөгөөрс
Хамрын дахин хагалгаа, нүдний дотор булангийн нөхөн сэрг
Хамрын дахин хагалгаа, нүүр татах хагалгаа, дээд зовхины хагалгаа, доод зовхины хагалгаа
Хамрын дахин хагалгаа, өөрийн хавирганы мөгөөрс
Хамрын дахин хагалгаа, өөрийн хавирганы мөгөөрс, доод хясаа
Хамрын дахин хагалгаа, өөрийн хавирганы мөгөөрс, хамрын угалз нарийсгах, доод хясаа, хамрын таславчийн мурийлт, хамрын хавхлагын мэс засал
Хамрын дахин хагалгаа, өөрийн хавирганы мөгөөрс, шанааны яс жижигсгэх
Хамрын дахин хагалгаа, өөрийн хавирганы мөгөөрс, яс тайрах, хамрын агшилт
Хамрын дахин хагалгаа, сөхөө хамар засах
Хамрын дахин хагалгаа, суулгацгүй хамрын гоо сайхны хагалгаа, хамрын төвгөр засах, муруй хамар засах
Хамрын дахин хагалгаа, үйл ажиллагааны хавирганы мөгөөрс
Хамрын дахин хагалгаа, хамрын нүх буулгах
Хамрын дахин хагалгаа, хамрын төвгөр засах, мөлгөр хамар засах
Хамрын дахин хагалгаа, хамрын угалз нарийсгах
Хамрын дахин хагалгаа, хамрын үйл ажиллагааны гоо сайхны хагалгаа
Хамрын мэс засал: Богино хамар засах + Махлаг хамар засах
Хамрын мэс засал: Гүдгэр хамар + Богино хамар засах
Хамрын мэс засал: Гүдгэр хамар + Махлаг хамар засах
Хамрын мэс засал: Гүдгэр хамар + Хамрын угалз нарийсгах + Махлаг хамар засах
Хамрын мэс засал: Донор хавирганы мөгөөрс ашиглах + Өргөн хамар засах (Яс тайрах)
Хамрын мэс засал: Махлаг хамар засах
Хамрын мэс засал: Махлаг хамар засах + Богино хамар засах
Хамрын мэс засал: Махлаг хамар засах + Богино хамар засах + Гүдгэр хамар
Хамрын мэс засал: Махлаг хамар засах + Гүдгэр хамар
Хамрын мэс засал: Махлаг хамар засах + Хамрын угалз нарийсгах
Хамрын мэс засал: Махлаг хамар засах + Хамрын үрэвсэл болон гоо сайхны засал
Хамрын мэс засал: Махлаг хамар засах + Хамрын үрэвсэл эмчлэх мэс засал
Хамрын мэс засал: Муруй хамар засах
Хамрын мэс засал: Муруй хамар засах + Хамрын угалз нарийсгах
Хамрын мэс засал: Өргөн хамар засах + Яс тайрах
Хамрын мэс засал: Өргөн хамар засах + Яс тайрах + Функциональ хамар
Хамрын мэс засал: Функциональ хамар + Махлаг хамар засах
Хамрын мэс засал: Функциональ хамар засах
Хамрын мэс засал: Хамрын угалз нарийсгах
Хамрын мэс засал: Хамрын угалз нарийсгах + Богино хамар засах + Махлаг хамар засах
Хамрын мэс засал: Хамрын үрэвсэл болон гоо сайхны засал
Хамрын мэс засал: Хамрын үрэвсэл болон гоо сайхны засал + Богино хамар засах
Хамрын мэс засал: Яс тайрах + Гүдгэр хамар
Хамрын нуруу болон үзүүр засах
Хамрын нуруу болон үзүүр засах (Мөгөөрс шилжүүлэн суулгах)
Хамрын нуруу өндөрлөх
Хамрын нуруу, үзүүр болон эрүү засах
Хамрын нуруу, үзүүр, бүргэд хамар засах болон шанааны яс багасгах
Хамрын угалз багасгах
Хамрын угалз багасгах (давхар)
Хамрын угалз багасгах дахин хагалгаа
Хамрын угалз багасгах, хамрын угалз өргөх
Хамрын үзүүр засах хагалгаа
Хамрын үзүүр засах хагалгаа, хамрын угалз багасгах
Хамрын үзүүр, гүдгэр хамар
Хамрын үзүүр, унжсан хамар, хамрын таславч
Хамрын үзүүр, хамрын угалз багасгах (зүсэлттэй)
Хамрын үзүүр, хамрын яс нарийсгах, гүдгэр хамар
Хамрын үзүүр, хамрын яс нарийсгах, өөх шилжүүлэн суулгах (нүдний доод хэсэг), Харт утас татах, эрүүний үзүүр
Хамрын үзүүрийн хагалгаа, гүдгэр хамар засах
Хамрын үзүүрийн хагалгаа, гүдгэр хамар засах, яс тайрах
Хамрын үзүүрийн хагалгаа, хамрын угалз багасгах, бүдүүн хамрын үзүүр
Хамрын үйл ажиллагааг сэргээх гоо сайхны мэс засал
Хамрын үйл ажиллагааг сэргээх мэс засал, өргөн хамар, шонхор хамар, урт хамар
Хамрын үндсэн гоо сайхны мэс засал
Хамрын үндсэн мэс засал (Хамрын нуруу + Хамрын үзүүр)
Хамрын үндсэн мэс засал + богино хамар + өргөн хамар засах + хамрын угалз багасгах
Хамрын үндсэн мэс засал + шонхор хамар + өргөн хамар засах
Хацрын урд хэсгийн өөх соруулах, эрүүний шугам болон давхар эрүүний утас татах лифтинг
Хацрын урд хэсэг/хамрын хажуугийн үрчлээнд өөх шилжүүлэн суулгах, духны ботокс
Хацрын хонхорхой гаргах мэс засал
Хацрын хонхорхой гаргах мэс засал (Нэг талдаа)
Хосолсон булан нээх, Нүүр өргөх мэс засал, Дээд зовхины өөх шилжүүлэн суулгах, Хамар уруулын нугалаасны өөх шилжүүлэн суулгах
Хосолсон доод зовхины мэс засал
Хөмсөг өргөх
Хөмсөг өргөх мэс засал
Хөмсөг өргөх мэс засал, Байгалийн мэт наалдац үүсгэх давхраа, Зовхины өөх авах
Хөмсөг өргөх мэс засал, Дээд зовхинд өөх шилжүүлэн суулгах
Хөмсөг өргөх мэс засал, Нүдний доорх өөх шилжүүлэн байрлуулах
Хөмсөг өргөх мэс засал, Нүүрний дунд хэсэг өргөх мэс засал
Хөмсөг өргөх, Дуал доод зовхины хагалгаа, Нүдний доор өөх шилжүүлэн суулгах
Хөмсөгний доод зүсэлттэй лифтинг
Хөмсөгний доод зүсэлттэй лифтинг + Давхраа оёх (оёдол тавих арга)
Хөмсөгний доод зүсэлттэй лифтинг + Нүдний доод зовхины мэс засал
Хөмсөгний доод зүсэлттэй лифтинг + Нүдний доод өөх дахин хуваарилах
Хөмсөгний доод зүсэлттэй лифтинг, Духны арьс татах, Байгалийн наалдацтай давхраа
Хөмсөгний доод зүсэлттэй лифтинг, Духны арьс татах, Нүдний доод өөх дахин хуваарилах
Хөмсөгний доод зүсэлттэй лифтинг, Нүдний доод зовхины мэс засал, Байгалийн наалдацтай нүдний хэлбэр засах давтан мэс засал
Хөмсөгний доод зүсэлттэй лифтинг, Нүдний доод зовхины мэс засал, Духны арьс татах (утсаар бэхлэх), Ботокс (дух, нүдний эргэн тойронд)
Хөмсөгний доод зүсэлттэй лифтинг, Нүдний доод өөх дахин хуваарилах, Духны арьс татах
Хөмсөгний доод зүсэлттэй лифтинг, Нүдний дээд зовхины мэс засал, Нүдний доод зовхины мэс засал, Өөх шилжүүлэн суулгах (нүдний доор, хацрын урд хэсэг)
Хөмсөгний доод зүсэлттэй лифтинг, Нүдний хэлбэр засах (зүсэлтгүй), Нүдний доод өөх дахин хуваарилах
Хөмсөгний доод зүсэлттэй лифтинг, Өөх шилжүүлэн суулгах (нүдний доор)
Хөх болон хэвлийн өөх соруулах
Хөх жижигсгэх мэс засал
Хөх жижигсгэх мэс засал, хөх томруулах мэс засал
Хөх өргөх мэс засал
Хөх өргөх мэс засал, хөх томруулах мэс засал
Хөх өргөх мэс засал, хөх томруулах мэс засал, суганы илүүдэл хөх авах
Хөх өргөх, хөх жижигсгэх, хөхний товчны эргэн тойрон дахь нөсөөт хэсгийг жижигсгэх мэс засал
Хөх томруулах мэс засал
Хөх томруулах мэс засал (Ментор Экстра) (хөхний доод нугалаасаар зүсэх), Ултера, Режуран хийлэр, уруулын филлер, лифтинг ботокс
Хөх томруулах мэс засал, ареола засах мэс засал
Хөх томруулах мэс засал, хөх сойх мэс засал
Хөхний гоо сайхны мэс засал
Хөхний гоо сайхны мэс засал (суулгацтай)
Хөхний дахин хагалгаа + Mentor хөхний гоо сайхны мэс засал
Хөхний дахин хагалгаа + Мотива хөх томруулах мэс засал
Хөхний толгой дотогш орсон
Хөхөнд өөх шилжүүлэн суулгах
Хувь хүнд тохирсон суулгацтай хамрын мэс засал
Хувь хүнд тохирсон суулгацтай хамрын мэс засал, Гүдгэр хамар засах мэс засал
Хүзүүний арьс татах мэс засал
Хүзүүний лифтинг
Хүнхэр нүд засах (Зовхинд өөх шилжүүлэн суулгах)
Хүнхээл багасгах
Хэвлийн өөх соруулах
Хэвлийн өөх соруулах, бүсэлхийн хажуугийн өөх соруулах
Хэвлийн хэлбэр засах мэс засал
Хэсэгчилсэн зүсэлттэй давхраа, нүдний доод өөх шилжүүлэн байрлуулах
Цайруулах хөтөлбөр
Цайруулах эмчилгээ
Шанаа багасгах, дөрвөлжин эрүү багасгах, эрүүний үзүүр багасгах мэс засал
Шанааны хонхорхойн филлер
Шанааны яс + дөрвөлжин эрүү + эрүүний үзүүр засах мэс засал
Шанааны яс + дөрвөлжин эрүү засах мэс засал
Шанааны яс + эрүүний үзүүр засах мэс засал
Шанааны яс багасгах (Turning) + Акюскальп (AccuSculpt)
Шанааны яс багасгах + Акюскальпт
Шанааны яс багасгах + Хамрын гоо сайхны хагалгаа + Акюскальпт
Шанааны яс багасгах + Хамрын гоо сайхны хагалгаа + Акюскальпт (эрүүний шугам, давхар эрүү) + Өөх шилжүүлэн суулгах (дух)
Шанааны яс багасгах + Эрүүний өнцөг багасгах + Нүүрний бүх хэсэгт өөх шилжүүлэн суулгах + Хамрын гоо сайхны хагалгаа
Шанааны яс багасгах + Эрүүний өнцөг багасгах + Эрүүний үзүүр + Акюскальпт + Хамрын дахин хагалгаа
Шанааны яс багасгах + Эрүүний өнцөг багасгах + Эрүүний үзүүр + Нүүрний хэлбэр засах дахин хагалгаа
Шанааны яс багасгах + Эрүүний өнцөг багасгах + Эрүүний үзүүр багасгах
Шанааны яс багасгах + Эрүүний өнцөг багасгах + Эрүүний үзүүр засах (богиносгох) + Хамрын дахин хагалгаа
Шанааны яс багасгах + Эрүүний өнцөг багасгах + Эрүүний үзүүр засах (урагшлуулах) + Нүдний дахин хагалгаа + Хамрын гоо сайхны хагалгаа
Шанааны яс багасгах + Эрүүний өнцөг багасгах + Эрүүний үзүүр засах хагалгаа
Шанааны яс багасгах + Эрүүний өнцөг багасгах + Эрүүний үзүүр засах хагалгаа + Акюскальпт
Шанааны яс багасгах + Эрүүний өнцөг багасгах + Эрүүний үзүүр засах хагалгаа + Акюскальпт (давхар эрүү) + Хамрын гоо сайхны хагалгаа
Шанааны яс багасгах + Эрүүний өнцөг багасгах + Эрүүний үзүүр засах хагалгаа + Акюскальпт (хацар)
Шанааны яс багасгах + Эрүүний өнцөг багасгах + Эрүүний үзүүр засах хагалгаа + Акюскальпт (эрүүний шугам, давхар эрүү) + Хамрын гоо сайхны хагалгаа
Шанааны яс багасгах + Эрүүний өнцөг багасгах + Эрүүний үзүүр засах хагалгаа + Акюскальпт + Хамрын гоо сайхны хагалгаа
Шанааны яс багасгах + Эрүүний өнцөг багасгах + Эрүүний үзүүр засах хагалгаа + Зажлуурын булчин багасгах
Шанааны яс багасгах + Эрүүний өнцөг багасгах + Эрүүний үзүүр засах хагалгаа + Зажлуурын булчин багасгах + Акюскальпт + Хамрын гоо сайхны хагалгаа
Шанааны яс багасгах + Эрүүний өнцөг багасгах + Эрүүний үзүүр засах хагалгаа + Нүдний гоо сайхны хагалгаа
Шанааны яс багасгах + Эрүүний өнцөг багасгах + Эрүүний үзүүр засах хагалгаа + Өөх шилжүүлэн суулгах (хацрын урд хэсэг, дух) + Хамрын гоо сайхны хагалгаа
Шанааны яс багасгах + Эрүүний өнцөг багасгах + Эрүүний үзүүр засах хагалгаа + Уруул амны түрүүлт засах
Шанааны яс багасгах + Эрүүний өнцөг багасгах + Эрүүний үзүүр засах хагалгаа + Хамрын гоо сайхны хагалгаа
Шанааны яс багасгах + Эрүүний өнцөг багасгах + Эрүүний үзүүр засах хагалгаа + Хамрын дахин хагалгаа + Өөх шилжүүлэн суулгах (дух, хацрын урд хэсэг)
Шанааны яс багасгах + Эрүүний өнцөг багасгах + Эрүүний үзүүр уртасгах + Өөх шилжүүлэн суулгах
Шанааны яс багасгах + Эрүүний өнцөг багасгах + Эрүүний үзүүрийн хагалгаа
Шанааны яс багасгах хагалгаа
Шанааны яс багасгах хагалгаа, Урт муруй зүсэлттэй эрүү багасгах
Шанааны яс багасгах хагалгаа, Эрүүний өнцөг багасгах хагалгаа
Шанааны яс багасгах хагалгаа, Эрүүний өнцөг багасгах хагалгаа, Хамрын дахин хагалгаа
Шанааны яс багасгах хагалгаа, Эрүүний өнцөг багасгах хагалгаа, Эрүүний үзүүр урагшлуулах хагалгаа
Шанааны яс багасгах хагалгаа, Эрүүний өнцөг багасгах хагалгаа, Эрүүний үзүүр урагшлуулах хагалгаа, Кортикотоми (ясны гадна давхарга авах), Хамар өндөрлөх хагалгаа, Гүдгэр хамар засах, Хамрын угалз багасгах
Шанааны яс жижигсгэх + дөрвөлжин эрүү жижигсгэх + Акюскальп лазер
Шанааны яс жижигсгэх + дөрвөлжин эрүү жижигсгэх + нүдний дахин хагалгаа + хамрын дахин хагалгаа
Шанааны яс жижигсгэх + дөрвөлжин эрүү жижигсгэх + хамрын гоо сайхны мэс засал
Шанааны яс жижигсгэх + дөрвөлжин эрүү жижигсгэх + эрүүний үзүүр + Акюскальп (эрүүний шугам + давхар эрүү) + хамрын гоо сайхны мэс засал
Шанааны яс жижигсгэх + дөрвөлжин эрүү жижигсгэх + эрүүний үзүүр жижигсгэх + нүүрний хэлбэр засах дахин хагалгаа
Шанааны яс жижигсгэх + дөрвөлжин эрүү жижигсгэх мэс засал
Шанааны яс жижигсгэх + нүдний дахин хагалгаа + нүдний булан давхар нээх + хамрын гоо сайхны мэс засал
Шанааны яс жижигсгэх мэс засал
Шанааны яс жижигсгэх, дөрвөлжин эрүү жижигсгэх мэс засал
Шанааны яс жижигсгэх, дөрвөлжин эрүү жижигсгэх, эрүүний үзүүр жижигсгэх мэс засал
Шанааны яс жижигсгэх, эрүүний үзүүр жижигсгэх, ясны гадна давхаргыг авах, нүдний дахин хагалгаа, байгалийн наалдацтай давхраа, зүсэлтгүй нүдний хэлбэр засах, нүдний дотор булан нээх, нүдний доод хэсэг нээх
Шанааны яс жижигсгэх, эрүүний үзүүр, дөрвөлжин эрүү жижигсгэх, ясны гадна давхаргыг авах, хамар (хамрын нуруу, хамрын үзүүр), муруй хамар засах, хамрын яс жижигсгэх, өргөн хамар засах
Шанааны яс засах мэс засал
Шанааны яс засах мэс засал, Винус лазер
Шанааны яс, дөрвөлжин эрүү, эрүүний үзүүр, ясны гадна давхаргыг авах мэс засал
Шилбэний ботокс
Шонхор хамар + муруй хамар засах
Шонхор хамар + өргөн хамар засах
Шонхор хамар болон өргөн хамар засах, хамрын дайвар хөндийн үрэвсэл болон гоо сайхны хагалгаа
Шонхор хамар засах
Шонхор хамар засах мэс засал
Шонхор хамар, өргөн хамар
Шонхор хамар, өргөн хамар, муруй хамар
Шонхор хамар, хамрын уруулын өнцөг засах
Шүлсний булчирхайн ботокс
Эгё-сал филлер (Нүдний доорх дүүргэгч)
Эластикүм утас татах
Эластикүм утас татах + Акускальпт
Эластикүм утас татах + Акускальпт (Давхар эрүү, Хамрын хажуугийн үрчлээ)
Эластикүм утас татах + Акускальпт (Хацар)
Эластикүм утас татах + Мини лифтинг
Эластикүм утас татах + Минт утас татах + Мини лифтинг
Эмэгтэй үс шилжүүлэн суулгах (Зүсэлтгүй арга, 2000 ширхэг)
Эмэгтэй үс шилжүүлэн суулгах (Зүсэлтгүй арга, 3000 ширхэг)
Эмэгтэй үс шилжүүлэн суулгах (Зүсэлтгүй арга) 3500 ширхэг
Эмэгтэй үс шилжүүлэн суулгах (Зүсэлттэй арга) 1000 ширхэг
Эмэгтэй үс шилжүүлэн суулгах (Зүсэлттэй арга) 1500 ширхэг
Эмэгтэй үс шилжүүлэн суулгах (Зүсэлттэй арга) 2000 ширхэг
Эмэгтэй үс шилжүүлэн суулгах (Зүсэлттэй арга) 2500 ширхэг
Эмэгтэй үс шилжүүлэн суулгах (Зүсэлттэй арга) 3000 ширхэг
Эмэгтэй үсний шугам 2500 ширхэг / 2 долоо хоногийн дараа
Эмэгтэй үсний шугам 3000 ширхэг / 1 сарын дараа
Эмэгтэй үсний шугам 3000 ширхэг / 2 долоо хоногийн дараа
Эмэгтэй үсний шугам засах 1000 ширхэг / 2 долоо хоногийн дараа
Эмэгтэй үсний шугам засах 1500 ширхэг / 2 долоо хоногийн дараа
Эмэгтэй үсний шугам засах 2000 ширхэг / 2 долоо хоногийн дараа
Эмэгтэй үсний шугам засах 25
Эмэгтэй үсний шугам зүсэлтгүй арга (FUE) 2000 ширхэг
Эмэгтэй үсний шугам зүсэлттэй арга (FUT) 1500 ширхэг
Эмэгтэй үсний шугам зүсэлттэй арга (FUT) 2500 ширхэг
Эмэгтэй үсний шугам зүсэлттэй арга (FUT) 3000 ширхэг
Эндотайн дух өргөх хагалгаа
Эндотайн, Винус лазер
Эпикантопластик давтан хагалгаа
Эпикантопластик сэргээх хагалгаа, Зовхины дотогш эргэлт (Энтропион)
Эпикантопластик сэргээх хагалгаа, Кантопластик сэргээх хагалгаа
Эпикантопластик, Дээд зовхины хагалгаа, Доод зовхины хагалгаа, Нүдний доорх өөх шилжүүлэн байрлуулах, Кантопластик...
Эпитикон утас татах (Хамрын хажуугийн үрчлээ, Эрүүний шугам)
Эпитикон утас татах (Хамрын хажуугийн үрчлээ, Эрүүний шугам) + Эрүүний филлер + Дөрвөлжин эрүүний ботокс
Эрүү урагшлуулах хагалгаа
Эрүү, нүд, хамар засах хагалгаа болон духны өөх шилжүүлэн суулгах
Эрүүний ботокс, эрүүний филлер, хөмсөг өргөх хагалгаа
Эрүүний өнцөг + шанаа + V-зүсэлт
Эрүүний өнцөг + эрүүний үзүүр
Эрүүний өнцөг + эрүүний үзүүр засах (T-зүсэлт)
Эрүүний өнцөг багасгах
Эрүүний өнцөг багасгах + хамрын гоо сайхны хагалгаа + Акюскальпт (эрүүний шугам)
Эрүүний өнцөг багасгах + шанаа багасгах
Эрүүний өнцөг багасгах + шанаа багасгах + V-зүсэлт
Эрүүний өнцөг багасгах + шанаа багасгах + эрүүний үзүүр засах
Эрүүний өнцөг багасгах + шанаа багасгах + эрүүний үзүүр засах (давтан хагалгаа)
Эрүүний өнцөг багасгах + шанаа багасгах + эрүүний үзүүр засах (Нүүрний хэлбэр засах 3 төрлийн хагалгаа)
Эрүүний өнцөг багасгах + шанаа багасгах + эрүүний үзүүр засах (Нүүрний хэлбэр засах 3 төрлийн хагалгаа) + хамрын гоо сайхны хагалгаа
Эрүүний өнцөг багасгах + шанаа багасгах + эрүүний үзүүр засах + хамрын гоо сайхны хагалгаа
Эрүүний өнцөг багасгах + шанаа багасгах давтан хагалгаа + эрүүний үзүүр засах
Эрүүний өнцөг багасгах + эрүүний үзүүр засах
Эрүүний өнцөг багасгах + эрүүний үзүүр засах (T-зүсэлт)
Эрүүний өнцөг багасгах + эрүүний үзүүр засах хагалгаа + хамрын давтан хагалгаа
Эрүүний өнцөг багасгах давтан хагалгаа + шанаа багасгах + эрүүний үзүүр
Эрүүний өнцөг багасгах давтан хагалгаа + шанаа багасгах давтан хагалгаа
Эрүүний өнцөг багасгах хагалгаа
Эрүүний өнцөг засах хагалгаа + шанаа багасгах хагалгаа
Эрүүний өнцөг, шанаа, эрүүний үзүүр
Эрүүний өнцөг, шанаа, эрүүний үзүүр, хоёр эрүүний хагалгаа
Эрүүний өнцөг, шанаа, эрүүний үзүүр, ясны гадна давхаргыг авах (피질절골)
Эрүүний өнцөг, шанаа, эрүүний үзүүр, ясны гадна давхаргыг авах, хамрын давтан хагалгаа (хамрын нуруу, хамрын үзүүр)
Эрүүний өнцөг, шанаа, эрүүний үзүүр, ясны гадна давхаргыг авах, хацрын гүн дэх өөх авах
Эрүүний өнцөг, шанаа, ясны гадна давхаргыг авах, өөх шилжүүлэн суулгах, Винус лазер
Эрүүний өнцөг, эрүүний үзүүр
Эрүүний өнцөг, эрүүний үзүүр, ясны гадна давхаргыг авах
Эрүүний өнцөг, эрүүний үзүүр, ясны гадна давхаргыг авах, Винус лазер (хацар, эрүүний доор), утас татах
Эрүүний өнцөг, эрүүний үзүүр, ясны гадна давхаргыг авах, Винус лазер (хацрын хажуу, эрүүний доор)
Эрүүний үзүүр багасгах хагалгаа
Эрүүний үзүүр болон дөрвөлжин эрүү багасгах
Эрүүний үзүүрийн филлер
Эрүүний хэлбэр засах + хамрын дахин хагалгаа + махлаг хамар засах + хамрын угалз багасгах
Эрүүний шугамын өөх соруулах, утас татах, филлер
Эрүүний яс тайрах хагалгаа
Эрэгтэй гинекомасти, туслах хөх болон хажуу цээжний өөх соруулах мэс засал
Эрэгтэй гоо сайхны мэс засал
Эрэгтэй давхраа намсгах
Эрэгтэй давхраа намсгах мэс засал
Эрэгтэй зүсэлттэй давхраа хийх мэс засал
Эрэгтэй муруй болон шонхор хамрын мэс засал
Эрэгтэй муруй хамар + Богино хамар
Эрэгтэй муруй хамар + Дахин хагалгаа
Эрэгтэй муруй хамар + Өргөн хамрын нуруу
Эрэгтэй муруй хамар + Хамрын дахин хагалгаа
Эрэгтэй муруй хамар + Шонхор хамар
Эрэгтэй муруй хамар болон хамрын үзүүр засах мэс засал
Эрэгтэй муруй хамар засах + Шонхор хамар
Эрэгтэй муруй хамрын мэс засал
Эрэгтэй нүдний дахин хагалгаа + зүсэлттэй давхраа + хэлбэр засах + дотор булан нээх
Эрэгтэй нүдний мэс засал (зүсэлттэй хэлбэр засах + дотор булан нээх + гадна булан нээх)
Эрэгтэй нүдний мэс засал (нүдний доод өөх шилжүүлэн байршуулах)
Эрэгтэй нүдний мэс засал (нүдний хэлбэр засах)
Эрэгтэй нүдний мэс засал (оёдолгүй давхраа [дахин хагалгаа] + давхар булан нээх)
Эрэгтэй нүдний мэс засал (оёдолгүй давхраа + дотор булан нээх)
Эрэгтэй нүдний мэс засал (оёдолгүй давхраа + хөмсөг татах мэс засал)
Эрэгтэй нүдний мэс засал (оёдолгүй давхраа + хөмсөг татах)
Эрэгтэй нүдний мэс засал (оёдолгүй давхраа + хэлбэр засах + дотор булан нээх + гадна булан нээх)
Эрэгтэй нүдний мэс засал (оёдолгүй давхраа + хэлбэр засах + дотор булан нээх)
Эрэгтэй нүдний мэс засал (оёдолгүй давхраа + хэлбэр засах)
Эрэгтэй нүдний мэс засал (оёдолгүй давхраа)
Эрэгтэй нүдний мэс засал (оёдолгүй хэлбэр засах)
Эрэгтэй нүдний мэс засал (хөмсөгний доорх арьс татах + гадна булан нээх + доод хэсэг нээх)
Эрэгтэй нүдний мэс засал (хөмсөгний доорх арьс татах мэс засал)
Эрэгтэй нүдний мэс засал (хэлбэр засах + дотор булан нээх + гадна булан нээх)
Эрэгтэй нүдний мэс засал + дотор булан нээх
Эрэгтэй нүдний мэс засал + зүсэлтгүй нүдний хэлбэр засах
Эрэгтэй нүдний мэс засал + зүсэлттэй нүдний хэлбэр засах
Эрэгтэй нүдний мэс засал + зүсэлттэй нүдний хэлбэр засах + дотор булан нээх
Эрэгтэй нүдний мэс засал, зүсэлттэй арга (дахин хагалгаа) + нүдний хэлбэр засах + нүдний доод өөх дахин хуваарилах
Эрэгтэй нүдний мэс засал, зүсэлттэй арга + нүдний дахин хагалгаа
Эрэгтэй нүдний мэс засал, зүсэлттэй арга + нүдний хэлбэр засах
Эрэгтэй нүдний мэс засал, зүсэлттэй арга + нүдний хэлбэр засах + дотор булан нээх
Эрэгтэй нүдний мэс засал, зүсэлттэй арга + нүдний хэлбэр засах + нүд нээх гоо сайхны мэс засал
Эрэгтэй нүдний мэс засал, зүсэлттэй арга + нүдний хэлбэр засах + нүд нээх мэс засал
Эрэгтэй нүдний мэс засал, зүсэлттэй арга + нүдний хэлбэр засах + нүдний дахин хагалгаа
Эрэгтэй нүдний мэс засал, зүсэлттэй нүдний хэлбэр засах
Эрэгтэй нүдний мэс засал, зүсэлттэй нүдний хэлбэр засах (дахин хагалгаа) + дотор булан нээх
Эрэгтэй нүдний мэс засал, зүсэлттэй нүдний хэлбэр засах (дахин хагалгаа) + дотор булан сэргээх
Эрэгтэй нүдний мэс засал, зүсэлттэй нүдний хэлбэр засах + гадна булан нээх
Эрэгтэй нүдний мэс засал, зүсэлттэй нүдний хэлбэр засах + гадна булан нээх + доод зовхи нээх
Эрэгтэй нүдний мэс засал, зүсэлттэй нүдний хэлбэр засах + дотор булан нээх
Эрэгтэй нүдний мэс засал, зүсэлттэй нүдний хэлбэр засах + дээд булан нээх + гадна булан нээх + доод зовхи нээх
Эрэгтэй нүдний мэс засал, зүсэлттэй нүдний хэлбэр засах + нүдний дахин хагалгаа
Эрэгтэй нүдний мэс засал, хамрын гоо сайхны мэс засал
Эрэгтэй нүдний мэс засал: Дотор булан нээх
Эрэгтэй нүдний мэс засал: Зүсэлтгүй нүдний хэлбэр засах
Эрэгтэй нүдний мэс засал: Зүсэлтгүй нүдний хэлбэр засах (Давтан мэс засал)
Эрэгтэй нүдний мэс засал: Зүсэлтгүй нүдний хэлбэр засах (Давтан мэс засал) + Давхар нүд томсгох
Эрэгтэй нүдний мэс засал: Зүсэлтгүй нүдний хэлбэр засах + Гадна булан нээх
Эрэгтэй нүдний мэс засал: Зүсэлтгүй нүдний хэлбэр засах + Гадна булан нээх + Доод зовхи доошлуулах
Эрэгтэй нүдний мэс засал: Зүсэлтгүй нүдний хэлбэр засах + Дотор булан нээх
Эрэгтэй нүдний мэс засал: Зүсэлтгүй нүдний хэлбэр засах + Дотор булан нээх + Гадна булан нээх
Эрэгтэй нүдний мэс засал: Зүсэлтгүй нүдний хэлбэр засах + Дотор булан нээх + Гадна булан нээх + Доод зовхи доошлуулах
Эрэгтэй нүдний мэс засал: Зүсэлтгүй нүдний хэлбэр засах + Дотор булан нээх + Давхар нүд томсгох
Эрэгтэй нүдний мэс засал: Зүсэлтгүй нүдний хэлбэр засах + Дотор булан нээх + Нүдний доорх өөх шилжүүлэн байршуулах
Эрэгтэй нүдний мэс засал: Зүсэлтгүй нүдний хэлбэр засах + Нүдний доорх өөх шилжүүлэн байршуулах
Эрэгтэй нүдний мэс засал: Зүсэлттэй арга + Нүдний хэлбэр засах
Эрэгтэй нүдний мэс засал: Зүсэлттэй арга + Нүдний хэлбэр засах + Дотор булан нээх
Эрэгтэй нүдний мэс засал: Зүсэлттэй арга + Нүдний хэлбэр засах + Нүдний доорх өөх шилжүүлэн байршуулах
Эрэгтэй нүдний мэс засал: Зүсэлттэй нүдний хэлбэр засах + Дотор булан нээх
Эрэгтэй нүдний мэс засал: Оёдол тавих арга
Эрэгтэй нүдний мэс засал: Оёдол тавих арга (Давтан мэс засал) + Давхар нүд томсгох
Эрэгтэй нүдний мэс засал: Оёдол тавих арга + Нүдний давтан мэс засал
Эрэгтэй нүдний мэс засал: Оёдол тавих арга + Нүдний хэлбэр засах
Эрэгтэй нүдний мэс засал: Оёдол тавих арга + Нүдний хэлбэр засах + Дотор булан нээх
Эрэгтэй нүдний мэс засал: Оёдол тавих арга + Нүдний хэлбэр засах + Дотор булан нээх + Гадна булан нээх
Эрэгтэй нүдний мэс засал: Оёдол тавих арга + Нүдний хэлбэр засах + Дуал кантопластик
Эрэгтэй нүдний мэс засал: Оёдол тавих аргаар нүдний хэлбэр засах + Давхар нүд томсгох
Эрэгтэй нүдний мэс засал: Хэсэгчилсэн зүсэлттэй нүдний хэлбэр засах
Эрэгтэй нүүрний хэлбэр засах + Хэлбэржүүлэх мэс засал [Дөрвөлжин эрүү + Хацрын яс]
Эрэгтэй нүүрний хэлбэр засах 3 төрлийн мэс засал + Нүдний мэс засал
Эрэгтэй нүүрний хэлбэр засах мэс засал
Эрэгтэй нүүрний хэлбэр засах, урт муруй шугамаар дөрвөлжин эрүү засах + эргүүлэх шанаа багасгах
Эрэгтэй нүүрний хэлбэр засах, урт муруй шугамаар дөрвөлжин эрүү засах + эрүүний үзүүр урагшлуулах + эластикүм + аккю скалпт
Эрэгтэй нүүрний хэлбэр засах, урт муруй шугамаар дөрвөлжин эрүү засах + эрүүний үзүүрийн гоо сайхны мэс засал
Эрэгтэй нүүрний хэлбэр засах, хэлбэржүүлэх нүүрний хэлбэр засах (3 төрлийн мэс засал)
Эрэгтэй нүүрний хэлбэр засах, шанаа
Эрэгтэй нүүрний хэлбэр засах, шанаа + аккю лифтинг + хамрын дахин хагалгаа + богино хамар + ботокс
Эрэгтэй нүүрний хэлбэр засах, шанааны яс багасгах + дөрвөлжин эрүү багасгах + эрүүний үзүүр багасгах
Эрэгтэй нүүрний хэлбэр засах: 2 төрлийн цогц мэс засал [Хэлбэржүүлэх V-line + Эрүүний үзүүр уртасгах]
Эрэгтэй нүүрний хэлбэр засах: 3 төрлийн цогц мэс засал
Эрэгтэй нүүрний хэлбэр засах: Акюскальпт + Эрүүний ботокс
Эрэгтэй нүүрний хэлбэр засах: Дөрвөлжин эрүү + Шанаа
Эрэгтэй нүүрний хэлбэр засах: Дөрвөлжин эрүү багасгах + Шанаа багасгах + Эрүүний үзүүр засах (3 төрлийн цогц мэс засал)
Эрэгтэй нүүрний хэлбэр засах: Дөрвөлжин эрүү багасгах + Эрүүний үзүүр засах
Эрэгтэй нүүрний хэлбэр засах: Хэлбэржүүлэх мэс засал
Эрэгтэй нүүрний хэлбэр засах: Хэлбэржүүлэх мэс засал [3 төрлийн цогц мэс засал]
Эрэгтэй нүүрний хэлбэр засах: Хэлбэржүүлэх мэс засал [3 төрлийн цогц мэс засал] + Зажлуурын булчин багасгах
Эрэгтэй нүүрний хэлбэр засах: Хэлбэржүүлэх мэс засал [Дөрвөлжин эрүү + Шанаа]
Эрэгтэй нүүрний хэлбэр засах: Хэлбэржүүлэх мэс засал [Дөрвөлжин эрүү + Эрүүний үзүүр]
Эрэгтэй нүүрний хэлбэр засах: Хэлбэржүүлэх мэс засал [Дөрвөлжин эрүү]
Эрэгтэй нүүрний хэлбэр засах: Хэлбэржүүлэх мэс засал [Шанаа + Дөрвөлжин эрүү + Эрүү урагшлуулах] + Эрэгтэй хамар засах мэс засал
Эрэгтэй нүүрний хэлбэр засах: Хэлбэржүүлэх мэс засал [Шанаа + Дөрвөлжин эрүү]
Эрэгтэй нүүрний хэлбэр засах: Хэлбэржүүлэх мэс засал [Шанаа]
Эрэгтэй нүүрний хэлбэр засах: Хэлбэржүүлэх мэс засал [Эрүүний үзүүр + V хэлбэрийн тайралт]
Эрэгтэй нүүрний хэлбэр засах: Хэлбэржүүлэх мэс засал [Эрүүний үзүүр]
Эрэгтэй нүүрний хэлбэр засах: Хэлбэржүүлэх мэс засал + Акюскальпт
Эрэгтэй нүүрний хэлбэр засах: Хэлбэржүүлэх мэс засал + Дөрвөлжин эрүү
Эрэгтэй нүүрний хэлбэр засах: Хэлбэржүүлэх мэс засал + Нүд засах + Хамар засах
Эрэгтэй нүүрний хэлбэр засах: Хэлбэржүүлэх мэс засал + Нүд засах + Хамар засах + Дух засах
Эрэгтэй нүүрний хэлбэр засах: Хэлбэржүүлэх мэс засал + Нүд засах мэс засал
Эрэгтэй нүүрний хэлбэр засах: Хэлбэржүүлэх мэс засал + Шанаа эргүүлж багасгах
Эрэгтэй нүүрний хэлбэр засах: Хэлбэржүүлэх мэс засал + Шанаа эргүүлж багасгах + Эрүү урагшлуулах
Эрэгтэй нүүрний хэлбэр засах: Хэлбэржүүлэх мэс засал + Эрүү урагшлуулах мэс засал
Эрэгтэй нүүрний хэлбэр засах: Хэлбэржүүлэх мэс засал + Эрүүний үзүүр
Эрэгтэй нүүрний хэлбэр засах: Хэлбэржүүлэх мэс засал + Эрэгтэй хамар засах мэс засал
Эрэгтэй нүүрний хэлбэр засах: Шанаа эргүүлж багасгах
Эрэгтэй нүүрний хэлбэр засах: Эрүү урагшлуулах мэс засал
Эрэгтэй нүүрний хэлбэр засах: Эрүүний өнцөг засах урт муруй тайралт
Эрэгтэй урагш түрсэн эрүү засах + шанааны яс багасгах + эрүүний үзүүрийн мэс засал + эрэгтэй нүдний мэс засал
Эрэгтэй үс шилжүүлэн суулгах (Зүсэлтгүй арга, Лайн-кат 3500 ширхэг)
Эрэгтэй үс шилжүүлэн суулгах (Зүсэлтгүй аргаар 1500 ширхэг)
Эрэгтэй үс шилжүүлэн суулгах (Зүсэлтгүй аргаар 2500 ширхэг)
Эрэгтэй үс шилжүүлэн суулгах (Зүсэлтгүй аргаар 3000 ширхэг_Зулай)
Эрэгтэй үс шилжүүлэн суулгах (Зүсэлтгүй аргаар 3000 ширхэг)
Эрэгтэй үс шилжүүлэн суулгах (Зүсэлттэй аргаар 2000 ширхэг)
Эрэгтэй үс шилжүүлэн суулгах (Зүсэлттэй аргаар 2500 ширхэг)
Эрэгтэй үс шилжүүлэн суулгах (Зүсэлттэй аргаар 3000 ширхэг)
Эрэгтэй үсний шугам болон зулай хэсэгт 2500 ширхэг / 2 долоо хоногийн дараа
Эрэгтэй үсний шугам засах 1500 ширхэг / 2 долоо хоногийн дараа
Эрэгтэй үсний шугам засах 1500 ширхэг үс / 1 сарын дараа
Эрэгтэй үсний шугам засах 2000 ширхэг / 1 сарын дараа
Эрэгтэй үсний шугам засах 2500 ширхэг / 1 сарын дараа
Эрэгтэй үсний шугам шилжүүлэн суулгах (зүсэлтгүй арга)
Эрэгтэй үсний шугам шилжүүлэн суулгах (зүсэлтгүй арга) 2000 ширхэг
Эрэгтэй үсний шугам шилжүүлэн суулгах (зүсэлтгүй арга) 2500 ширхэг
Эрэгтэй үсний шугам шилжүүлэн суулгах 2500 ширхэг / 2 долоо хоногийн дараа
Эрэгтэй үсний шугам шилжүүлэн суулгах 3000 ширхэг / 1 сарын дараа
Эрэгтэй үсний шугам шилжүүлэн суулгах 3000 ширхэг / 2 долоо хоногийн дараа
Эрэгтэй үсний шугам шилжүүлэн суулгах 3500 ширхэг / 2 долоо хоногийн дараа
Эрэгтэй хамрын гоо сайхны мэс засал
Эрэгтэй хамрын гоо сайхны мэс засал (Намхан хамар + Богино хамар + Шонхор хамар)
Эрэгтэй хамрын гоо сайхны мэс засал (Намхан хамар + Богино хамар)
Эрэгтэй хамрын гоо сайхны мэс засал (Намхан хамар + Махлаг хамар + Богино хамар + Хамрын угалз багасгах)
Эрэгтэй хамрын гоо сайхны мэс засал (Намхан хамар + Махлаг хамар + Муруй хамар)
Эрэгтэй хамрын гоо сайхны мэс засал (Намхан хамар + Махлаг хамар)
Эрэгтэй хамрын гоо сайхны мэс засал (Намхан хамар + Муруй хамар + Хамрын үзүүр засах)
Эрэгтэй хамрын гоо сайхны мэс засал (Намхан хамар + Урт/Сум хэлбэрийн хамар + Өргөн хамрын нуруу)
Эрэгтэй хамрын гоо сайхны мэс засал (Намхан хамар + Хамрын дахин мэс засал)
Эрэгтэй хамрын гоо сайхны мэс засал (Намхан хамар + Шонхор хамар + Махлаг хамар + Хамрын үзүүр засах)
Эрэгтэй хамрын гоо сайхны мэс засал (Намхан хамар + Шонхор хамар + Махлаг хамар)
Эрэгтэй хамрын гоо сайхны мэс засал (Намхан хамар + Шонхор хамар + Хамрын угалз багасгах)
Эрэгтэй хамрын гоо сайхны мэс засал (Намхан хамар + Шонхор хамар + Хамрын үзүүр засах + Хамрын угалз засах)
Эрэгтэй хамрын гоо сайхны мэс засал (Намхан хамар + Шонхор хамар)
Эрэгтэй хамрын гоо сайхны мэс засал (Намхан хамар)
Эрэгтэй хамрын гоо сайхны мэс засал (Намхан хамрын нуруу)
Эрэгтэй хамрын гоо сайхны мэс засал (Өргөн хамар + Шонхор хамар)
Эрэгтэй хамрын гоо сайхны мэс засал (Өргөн хамрын нуруу + Махлаг хамар)
Эрэгтэй хамрын гоо сайхны мэс засал (Өргөн хамрын нуруу + Шонхор хамар)
Эрэгтэй хамрын гоо сайхны мэс засал (Өргөн хамрын нуруу)
Эрэгтэй хамрын гоо сайхны мэс засал (Урт хамар + Өргөн хамрын нуруу)
Эрэгтэй хамрын дахин мэс засал
Эрэгтэй хамрын дахин мэс засал + богино хамар
Эрэгтэй хамрын дахин мэс засал + богино хамар + хамрын угалз нарийсгах + хамрын салст болон гоо сайхны хагалгаа
Эрэгтэй хамрын дахин мэс засал + махлаг хамрын үзүүр + богино хамар
Эрэгтэй хамрын дахин мэс засал + хамрын салст болон гоо сайхны хагалгаа
Эрэгтэй хамрын дахин мэс засал + хамрын угалз нарийсгах + муруй хамар засах
Эрэгтэй хамрын дахин мэс засал, богино хамар, махлаг хамрын үзүүр
Эрэгтэй хамрын дахин мэс засал, богино хамар, хамрын угалз нарийсгах
Эрэгтэй хамрын дахин мэс засал, донор хавирганы мөгөөрс
Эрэгтэй хамрын дахин мэс засал, махлаг хамрын үзүүр, богино хамар
Эрэгтэй хамрын дахин мэс засал, муруй хамар
Эрэгтэй хамрын дахин мэс засал, муруй хамар, донор хавирганы мөгөөрс
Эрэгтэй хамрын дахин мэс засал, шонхор хамар, махлаг хамрын үзүүр засах
Эрэгтэй хамрын дахин хагалгаа + Муруй хамар
Эрэгтэй хамрын дахин хагалгаа + Муруй хамар засах
Эрэгтэй хамрын мэс засал (Махлаг хамар + Богино хамар + Хамрын угалз нарийсгах)
Эрэгтэй хамрын мэс засал (Махлаг хамар + Богино хамар)
Эрэгтэй хамрын мэс засал (Махлаг хамар + Муруй хамар + Өргөн хамрын нуруу)
Эрэгтэй хамрын мэс засал (Махлаг хамар + Муруй хамар)
Эрэгтэй хамрын мэс засал (Махлаг хамар + Хамрын нуруу)
Эрэгтэй хамрын мэс засал (Махлаг хамар + Хамрын угалз нарийсгах + Богино хамар)
Эрэгтэй хамрын мэс засал (Махлаг хамар + Хамрын угалз нарийсгах мэс засал)
Эрэгтэй хамрын мэс засал (Махлаг хамар + Хамрын угалз нарийсгах)
Эрэгтэй хамрын мэс засал (Махлаг хамар + Хамрын үзүүр)
Эрэгтэй хамрын мэс засал (Махлаг хамар + Хамрын үрэвсэл болон гоо сайхны хагалгаа)
Эрэгтэй хамрын мэс засал (Махлаг хамар засах + Богино хамар засах)
Эрэгтэй хамрын мэс засал (Махлаг хамар засах)
Эрэгтэй хамрын мэс засал (Махлаг хамрын хагалгаа)
Эрэгтэй хамрын мэс засал (Өөрийн мөгөөрс ашиглах)
Эрэгтэй хамрын мэс засал (Хамрын үрэвсэл + Яс тайрах)
Эрэгтэй хамрын мэс засал (Хамрын үрэвсэл болон гоо сайхны хагалгаа + Богино хамар засах)
Эрэгтэй хамрын мэс засал (Хамрын үрэвсэл болон гоо сайхны хагалгаа + Яс тайрах)
Эрэгтэй хамрын мэс засал (Хамрын үрэвсэл болон гоо сайхны хагалгаа)
Эрэгтэй хамрын мэс засал (Яс тайрах + Богино хамар + Хамрын угалз нарийсгах + Хамрын багана өргөх + Хамрын үрэвсэл болон гоо сайхны хагалгаа)
Эрэгтэй хамрын мэс засал (Яс тайрах + Махлаг хамар + Богино хамар)
Эрэгтэй хамрын мэс засал (Яс тайрах + Махлаг хамар + Чихний мөгөөрс)
Эрэгтэй хамрын мэс засал (Яс тайрах + Махлаг хамар)
Эрэгтэй хамрын мэс засал (Яс тайрах + Муруй хамар)
Эрэгтэй хамрын мэс засал (Яс тайрах + Хамрын үрэвсэл болон гоо сайхны хагалгаа + Донор хавирганы мөгөөрс)
Эрэгтэй хамрын мэс засал (Яс тайрах + Шонхор хамар + Хамрын угалз нарийсгах)
Эрэгтэй хамрын мэс засал (Яс тайрах + Шонхор хамар)
Эрэгтэй хамрын мэс засал (Яс тайрах)
Эрэгтэй хамрын мэс засал, богино хамар
Эрэгтэй хамрын мэс засал, богино хамар + махлаг хамрын үзүүр
Эрэгтэй хамрын мэс засал, богино хамар + махлаг хамрын үзүүр + хамрын дахин мэс засал
Эрэгтэй хамрын мэс засал, богино хамар + өргөн хамрын нуруу
Эрэгтэй хамрын мэс засал, богино хамар + өргөн хамрын нуруу + хамрын дахин мэс засал
Эрэгтэй хамрын мэс засал, богино хамар + хамрын дахин мэс засал
Эрэгтэй хамрын мэс засал, богино хамар + хамрын угалз нарийсгах
Эрэгтэй хамрын мэс засал, богино хамар засах + махлаг хамрын үзүүр засах + хамрын угалз нарийсгах
Эрэгтэй хамрын мэс засал, богино хамар засах + махлаг хамрын үзүүр засах + шонхор хамар
Эрэгтэй хамрын мэс засал, богино хамар, муруй хамар
Эрэгтэй хамрын мэс засал, богино хамар, өргөн хамрын нуруу, хамрын салст болон гоо сайхны хагалгаа
Эрэгтэй хамрын мэс засал, богино/сөхгөр хамар + муруй хамар
Эрэгтэй хамрын мэс засал, хамрын үзүүр
Эрэгтэй хамрын мэс засал, хамрын үзүүр засах мэс засал
Эрэгтэй хамрын мэс засал, хамрын үзүүр засах мэс засал + махлаг хамрын үзүүр
Эрэгтэй хамрын мэс засал, хамрын үзүүрийн мэс засал + хамрын угалз нарийсгах
Эрэгтэй хамрын мэс засал, хамрын үзүүрийн мэс засал, хамрын угалз нарийсгах
Эрэгтэй хамрын мэс засал: өргөн хамрын нуруу + ринит болон гоо сайхны хагалгаа
Эрэгтэй хамрын мэс засал: өргөн хамрын нуруу + хамрын угалз багасгах мэс засал
Эрэгтэй хамрын мэс засал: өргөн хамрын нуруу + хамрын угалзны мэс засал
Эрэгтэй хамрын мэс засал: сонгино хамар
Эрэгтэй хамрын мэс засал: сонгино хамар + өргөн хамрын нуруу
Эрэгтэй хамрын мэс засал: сонгино хамар + өргөн хамрын нуруу + хамрын угалзны мэс засал + ринит болон гоо сайхны хагалгаа
Эрэгтэй хамрын мэс засал: сонгино хамар + ринит болон гоо сайхны хагалгаа
Эрэгтэй хамрын мэс засал: сонгино хамар засах яс тайрах мэс засал
Эрэгтэй хамрын мэс засал: шонхор хамар
Эрэгтэй хамрын мэс засал: шонхор хамар + муруй хамар
Эрэгтэй хамрын мэс засал: шонхор хамар + муруй хамар + өргөн хамар
Эрэгтэй хамрын мэс засал: шонхор хамар + муруй хамар + өргөн хамрын нуруу
Эрэгтэй хамрын мэс засал: шонхор хамар + муруй хамар + сонгино хамар + өргөн хамрын нуруу
Эрэгтэй хамрын мэс засал: шонхор хамар + муруй хамар + урт хамар
Эрэгтэй хамрын мэс засал: шонхор хамар + өргөн хамрын нуруу
Эрэгтэй хамрын мэс засал: шонхор хамар + өргөн хамрын нуруу + муруй хамар
Эрэгтэй хамрын мэс засал: шонхор хамар + ринит болон гоо сайхны хагалгаа
Эрэгтэй хамрын мэс засал: шонхор хамар + сонгино хамар
Эрэгтэй хамрын мэс засал: шонхор хамар + сонгино хамар + богино хамар
Эрэгтэй хамрын мэс засал: шонхор хамар + сонгино хамар + өргөн хамрын нуруу
Эрэгтэй хамрын мэс засал: шонхор хамар + сонгино хамар засах
Эрэгтэй хамрын мэс засал: шонхор хамар + сонгино хамар засах + богино хамар засах
Эрэгтэй хамрын мэс засал: шонхор хамар + сонгино хамар засах + ринит болон гоо сайхны хагалгаа
Эрэгтэй хамрын мэс засал: шонхор хамар + сум хэлбэрийн хамар + муруй хамар
Эрэгтэй хамрын мэс засал: шонхор хамар + урт хамар
Эрэгтэй хамрын мэс засал: шонхор хамар + урт хамар + өргөн хамрын нуруу
Эрэгтэй хамрын мэс засал: шонхор хамар + хамрын угалз багасгах
Эрэгтэй хамрын мэс засал: шонхор хамар засах яс тайрах мэс засал
Эрэгтэй хамрын нуруу + Хамрын угалз багасгах мэс засал
Эрэгтэй хамрын угалз багасгах + Өргөн хамрын нуруу
Эрэгтэй хамрын угалз багасгах + Өргөн хамрын нуруу + Хамрын салст бүрхэвчийн үрэвсэл болон гоо сайхны хагалгаа
Эрэгтэй хамрын угалз багасгах мэс засал
Эрэгтэй хамрын угалз багасгах, өргөн хамрын нуруу, хамрын салст бүрхэвчийн үрэвсэл болон гоо сайхны хагалгаа
Эрэгтэй хоёр эрүүний мэс засал (Смайл)
Эрэгтэй хоёр эрүүний мэс засал (Смайл) + Нүүрний хэлбэржүүлэх мэс засал
Эрэгтэй хоёр эрүүний мэс засал (Смайл) + Хацрын яс багасгах + Хамар засах + Духны мэс засал
Эрэгтэй хоёр эрүүний мэс засал + Нүдний мэс засал
Эрэгтэй хоёр эрүүний мэс засал + Нүдний мэс засал + Хамар засах мэс засал
Эрэгтэй хөх томрох эмгэг (Гинекомасти)
Эрэгтэй хөх томрох эмгэг, туслах хөх
Эрэгтэй хөх томрох эмгэг, туслах хөх, суганы хажуугийн өөх соруулах
Эрэгтэй хөх томрох эмгэг, туслах хөх, хөхний толгой багасгах
Эрэгтэй хөх томрох эмгэг, хөхний толгой багасгах
Бүх клиник
Alliting Гоо сайхан мэс заслын эмнэлэг
Apex Гоо сайхан мэс заслын эмнэлэг
Atop Гоо сайхан мэс заслын эмнэлэг
Beauty Blossom Эмнэлэг
DA Гоо сайхан мэс заслын эмнэлэг
Gangnam Seoyeon Гоо сайхан мэс заслын эмнэлэг
Hershe Гоо сайхан мэс заслын эмнэлэг
Jayjun Гоо сайхан мэс заслын эмнэлэг
Lienjang Гоо сайхан мэс заслын эмнэлэг
Melon Гоо сайхан мэс заслын эмнэлэг
Nana Гоо сайхан мэс заслын эмнэлэг
OLO Гоо сайхан мэс заслын эмнэлэг
Oneday Шүдний эмнэлэг
Thank You Гоо сайхан мэс заслын эмнэлэг
Uverse Гоо сайхан мэс заслын эмнэлэг
Very Good Гоо сайхан мэс заслын эмнэлэг
Want Гоо сайхан мэс заслын эмнэлэг
Wonderful Гоо сайхан мэс заслын эмнэлэг
Before
After
Wonderful Гоо сайхан мэс заслын эмнэлэг
#Хэсэгчилсэн зүсэлт #Нүдний хэлбэр засах #Нүдний гадна болон доод булан нээх
#Хэсэгчилсэн зүслэг #Нүдний хэлбэр засах #Нүдний гадна болон доод хэсгийг томруулах
Before
After
Wonderful Гоо сайхан мэс заслын эмнэлэг
#Хэсэгчилсэн зүсэлт
#Хэсэгчилсэн зүсэлт
Before
After
Wonderful Гоо сайхан мэс заслын эмнэлэг
#Хэсэгчилсэн зүсэлт #Дээд зовхины өөх авах #Өргөн хамрын үзүүр засах #Гүдгэр хамар засах #Хамрын нуруу (силикон) #Хамрын үзүүр (өөрийн мөгөөрс)
#Хэсэгчилсэн зүслэг #Дээд зовхины өөх авах #Булдруу хамар засах #Бөгтөр хамар засах #Хамрын нуруу (силикон) #Хамрын үзүүр (өөрийн мөгөөрс)
Before
After
Wonderful Гоо сайхан мэс заслын эмнэлэг
#Зүсэлтгүй арга (Оёдол тавих) #Нүдний хэлбэр засах #Хамрын нуруу (Силикон) #Хамрын үзүүр (Өөрийн мөгөөрс)
#Зүсэлгүй (булалт) #Нүдний хэлбэр засах #Хамрын нуруу (силикон) #Хамрын үзүүр (өөрийн мөгөөрс)
Before
After
Wonderful Гоо сайхан мэс заслын эмнэлэг
Гоо сайхны мэс засал
Өмнөх болон дараах зураг
Before
After
Wonderful Гоо сайхан мэс заслын эмнэлэг
Гоо сайхны мэс засал
Өмнөх ба дараах зураг
Before
After
Wonderful Гоо сайхан мэс заслын эмнэлэг
Гоо сайхны мэс засал
Өмнөх ба дараах зураг
Before
After
Wonderful Гоо сайхан мэс заслын эмнэлэг
#Зүсэлтгүй арга (Оёдол тавих) #Нүдний доод өөх дахин хуваарилах
#Зүсэлгүй(булалт) #Нүдний_дор_хөхний_өөх_суулгах
Before
After
Wonderful Гоо сайхан мэс заслын эмнэлэг
#Хэсэгчилсэн зүсэлт #Нүдний дээд булан нээх
#Хэсэгчилсэн_зүслэг #Нүдний_өмнөд_зүсэлт
79
80
81
82
83
Одоо үзэж байгаа:
Нүүр
Хайлт
Гоо сайхны туршилт
Дуртай
Мессеж
Миний
REBEAUTY Монгол салбар
Bayanzurkh District, 26th khoroo, Sakura Tower 606, Ulaanbaatar, Mongolia
8904-8282 / 8904-2580 / 8904-0580
🇰🇷 070-8098-7323
Түгээмэл
Мэс засал
Арьс судлал
Шүдний
Ботокс
Филлер